Titel Logo
Stadt Wadern
Ausgabe 39/2025
Amtliche Mitteilungen - Standard
Zurück zur vorigen Seite
Zurück zur ersten Seite der aktuellen Ausgabe

Bekanntmachung

Stadt Wadern, Stadtteil Bardenbach

Aufstellung des vorhabenbezogenen Bebauungsplanes "Biogasanlage Bardenbach" mit paralleler Teiländerung des Flächennutzungsplanes

Bekanntmachung

  • des Aufstellungsbeschluss gemäß § 2 (1) BauGB
  • der Frühzeitigen Beteiligung der Öffentlichkeit gemäß § 3 (1) BauGB

Gemäß § 2 Abs. 1 Baugesetzbuch (BauGB), wird hiermit öffentlich bekannt gemacht, dass der Rat der Stadt Wadern in seiner Sitzung am 27.03.2025 beschlossen, gemäß § 2 BauGB im Stadtteil Bardenbach einen vorhabenbezogenen Bebauungsplan mit der Bezeichnung „Biogasanlage Bardenbach“ aufzustellen und parallel den Flächennutzungsplan im Geltungsbereich des Bebauungsplans zu ändern.

Weiterhin hat der Rat der Stadt Wadern in seiner öffentlichen Sitzung am 22.05.2025 die Vorentwürfe des vorhabenbezogenen Bebauungsplanes "Biogasanlage Bardenbach" und der Flächennutzungsplanteiländerung gebilligt und die frühzeitige Beteiligung gemäß § 3 Abs. 1 und § 4 Abs. 1 BauGB beschlossen.

Ziel des Bebauungsplanes und der FNP-Teiländerung ist die die Errichtung der „Biogasanlage Bardenbach“ mit einer Gesamtleistung von 1,3 Mio. kWh/a Strom. Mit der Aufstellung des Bebauungsplanes leistet die Stadt Wadern einen wichtigen Beitrag die Nutzung regenerativer Energien in der Stadt Wadern zu fördern.

Die Biogasanlage soll auf privaten Eigentumsflächen des Betreibers, einer Teilfläche des bestehenden Abbau- und Deponie-Betriebs der SMR GmbH Sandgrube Wadern verwirklicht werden.

Da es sich um ein konkretes Vorhaben eines Investors handelt, wird ein vorhabenbezogener Bebauungsplan mit Vorhaben- und Erschließungsplan nach § 12 BauGB aufgestellt.

Die Teiländerung des Flächennutzungsplanes ist erforderlich, damit der in Aufstellung befindliche Bebauungsplan aus dem Flächennutzungsplan entwickelt werden kann.

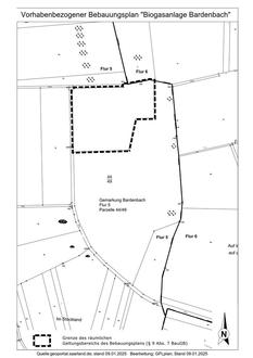
Der Geltungsbereich des Bebauungsplanes und der Teiländerung des Flächennutzungsplanes liegt in der Gemarkung Bardenbach, Flur 5 innerhalb der Parzelle Nr. 44/49 (Teilfläche laut aktuell geplanter Teilung). Der Geltungsbereich hat eine Größe von 2,00 ha. Die genaue Abgrenzung ist der beigefügten Planzeichnung zu entnehmen.

Gemäß § 3 Abs. 1 BauGB wird hiermit öffentlich bekannt gemacht, dass der Vorentwurf des Bebauungsplans und der Teiländerung des Flächennutzungsplanes in der Zeit vom

26.09.2025 bis einschließlich 31.10.2025

im Rathaus der Stadt Wadern, Marktplatz 13, 66687 Wadern, Zimmer Nr. C104, während der allgemeinen Dienststunden

Mo 08:30 - 12:00 Uhr und 13:30 - 15:30 Uhr

Di 08:30 - 12:00 Uhr

Mi 08:30 - 12:00 Uhr und 13:30 - 15:30 Uhr

Do 08:30 - 12:00 Uhr und 13:30 - 18:00 Uhr

Fr 08:30 - 12:00 Uhr

eingesehen werden kann.

Folgende Unterlagen / umweltbezogenen Informationen werden ausgelegt:

Diese öffentliche Bekanntmachung nach § 3 Abs. 1 BauGB

Planzeichnung des Bebauungsplanes (Teil A) mit textlichen Festsetzungen (Teil B)

Begründung zum Bebauungsplan

Vorhaben- und Erschließungsplan

Planzeichnung der Flächennutzungsplan-Teiländerung

Begründung zur Flächennutzungsplan-Teiländerung

Gemeinsamer Umweltbericht zu Bebauungsplan und FNP-Teiländerung

Bei Bedarf wird die Planung erläutert.

Der Inhalt der ortsüblichen Bekanntmachung für die frühzeige Beteiligung und die Planunterlagen können ab dem 26.09.2025 auf der Website der Stadt Wadern (https://ssl.wadern.de/bauen-umwelt/stadtentwicklung-stadtplanung/bauleitplanung) und über das zentrale Internetportal des Landes (www.uvp-verbund.de/kartendienste) eingesehen werden.

Während der Auslegungsfrist können von jedermann Stellungnahmen schriftlich, zur Niederschrift oder elektronisch per Mail vorgebracht werden.

Nicht fristgerecht vorgebrachte Stellungnahmen können bei der Beschlussfassung über den Bebauungsplan unberücksichtigt bleiben sofern die Kommune deren Inhalt nicht kannte und nicht hätte kennen müssen und deren Inhalt für die Rechtmäßigkeit des Bauleitplans nicht von Bedeutung ist.

Das Ergebnis der frühzeitigen Beteiligung der Öffentlichkeit wird im weiteren Planaufstellungsverfahren beachtet bzw. von den Beschlussgremien gewissenhaft abgewogen.

Datenschutzhinweis:

Ihre personenbezogenen Daten werden im Rahmen der Beteiligung am Planverfahren verarbeitet. Die Verarbeitung erfolgt gemäß Art. 6 Abs. 1 lit. e DSGVO i.V.m. § 3 Abs. 2 BauGB. Zweck der Datenverarbeitung ist die Bearbeitung der Stellungnahmen zum Bebauungsplan. Es erfolgt keine Weitergabe Ihrer Daten an Dritte, soweit dies nicht gesetzlich vorgeschrieben ist. Die Verarbeitung Ihrer Daten erfolgt nur so lange, wie es für das Planverfahren erforderlich ist.

Anonyme Stellungnahme:

Es besteht die Möglichkeit, eine anonyme Stellungnahme abzugeben. In diesem Fall werden keine personenbezogenen Daten erhoben, und Ihre Anmerkungen werden ohne Zuordnung zu Ihrer Person berücksichtigt.

Hinweis zur Rechtsverwertbarkeit:

Bitte beachten Sie: Anonyme Stellungnahmen können nicht einer bestimmten Person zugeordnet werden. Daher ist eine Verwendung Ihrer anonymen Einwände in einem gerichtlichen Verfahren im Falle einer Klage nicht möglich.

Bitte senden Sie Ihre schriftliche Stellungnahme an Stadtverwaltung Wadern, Fachbereich 4 Bauen/Stadtplanung/Umwelt, Marktplatz 13, 66687 Wadern

isicks@wadern.de

Wadern, den 19.09.2025
Jochen Kuttler, Bürgermeister