Titel Logo
Amtsblatt der Verwaltungsgemeinschaft Ranis-Ziegenrück
Ausgabe 1/2024
Amtliche Bekanntmachungen
Zurück zur vorigen Seite
Zurück zur ersten Seite der aktuellen Ausgabe

Bekanntmachung der Satzung Kroelpa

Ortsübliche Bekanntmachung

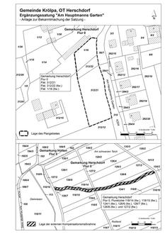
der Satzung über die Ergänzungssatzung „Am Hauptmanns Garten“ der Gemeinde Krölpa gemäß § 10 Abs. 3 Baugesetzbuch (BauGB)

Der Gemeinderat der Gemeinde Krölpa hat in seiner öffentlichen Sitzung am 23. Juni 2023 den Satzungsbeschluss über die Ergänzungssatzung „Am Hauptmanns Garten“ im Ortsteil Herschdorf für die in der Anlage gekennzeichnete Fläche nach § 34 Abs. 4 Satz 1 Nr. 3 BauGB in der Fassung vom 5. Juni 2023 bestehend aus den zeichnerischen und textlichen Festsetzungen gefasst.

Der Satzungsbeschluss wird hiermit gemäß § 10 Abs. 3 des Baugesetzbuches (BauGB) ortsüblich bekannt gemacht. Die Satzung tritt mit dieser Bekanntmachung in Kraft.

Die Ergänzungssatzung „Am Hauptmanns Garten“ einschließlich der Begründung und der Anlagen wird in der Verwaltung der VG Ranis-Ziegenrück (Pößnecker Straße 2, 07389 Ranis) während der folgenden

Sprechzeiten:

Dienstag

von 09.00 Uhr bis 12.00 Uhr und

von 13.00 Uhr bis 18:00 Uhr

Donnerstag

von 09.00 Uhr bis 12.00 Uhr und

von 13.00 Uhr bis 16.00 Uhr

Freitag

von 09:00 Uhr bis 12:00 Uhr

zu jedermanns Einsicht bereitgehalten. Auf Verlangen wird über den Inhalt der Ergänzungssatzung Auskunft gegeben. Die in Kraft getretene Ergänzungssatzung wird gemäß § 10a Abs. 2 BauGB ergänzend auch auf der Internetseite der VG Ranis-Ziegenrück unter www.vg-ranis-ziegenrueck.de/bekanntmachungen zugänglich gemacht.

Bekanntmachungsanordnung:

Gemäß § 215 Abs. 1 Satz 1 BauGB werden

1.

eine nach § 214 Abs.1 Satz 1 Nr. 1 - 3 BauGB beachtliche Verletzung der dort bezeichneten Verfahrens- und Formvorschriften,

2.

eine unter Berücksichtigung des § 214 Abs. 2 BauGB beachtliche Verletzung der Vorschriften über das Verhältnis der Satzung und des Flächennutzungsplans und

3.

nach § 214 Abs. 3 Satz 2 BauGB beachtliche Mängel des Abwägungsvorgangs

und gemäß § 215 Abs. 1 Satz 2 i. V. m. Satz 1 BauGB nach § 214a Abs. 2a BauGB beachtliche Fehler unbeachtlich, wenn sie nicht innerhalb eines Jahres seit Bekanntmachung der Satzung schriftlich gegenüber der Gemeinde unter Darlegung des die Verletzung begründenden Sachverhalts geltend gemacht worden sind.

Ein Entschädigungsberechtigter kann Entschädigung verlangen, wenn durch diese Satzung einer der in den §§ 39 bis 42 BauGB bezeichneten Vermögensnachteile eingetreten ist. Ein Entschädigungsanspruch erlischt, wenn nicht innerhalb von drei Jahren nach Ablauf des Kalenderjahres, in dem die Vermögensnachteile eingetreten sind, die Fälligkeit des Anspruchs herbeigeführt wird. Auf die Vorschriften des § 44 Abs. 3 Satz 1 und 2 sowie Abs. 4 BauGB über die fristgemäße Geltendmachung etwaiger Entschädigungsansprüche und über das Erlöschen von Entschädigungsansprüchen wird hingewiesen.

Hinweis nach § 21 Abs. 4 S. 4 Thüringer Kommunalordnung (ThürKO):

Sollte die vorstehen bekannt gemachte Satzung unter Verletzung von Verfahrens- oder Formvorschriften, die in der ThürKO enthalten oder aufgrund der ThürKO erlassen worden sind, zustande gekommen sein, so ist eine solche Verletzung unbeachtlich, wenn sie nicht innerhalb eines Jahres nach der Bekanntmachung gegenüber der Gemeinde Krölpa, etwa unter Verwendung der Anschrift (Gemeinde Krölpa, c/o VG Ranis-Ziegenrück, Pößnecker Straße 2, 07389 Ranis) unter Bezeichnung des Sachverhaltes, der die Verletzung begründen soll, schriftlich geltend gemacht worden ist. Dies gilt nicht, wenn Vorschriften über die Genehmigung, die Ausfertigung oder die Bekanntmachung verletzt worden sind. Wurde eine Verletzung nach vorgenannten Satz geltend gemacht, so kann auch nach Ablauf der genannten Jahresfrist jedermann diese Verletzung geltend machen.

Gemeinde Krölpa

Krölpa, den 2. Januar 2024

Jonas Chudasch, Bürgermeister