Titel Logo
Stadt Wadern
Ausgabe 42/2023
Amtliche Mitteilungen - Standard
Zurück zur vorigen Seite
Zurück zur ersten Seite der aktuellen Ausgabe

Bekanntmachung Der Erneuten öffentlichen Auslegung des Bebauungsplanes „Mehrfamilienhausbebauung kleinbahnstrasse“

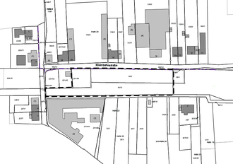
Übersichtslageplan mit Geltungsbereich

Der Rat der Stadt Wadern hat in seiner Sitzung am 22.09.2022 die Einleitung des Verfahrens zur Aufstellung des Vorhabenbezogenen Bebauungsplanes „Mehrfamilienhausbebauung Kleinbahnstraße“ beschlossen. In der gleichen Sitzung hat der Stadtrat der Stadt Wadern den Entwurf des Bebauungsplanes, gebilligt und die öffentliche Auslegung gem. § 13 a Abs. 2 Nr. 1 i.V.m. § 13 Abs. 2 Nr. 2 BauGB und § 3 Abs. 2 BauGB beschlossen. Die öffentliche Auslegung wurde vom 28.10.2022 – 30.11.2022 durchgeführt.

Ziele des Bebauungsplanes waren zunächst die Schaffung von Wohnraum in der Stadt Wadern und die Beseitigung eines städtebaulichen Missstandes.

Aufgrund von lärmschutzrechtlichen Einwänden wurde ein Lärmschutzgutachten erstellt, welches u.a. zum Ergebnis kommt, dass das vorliegende Plangebiet nicht als Allgemeines Wohngebiet ausgewiesen werden kann. Die Gebietsart wird daher in ein Urbanes Gebiet geändert. Unter den daraus resultierenden Änderungen und Ergänzungen in Plan und Begründung des Bebauungsplanes soll das Verfahren nun mit einer erneuten öffentlichen Auslegung fortgesetzt werden. Die im Rahmen der öffentlichen Auslegung eingegangenen Bedenken und Anregungen wurden bei der erneuten öffentlichen Änderung des Entwurfs des Bebauungsplanes berücksichtigt.

Der Geltungsbereich des vorhabenbezogenen Bebauungsplans „Mehrfamilienhausbebauung Kleinbahnstraße“ umfasst die Parzellen 18/3, 18/10 und 231/46 in Flur 5 der Gemarkung Nunkirchen.

Die genaue Abgrenzung des Geltungsbereiches ist der folgenden Abbildung zu entnehmen.

Der Bebauungsplan soll im beschleunigten Verfahren gemäß § 13 a BauGB ohne Durchführung einer Umweltprüfung nach § 2 Abs. 4 BauGB sowie ohne Durchführung der frühzeitigen Beteiligung der Öffentlichkeit und der Behörden und Träger öffentlicher Belange gem. § 3 Abs. 1 und § 4 Abs. 1 BauGB aufgestellt werden. Im beschleunigten Verfahren können Bebauungspläne aufgestellt werden, die der Wiedernutzbarmachung von Flächen, der Nachverdichtung oder anderen Maßnahmen der Innenentwicklung (Bebauungspläne der Innenentwicklung) dienen.

Der Rat der Stadt Wadern hat in seiner Sitzung am 28.09.2023 den Entwurf des Bebauungsplans „Mehrfamilienhausbebauung Kleinbahnstraße“ bestehend aus der Planzeichnung (Teil A) und dem Textteil (Teil B) gebilligt und die erneute öffentliche Auslegung gem. § 4a Abs. 3 BauGB beschlossen.

Gemäß § 4a Abs. 3 i.V.m. § 3 Abs. 2 des Baugesetzbuches in der Fassung der Bekanntmachung vom 3. November 2017 (BGBl. I S. 3634), das zuletzt durch Artikel 3 des Gesetzes vom 12. Juli 2023 (BGBl. 2023 I Nr. 184) geändert worden ist, wird hiermit öffentlich bekannt gemacht, dass der Entwurf des Planes und die dazugehörige Begründung in der Zeit vom 20. Oktober 2023 bis einschließlich 08. November 2023 im Rathaus der Stadt Wadern, Zimmer C104, zu den untenstehenden Sprechzeiten erneut öffentlich ausliegt.

Öffnungszeiten

Montag bis Freitag: 8:30 – 12:00 Uhr

Montag und Mittwoch: 13:30 – 15:30 Uhr

Donnerstag: 13:30 – 18:00 Uhr

Gleichzeitig wird der Bebauungsplan „Mehrfamilienhausbebauung Kleinbahnstraße“ im Internet auf der Homepage der Wadern (https://ssl.wadern.de/service-rathaus/stadtentwicklung/bauleitplanung) zum Download bereitgestellt.

Zusätzlich besteht die Möglichkeit zur Teilnahme am elektronischen Beteiligungsverfahren. Unter der Internetadresse

https://argusconcept.planungsbeteiligung.de

kann jedermann Einsicht in die vollständigen Unterlagen zum Verfahren nehmen und Stellungnahmen abgeben. Dieser Dienst steht nur während der Beteiligungsfristen vom 20. Oktober 2023 bis einschließlich zum 08. November 2023 zur Verfügung.

Es ist davon auszugehen, dass der Zeitraum der Auslegung der Komplexität der Planungsaufgabe angemessen ist.

Folgende wesentliche umweltbezogene Stellungnahmen werden mit offengelegt:

Landesamt für Umwelt und Arbeitsschutz:

o

Das Gebiet soll als Mischgebiet ausgewiesen werden. Ein Schallschutzgutachten soll erstellt werden.

o

Im Planbereich sind altlastenverdächtige Flächen eingetragen. Zur Einschätzung der Gefährdungssituation ist ein Sachverständigengutachten vorzulegen.

o

Eine Untersuchung der Fläche auf ein Vorkommen von Reptilien und deren Lebensräume ist durchzuführen.

o

Schutzmaßnahmen bezüglich Avi- und Fledermausfauna sind zu ergreifen.

Landesdenkmalamt:

o

Es wird auf die Anzeigepflicht von Bodenfunden und das Veränderungsverbot sowie Ordnungswidrigkeiten hingewiesen

Ministerium für Inneres, Bauen und Sport, Referat OBB 1.1:

o

Die Baulückenbilanz ist zu prüfen und anzupassen.

o

Die Übereinstimmung der Planung mit den Bestimmungen des §50 BimSchG ist zu überprüfen.

Ministeriums für Wirtschaft, Innovation, Digitales Und Energie:

o

Die Nutzung erneuerbarer Energien ist bei der Planung zu prüfen.

o

Das Oberbergamt ist zu beteiligen.

Oberbergamt:

o

Das Gebiet befindet sich im Bereich einer ehemaligen Eisenerzkonzession.

Landkreis Merzig-Wadern, Gesundheitsamt:

o

Die Trinkwasserverordnung ist zu beachten.

Folgende Unterlagen liegen vor:

Diese öffentliche Bekanntmachung nach § 3 Abs. 2 BauGB

Planzeichnung des Bebauungsplanes (Teil A)

Textteil des Bebauungsplanes (Teil B)

Begründung des Bebauungsplanes

Geräuscheinwirkung durch Gewerbelärm und Straßenverkehrsgeräusche im Plangebiet „Kleinbahnstraße“ in Wadern-Nunkirchen (SCHALLSCHUTZ-SAAR Audiotechnik Loch - Ingenieurbüro für Akustik & Schallschutz, 21.01.2023)

Artenschutzrechtlicher Fachbeitrag (Reptilien) im Rahmen der Mehrfamilienhausbebauung Kleinbahnstrasse, Nunkirchen, Büro für Landschaftsökologie GbR, Juli 2023

Während der Auslegungsfrist können von jedermann Stellungnahmen schriftlich, zur Niederschrift oder elektronisch per Mail an die E-Mail-Adresse: stadt@wadern.de vorgebracht werden. Über die Beteiligungsplattform des Planungsbüros können zudem Stellungnahmen direkt beim Planungsbüro eingereicht werden. Nicht fristgerecht vorgebrachte Stellungnahmen können bei der Beschlussfassung über den Bebauungsplan unberücksichtigt bleiben.

Hinweis zum Datenschutz

Im Rahmen der Abgabe einer Stellungnahme werden personenbezogene Daten, insbesondere Namen, Anschrift, Telefonnummer, die allein zur Information über das durchgeführte Verfahren dienen, verarbeitet. Mit Abgabe einer Stellungnahme erklärt sich die abgebende Person mit dieser Verarbeitung einverstanden. Sie willigt ein, dass die Stadt Wadern oder ein von der Gemeinde eingeschalteter Dritter (hier ein externes Planungsbüro) ihr postalisch oder per E-Mail Informationen zum durchgeführten Verfahren zukommen lässt. Sie ist gemäß § 15 der Datenschutz-Grundverordnung (DSGVO) jederzeit berechtigt, die Stadt Wadern oder den von der Gemeinde eingeschalteten Dritten um umfangreiche Auskunftserteilung zu den zu ihrer Person gespeicherten Daten zu ersuchen. Gemäß § 17 DSGVO kann sie jederzeit gegenüber der Stadt Wadern oder dem von der Gemeinde einschalteten Dritten die Berichtigung, Löschung und Sperrung einzelner personenbezogener Daten verlangen.

Im Zusammenhang mit dem Datenschutz weist die Stadt Wadern ausdrücklich darauf hin, dass ein Bauleitplanverfahren ein öffentliches Verfahren ist und daher in der Regel alle dazu eingehenden Stellungnahmen in öffentlichen Sitzungen beraten und entschieden werden. Soll eine Stellungnahme nur anonym behandelt werden, ist dies auf derselben eindeutig zu vermerken.