Titel Logo
Tholeyer Nachrichten
Ausgabe 47/2024
Amtliche Bekanntmachungen
Zurück zur vorigen Seite
Zurück zur ersten Seite der aktuellen Ausgabe

Bekanntmachung der Öffentlichen Auslegung gemäß § 3 Abs. 2 BauGB zum Bebauungsplan „Solarpark Dirminger Straße“ sowie zur parallelen Teiländerung des Flächennutzungsplanes

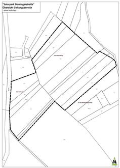
Abbildung: Geltungsbereich des Bebauungsplanes

Der Gemeinderat der Gemeinde Tholey hat in seiner Sitzung am 06.11.2024 den Entwurf des Bebauungsplanes „Solarpark Dirminger Straße“ mit paralleler Teiländerung des Flächennutzungsplanes gebilligt und die öffentliche Auslegung des Bebauungsplanes sowie der parallelen Teiländerung des Flächennutzungsplanes beschlossen.

Ziel des Bebauungsplanes sowie der FNP-Teiländerung

Ziel der beiden Bauleitplanverfahren ist die Schaffung der planungsrechtlichen Voraussetzungen zur Errichtung einer PV-Freiflächenanlage mit einer Gesamtleistung von ca. 9,5 Mwp auf einer Fläche von ca. 7,2 ha. Hierdurch soll ein aktiver Beitrag zum Klimaschutz geleistet werden.

Der Geltungsbereich des Bebauungsplanes erstreckt sich über einen Bereich mit der Flurbezeichnungen „Am Mistenberg“ und „Am Kühunter“ in Flur 5 der Gemarkung Tholey. Er umfasst hier die Parzellen: 128, 131/1, 134, 135, 137/1, 145/1, 147/1, 166/1, 168/1, 170/2, 175/1, 176, 179/1 und 290/143.

Die genaue Abgrenzung des Geltungsbereiches ist der folgenden Abbildung zu entnehmen.

Der Geltungsbereich der FNP-Teiländerung ist mit dem Geltungsbereich des Bebauungsplanes identisch.

Der Bebauungsplan „Solarpark Dirminger Straße“ und die parallele Teiländerung des Flächennutzungsplanes wurden bereits vom 17.06.2024 bis einschließlich 19.07.2024 öffentlich ausgelegt (frühzeitige Beteiligung gem. § 3 Abs 1 BauGB).

Gemäß § 3 Abs. 2 Baugesetzbuch (BauGB), in der Fassung der Bekanntmachung vom 3. November 2017 (BGBl. I S. 363), zuletzt geändert durch Artikel 3 des Gesetzes vom 20. Dezember 2023 (BGBl. 2023 I Nr. 394), wird hiermit öffentlich bekannt gemacht, dass der Bebauungsplan „Solarpark Dirminger Straße“ mit paralleler Teiländerung des Flächennutzungsplanes vom 25.11.2024 bis einschließlich zum 03.01.2025 im Rathaus der Gemeinde Tholey, Im Kloster 1, Besprechungszimmer Fachbereich Bauen, Wohnen, Umwelt, 66636 Tholey, zu den untenstehenden Sprechzeiten öffentlich ausliegen.

Es ist davon auszugehen, dass der Zeitraum der Auslegung der Komplexität der Planungsaufgabe angemessen ist.

Öffnungszeiten der Gemeinde Tholey

Montag, Dienstag, Donnerstag: 8:30 - 12:00 Uhr; 13:30 - 16:00 Uhr

Mittwoch: 8:30 - 12:00 Uhr; 13:30 - 18:00 Uhr

Freitag: 8:30 - 12:00 Uhr

Hinweis: Das Rathaus ist vom 24.12.2024 bis einschließlich 01.01.2025 geschlossen.

Gleichzeitig werden die Beteiligungsunterlagen im Internet auf der Homepage der Gemeinde Tholey unter https://www.tholey.de/bauen/bebauungsplaene/

veröffentlicht und zum Download bereitgestellt.

Zusätzlich besteht die Möglichkeit zur Teilnahme am elektronischen Beteiligungsverfahren. Unter der Internetadresse

https://argusconcept.planungsbeteiligung.de

kann jedermann Einsicht in die vollständigen Unterlagen zum Verfahren nehmen und Stellungnahmen abgeben. Dieser Dienst steht nur während der Beteiligungsfristen vom 25.11.2024 - 03.01.2025 zur Verfügung.

Folgende wesentliche umweltbezogene Stellungnahmen werden mit offengelegt:

Deutscher Wetterdienst: empfiehlt für den geplanten Solarpark in Tholey einen Mindestabstand von 50 Metern zur Wetterstation, idealerweise 100 Meter, um Temperaturmessungen nicht zu beeinträchtigen.

Landesamt für Umwelt- und Arbeitsschutz

Artenschutz: Gehölzarbeiten nur von 1.10. bis 28.2. Schutz angrenzender Gehölze durch Bauzaun. Ökologische Baubegleitung empfohlen. Maßnahmen zur Förderung der Biodiversität (z. B. Mindestabstand Modulreihen 2,50 m, Totholz-/Steinhaufen).

Eingriffsregelung: Eingriffs-Ausgleichs-Bilanzierung wird ergänzt. Belegungsplan und Modulparameter erforderlich.

Schutzgebiete: Keine Betroffenheit von Schutzgebieten. Schutz der nahegelegenen FFH-Wiese durch Bauzäune.

Einfriedung: Zaun mit mind. 15 cm Bodenfreiheit zum Schutz von Kleintieren.

Kompensationskataster: Digitale Daten an das LUA übermitteln.

Bodenschutz: Bodenkundliche Baubegleitung empfohlen (Erosions- und Verdichtungsgefahr).

Immissionsschutz: Blendgutachten erforderlich.

Landwirtschaftskammer: Keine grundsätzlichen Bedenken, aber CEF-Maßnahmen für Wachtel und Lerche werden als unnötig betrachtet, da diese Arten auch auf Ackerflächen vorkommen. Empfehlung: Keine zusätzlichen landwirtschaftlichen Flächen für CEF-Maßnahmen beanspruchen.

Ministerium für Bauen, Inneres und Sport: Externe Kompensationsmaßnahmen sollen frühzeitig verortet und mögliche Zielkonflikte vor weiteren Verfahrensschritten abgestimmt werden.

Oberste Straßenverkehrsbehörde: Blendgutachten erforderlich

Folgende Unterlagen werden weiterhin ausgelegt:

Planzeichnung des Bebauungsplanes

Begründung und Umweltbericht als gesonderter Teil der Begründung mit folgenden Inhalten:

-

Umweltrelevante Angaben zum Standort

o

Bedarf an Grund und Boden

o

Festlegung von Umfang und Detaillierungsgrad der Umweltprüfung

o

Festgelegte Ziele des Umweltschutzes gemäß Fachgesetzen und Fachplänen

o

Abgrenzung des Untersuchungsraumes

o

Naturraum und Relief, Geologie und Böden, Oberflächengewässer / Grundwasser, Klima und Lufthygiene, Arten und Biotope, Landschaftsbild, Freizeit / Erholung, Kultur- und Sachgüter

o

Immissionssituation

o

Entwicklung des Umweltzustandes bei Nichtdurchführung der Planung

o

Beschreibung der Vermeidungs-, Verminderungs- und Ausgleichsmaßnahmen

o

Prognose über die Entwicklung des Umweltzustandes

o

Auswirkungen der Planung auf die Schutzgüter Böden, Wasser, Luft /Klima und Wechselwirkungen

o

Auswirkungen der Planung auf die Schutzgüter Tiere, Pflanzen, Biotope und das Landschaftsbild

o

Auswirkungen der Planung auf die Gesundheit des Menschen

o

Wahrscheinlichkeit von Auswirkungen der Planung

o

Dauer, Häufigkeit und Reversibilität der Auswirkungen der Planung

o

Prüfung von Planungsalternativen

Folgende Fachgutachten werden zudem ausgelegt:

PV-Planung bei Tholey Standort Dirminger Straße - Untersuchung zur Avifauna Ergebnisbericht (Büro für Landschaftsökologie Flottmann)

SolPEG Blendgutachten Solarpark Tholey - Analyse der potenziellen Blendwirkung einer geplanten PV-Anlage in der Nähe von Tholey im Saarland, Stand: 09.10.2024

Die Entwürfe der Bauleitpläne können während der Auslegungsfrist von jedermann eingesehen werden. Über Ihren Inhalt, die allgemeinen Ziele und Zwecke sowie wesentlichen Auswirkungen der Planung wird Auskunft erteilt und es besteht die Möglichkeit zur Äußerung. Während der Auslegungsfrist können von jedermann Stellungnahmen schriftlich, zur Niederschrift oder elektronisch per Mail an die E-Mail-Adresse: bauamt@tholey.de vorgebracht werden. Über die Beteiligungsplattform des Planungsbüros können zudem Stellungnahmen direkt beim Planungsbüro eingereicht werden. Nicht fristgerecht vorgebrachte Stellungnahmen können bei der Beschlussfassung über den Bebauungsplan unberücksichtigt bleiben.

Als Teil der Öffentlichkeit werden auch interessierte Kinder und Jugendliche aufgefordert, sich zu den Planungen zu äußern.

Für die FNP-Teiländerung gilt:

Eine Vereinigung im Sinne des § 4 Absatz 3 Satz 1 Nummer 2 des Umwelt-Rechtsbehelfsgesetzes ist in einem Rechtsbehelfsverfahren nach § 7 Absatz 2 des Umwelt-Rechtsbehelfsgesetzes gemäß § 7 Absatz 3 Satz 1 des Umwelt-Rechtsbehelfsgesetzes mit allen Einwendungen ausgeschlossen, die sie im Rahmen der Auslegungsfrist nicht oder nicht rechtzeitig geltend gemacht hat, aber hätte geltend machen können.

Hinweis zum Datenschutz

Im Rahmen der Abgabe einer Stellungnahme werden personenbezogene Daten, insbesondere Namen, Anschrift, Telefonnummer, die allein zur Information über das durchgeführte Verfahren dienen, verarbeitet. Mit Abgabe einer Stellungnahme erklärt sich die abgebende Person mit dieser Verarbeitung einverstanden. Sie willigt ein, dass die Gemeinde Tholey oder ein von der Gemeinde eingeschalteter Dritter (hier ein externes Planungsbüro) ihr postalisch oder per E-Mail Informationen zum durchgeführten Verfahren zukommen lässt. Sie ist gemäß § 15 der Datenschutz-Grundverordnung (DSGVO) jederzeit berechtigt, die Gemeinde Tholey oder den von der Gemeinde eingeschalteten Dritten um umfangreiche Auskunftserteilung zu den zu ihrer Person gespeicherten Daten zu ersuchen. Gemäß § 17 DSGVO kann sie jederzeit gegenüber der Gemeinde Tholey oder dem von der Gemeinde einschalteten Dritten die Berichtigung, Löschung und Sperrung einzelner personenbezogener Daten verlangen.

Tholey, den 22.11.2024
Andreas Maldener
Bürgermeister