Titel Logo
Tholeyer Nachrichten
Ausgabe 40/2022
Amtliche Bekanntmachungen
Zurück zur vorigen Seite
Zurück zur ersten Seite der aktuellen Ausgabe

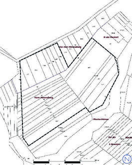
Lageplan, o.M.

Lageplan, o.M.

Geltungsbereich des Bebauungsplanes „Freiflächen-Photovoltaikanlage Schaumbergkreuz“ und der Teiländerung des Flächennutzungsplans in der Gemeinde Tholey, Ortsteile Bergweiler und Sotzweiler

Quelle und Stand Katastergrundlage: LVGL, 04.01.2022; Bearbeitung: Kernplan