Titel Logo
Tholeyer Nachrichten
Ausgabe 22/2023
Amtliche Bekanntmachungen
Zurück zur vorigen Seite
Zurück zur ersten Seite der aktuellen Ausgabe

Bekanntmachung Der Wirksamkeit Der Teiländerung Des Flächennutzungplanes

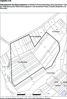
Teiländerung des Flächennutzungsplanes „Freiflächen-photovoltaikanlage Schaumbergkreuz“ in der Gemeinde Tholey, Ortsteile Bergweiler und Sotzweiler

Der Gemeinderat der Gemeinde Tholey hat mit Beschluss vom 14.12.2022 die Teiländerung des Flächennutzungsplanes „Freiflächen-Photovoltaikanlage Schaumbergkreuz“ beschlossen.

Diese Teiländerung wurde am 25.05.2023 (Az.: OBB11-30-9/22 Be) von dem Ministerium für Inneres, Bauen und Sport genehmigt.

Die Erteilung der Genehmigung wird hiermit gemäß § 6 Abs. 5 des Baugesetzbuches (BauGB), in der Fassung der Bekanntmachung vom 03. November 2017 (BGBl. S. 3634), unter Berücksichtigung der aktuell gültigen Änderungen, ortsüblich bekanntgemacht. Mit dieser Bekanntmachung wird die Teiländerung des Flächennutzungsplanes „Freiflächen-Photovoltaikanlage Schaumbergkreuz“ wirksam.

Jedermann kann die Teiländerung des Flächennutzungsplanes im Bereich des Bebauungsplanes „Freiflächen-Photovoltaikanlage Schaumbergkreuz“, bestehend aus Plan, Begründung und Umweltbericht, im Rathaus der Gemeinde Tholey, Besprechungszimmer Fachbereich Bauen, Wohnen, Umwelt, während der allgemeinen Dienststunden einsehen und über dessen Inhalt Auskunft verlangen.

Hinweise gemäß §§ 214, 215 BauGB

Auf die Voraussetzungen für die Geltendmachung der Verletzung von Verfahrens- und Formvorschriften und von Mängeln der Abwägung sowie die Rechtsfolgen der §§ 214, 215 BauGB wird hingewiesen.

Unbeachtlich werden demnach:

  1. eine nach § 214 Abs. 1 Satz 1 Nr. 1 bis 3 BauGB beachtliche Verletzung der dort bezeichneten Verfahrens- und Formvorschriften,
  2. eine unter Berücksichtigung des § 214 Abs. 2 BauGB beachtliche Verletzung der Vorschriften über das Verhältnis des Bebauungsplans und des Flächennutzungsplans und
  3. nach § 214 Abs. 3 Satz 2 BauGB beachtliche Mängel des Abwägungsvorgangs,

wenn sie nicht innerhalb eines Jahres seit Bekanntmachung der Teiländerung des Flächennutzungsplanes im Bereich des Bebauungsplanes „Freiflächen-Photovoltaikanlage Schaumbergkreuz“ schriftlich gegenüber der Gemeinde unter Darlegung des die Verletzung begründenden Sachverhalts geltend gemacht worden sind.

Außerdem wird auf § 12 Abs. 6 i.V.m. Abs. 7 KSVG (Kommunalselbstverwaltungsgesetz) verwiesen. Beschlüsse über Flächennutzungspläne, die unter Verletzung von Verfahrens- oder Formvorschriften des KSVG oder auf Grund dieses Gesetzes zustande gekommen sind, gelten ein Jahr nach der öffentlichen Bekanntmachung als von Anfang an gültig zustande gekommen. Dies gilt nicht, wenn

  1. die Vorschriften über die Genehmigung oder die öffentliche Bekanntmachung der Teiländerung des Flächennutzungsplanes verletzt worden sind,
  2. vor Ablauf der in Satz 1 des § 12 Abs. 6 KSVG genannten Frist der Bürgermeister dem Beschluss widersprochen oder die Kommunalaufsichtsbehörde den Beschluss beanstandet hat oder der Verfahrens- oder Formmangel gegenüber der Gemeinde unter Bezeichnung der Tatsache, die den Mangel ergibt, schriftlich gerügt worden ist.
Tholey, 02.06.2023
Andreas Maldener
Bürgermeister