Titel Logo
Tholeyer Nachrichten
Ausgabe 24/2024
Amtliche Bekanntmachungen
Zurück zur vorigen Seite
Zurück zur ersten Seite der aktuellen Ausgabe

_Bekanntmachung

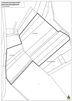
Abbildung: Geltungsbereich des Bebauungsplanes

Bekanntmachung der Einleitung des Verfahrens zur Aufstellung des Bebauungsplanes „Solarpark Dirminger Straße“

sowie zur parallelen Teiländerung des Flächennutzungsplanes

Bekanntmachung der frühzeitigen Öffentlichkeitsbeteiligung gem. § 3 Abs. 1 BauGB

Gemäß § 2 Abs. 1 Baugesetzbuch (BauGB) wird hiermit öffentlich bekannt gemacht, dass der Gemeinderat der Gemeinde Tholey in seiner Sitzung am 21.03.2024 die Einleitung des Verfahrens zur Aufstellung des Bebauungsplanes „Solarpark Dirminger Straße“ beschlossen hat. In der gleichen Sitzung wurde auch die Einleitung des Verfahrens zur parallelen Teiländerung des Flächennutzungsplanes im nahezu gleichen Bereich beschlossen.

In der Sitzung am 21.03.2024 hat der Gemeinderat der Gemeinde Tholey den Bebauungsplan und die parallele Teiländerung des Flächennutzungsplanes (FNP) gebilligt und die frühzeitige Beteiligung der Öffentlichkeit (§ 3 Abs. 1 BauGB) sowie der Behörden und Träger öffentlicher Belange (§ 4 Abs. 1 BauGB) beschlossen.

Ziel des Bebauungsplanes sowie der FNP-Teiländerung

Ziel der beiden Bauleitplanverfahren ist die Schaffung der planungsrechtlichen Voraussetzungen zur Errichtung einer PV-Freiflächenanlage mit einer Gesamtleistung von ca. 9,5 Mwp auf einer Fläche von ca. 7,2 ha. Hierdurch soll ein aktiver Beitrag zum Klimaschutz geleistet werden.

Der Geltungsbereich des Bebauungsplanes erstreckt sich über einen Bereich mit der Flurbezeichnungen „Am Mistenberg“ und „Am Kühunter“ in Flur 5 der Gemarkung Tholey. Er umfasst hier die Parzellen: 128, 131/1, 134, 135, 137/1, 145/1, 147/1, 166/1, 168/1, 170/2, 175/1, 176, 179/1 und 290/143. Die genaue Abgrenzung des Geltungsbereiches ist der beigefügten Abbildung zu entnehmen. Der Geltungsbereich der FNP-Teiländerung ist mit dem Geltungsbereich des Bebauungsplanes identisch.

Gemäß § 3 Abs. 1 Baugesetzbuch (BauGB) ist die Öffentlichkeit möglichst frühzeitig über die allgemeinen Ziele und Zwecke der Planung öffentlich zu unterrichten. Dabei sind sich wesentlich unterscheidende Lösungen, die für die Neugestaltung oder Entwicklung eines Gebietes in Betracht kommen, und die voraussichtlichen Auswirkungen der Planung darzulegen. Der Öffentlichkeit ist Gelegenheit zur Äußerung und Erörterung zu geben.

Das Ergebnis der frühzeitigen Beteiligung der Öffentlichkeit ist im weiteren Planaufstellungsverfahren zu beachten bzw. von den Beschlussgremien gewissenhaft abzuwägen.

Hiermit macht die Gemeinde Tholey bekannt, dass im Rahmen der frühzeitigen Beteiligung der Öffentlichkeit gem. § 3 Abs. 1 BauGB der Bebauungsplan sowie die FNP-Teiländerung vom 17.06.2024 bis zum 19.07.2024 im Rathaus der Gemeinde Tholey, Im Kloster 1, Besprechungszimmer Fachbereich Bauen, Wohnen, Umwelt, 66636 Tholey zu jedermanns Einsicht öffentlich ausliegt. Es ist davon auszugehen, dass der Zeitraum der Auslegung der Komplexität der Planungsaufgabe angemessen ist.

Öffnungszeiten:

Montag, Dienstag, Donnerstag: 8:30 – 12:00 Uhr; 13:30 – 16:00 Uhr

Mittwoch: 8:30 – 12:00 Uhr; 13:30 – 18:00 Uhr

Freitag: 8:30 – 12:00 Uhr

Folgende Unterlagen / umweltbezogenen Informationen werden ausgelegt:

diese öffentliche Bekanntmachung nach § 3 Abs. 1 BauGB

Planzeichnung des Bebauungsplanes (Teil A) mit textlichen Festsetzungen (Teil B)

Planzeichnung der Flächennutzungsplan-Teiländerung mit Legende

gemeinsame Begründung und Umweltbericht zum Bebauungsplan und zur FNP-Teiländerung (Fassung für Scoping-Verfahren).

In diesem Zeitraum besteht die Möglichkeit zur Teilnahme am elektronischen Beteiligungsverfahren.

Unter den Internetadressen

https://argusconcept.planungsbeteiligung.de und

https://www.tholey.de/bauen/bebauungsplaene/

kann jedermann Einsicht in die vollständigen Unterlagen zum Verfahren nehmen. Dieser Dienst steht nur während der Beteiligungsfristen bis einschließlich zum 19.07.2024 zur Verfügung.

Während der Auslegungsfrist können von jedermann Stellungnahmen schriftlich, zur Niederschrift oder elektronisch per Mail an die E-Mail-Adresse bauamt@tholey.de vorgebracht werden. Über die Beteiligungsplattform des Planungsbüros können zudem Stellungnahmen direkt beim Planungsbüro eingereicht werden. Nicht fristgerecht vorgebrachte Stellungnahmen können bei der Beschlussfassung über den Bebauungsplan unberücksichtigt bleiben.

Für die FNP-Teiländerung gilt:

Eine Vereinigung im Sinne des § 4 Absatz 3 Satz 1 Nummer 2 des Umwelt-Rechtsbehelfsgesetzes ist in einem Rechtsbehelfsverfahren nach § 7 Absatz 2 des Umwelt-Rechtsbehelfsgesetzes gemäß § 7 Absatz 3 Satz 1 des Umwelt-Rechtsbehelfsgesetzes mit allen Einwendungen ausgeschlossen, die sie im Rahmen der Auslegungsfrist nicht oder nicht rechtzeitig geltend gemacht hat, aber hätte geltend machen können.

Hinweis zum Datenschutz

Im Rahmen der Abgabe einer Stellungnahme werden personenbezogene Daten, insbesondere Namen, Anschrift, Telefonnummer, die allein zur Information über das durchgeführte Verfahren dienen, verarbeitet. Mit Abgabe einer Stellungnahme erklärt sich die abgebende Person mit dieser Verarbeitung einverstanden. Sie willigt ein, dass die Gemeinde Tholey oder ein von der Gemeinde eingeschalteter Dritter (hier ein externes Planungsbüro) ihr postalisch oder per E-Mail Informationen zum durchgeführten Verfahren zukommen lässt. Sie ist gemäß § 15 der Datenschutz-Grundverordnung (DSGVO) jederzeit berechtigt, die Gemeinde Tholey oder den von der Gemeinde eingeschalteten Dritten um umfangreiche Auskunftserteilung zu den zu ihrer Person gespeicherten Daten zu ersuchen. Gemäß § 17 DSGVO kann sie jederzeit gegenüber der Gemeinde Tholey oder dem von der Gemeinde einschalteten Dritten die Berichtigung, Löschung und Sperrung einzelner personenbezogener Daten verlangen.

Im Zusammenhang mit dem Datenschutz weist die Gemeinde Tholey ausdrücklich darauf hin, dass ein Bauleitplanverfahren ein öffentliches Verfahren ist und daher in der Regel alle dazu eingehenden Stellungnahmen in öffentlichen Sitzungen beraten und entschieden werden. Soll eine Stellungnahme nur anonym behandelt werden, ist dies auf derselben eindeutig zu vermerken.

Tholey, den 14. Juni 2024
Andreas Maldener
Bürgermeister