Titel Logo
Tholeyer Nachrichten
Ausgabe 22/2023
Amtliche Bekanntmachungen
Zurück zur vorigen Seite
Zurück zur ersten Seite der aktuellen Ausgabe

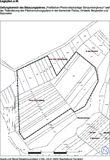
BEBAUUNGSPLAN„FREIFLÄCHEN-PHOTOVOLTAIKANLAGE SCHAUMBERGKREUZ“IN DER GEMEINDE THOLEY,ORTSTEILE BERGWEILER UND SOTZWEILER

Bekanntmachung des Satzungsbeschlusses

Der Gemeinderat der Gemeinde Tholey hat am 14.12.2022 den Bebauungsplan „Freiflächen-Photovoltaikanlage Schaumbergkreuz” gemäß § 10 Abs. 1 BauGB als Satzung beschlossen. Dieser Beschluss wird hiermit gemäß § 10 Abs. 3 des Baugesetzbuches (BauGB), in der Fassung der Bekanntmachung vom 03. November 2017 (BGBl. S. 3634), unter Berücksichtigung der aktuell gültigen Änderungen, ortsüblich bekanntgemacht. Mit dieser Bekanntmachung tritt der Bebauungsplan „Freiflächen-Photovoltaikanlage Schaumbergkreuz“ in Kraft.

Jedermann kann den Bebauungsplan „Freiflächen-Photovoltaikanlage Schaumbergkreuz”, bestehend aus Plan, Begründung und Umweltbericht, im Rathaus der Gemeinde Tholey, Besprechungsraum Fachbereich Bauen, Wohnen, Umwelt, während der allgemeinen Dienststunden einsehen und über dessen Inhalt Auskunft verlangen.

Hinweise gemäß §§ 214, 215 BauGB

Auf die Voraussetzungen für die Geltendmachung der Verletzung von Verfahrens- und Formvorschriften und von Mängeln der Abwägung sowie die Rechtsfolgen der §§ 214, 215 BauGB wird hingewiesen.

Unbeachtlich werden demnach:

  1. eine nach § 214 Abs. 1 Satz 1 Nr. 1 bis 3 BauGB beachtliche Verletzung der dort bezeichneten Verfahrens- und Formvorschriften,
  2. eine unter Berücksichtigung des § 214 Abs. 2 BauGB beachtliche Verletzung der Vorschriften über das Verhältnis des Bebauungsplans und des Flächennutzungsplans und
  3. nach § 214 Abs. 3 Satz 2 BauGB beachtliche Mängel des Abwägungsvorgangs,

wenn sie nicht innerhalb eines Jahres seit Bekanntmachung des Bebauungsplanes „Freiflächen-Photovoltaikanlage Schaumbergkreuz” schriftlich gegenüber der Gemeinde unter Darlegung des die Verletzung begründenden Sachverhalts geltend gemacht worden sind.

Hinweise gemäß § 44 BauGB

Auf die Vorschriften des § 44 Abs. 3 Satz 1 und 2 sowie Abs. 4 BauGB wird hingewiesen. Danach erlöschen Entschädigungsansprüche für die in §§ 39 bis 42 BauGB bezeichneten eingetretenen Vermögensnachteile, wenn nicht innerhalb von drei Jahren nach Ablauf des Kalenderjahres, in dem die Vermögensnachteile eingetreten sind, die Fälligkeit des Anspruchs herbeigeführt wird.

Hinweise gemäß § 12 Abs. 6 KSVG

Satzungen, die unter Verletzung von Verfahrens- oder Formvorschriften des Kommunalselbstverwaltungsgesetzes (KSVG) oder aufgrund dieses Gesetzes zustande gekommen sind, gelten ein Jahr nach der öffentlichen Bekanntmachung als von Anfang an gültig zustande gekommen. Dies gilt nicht, wenn

  1. die Vorschriften über die Genehmigung oder die öffentliche Bekanntmachung der Satzung verletzt worden sind,
  2. vor Ablauf der vorbezeichneten Frist (Satz 1 des § 12 Abs. 6 KSVG) der Bürgermeister dem Beschluss widersprochen oder die Kommunalaufsichtsbehörde den Beschluss beanstandet hat oder der Verfahrens- oder Formmangel gegenüber der Gemeinde unter Bezeichnung der Tatsache, die den Mangel ergibt, schriftlich gerügt worden ist.
Tholey, 02.06.2023
Andreas Maldener
Bürgermeister