Titel Logo
Tholeyer Nachrichten
Ausgabe 40/2022
Amtliche Bekanntmachungen
Zurück zur vorigen Seite
Zurück zur ersten Seite der aktuellen Ausgabe

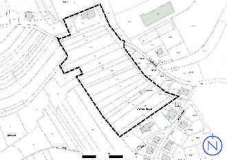
Lageplan, ohne Maßstab

Lageplan, ohne Maßstab

Geltungsbereich des Bebauungsplans „Wohngebiet Schaumbergblick, 1. Bauabschnitt“ in der Gemeinde Tholey, Ortsteil Theley

Quelle und Stand Katastergrundlage: LVGL Saarland, 28.11.2018; Bearbeitung: Kernplan, Stand: 01.07.2022