Titel Logo
Amtsblatt der Stadt Nottertal-Heilinger Höhen
Ausgabe 9/2025
Amtlicher Teil
Zurück zur vorigen Seite
Zurück zur ersten Seite der aktuellen Ausgabe

Bauleitplanung der Gemeinde Marolterode

Bekanntmachung

Bauleitplanung der Gemeinde Marolterode

Aufstellung der 2. Änderung des Flächennutzungsplanes - Bereich ehemaliger Gasspeicher der Gemeinde Marolterode

Hier:

Öffentlichkeitsbeteiligung gemäß § 3 (2) BauGB

Beteiligung der Träger öffentlicher Belange § 4 (2) BauGB

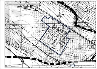
Der Gemeinderat der Gemeinde Marolterode hat in seiner Sitzung am 09.08.2024 den Aufstellungsbeschluss zur 2. Änderung des Flächennutzungsplanes - Bereich ehemaliger Gasspeicher der Gemeinde Marolterode gefasst, die frühzeitige Öffentlichkeitsbeteiligung hat im Zeitraum 02.09.2024 - 11.10.2024 stattgefunden. Der Gemeinderat hat den Entwurf am 11.04.2025 mit Beschluss Nr.: 18/06/2025 gebilligt und zur öffentlichen Auslegung und Beteiligung der Träger öffentlicher Belange bestimmt. Der räumliche Geltungsbereich ist aus der mitveröffentlichten Planskizze ersichtlich.

Für die Gemeinde Marolterode liegt ein rechtskräftiger Flächennutzungsplan (FNP) aus dem Jahr 1992 vor. Bisher wird die Nutzung von Flächen durch regenerative Energiequellen im Flächennutzungsplan der Gemeinde Marolterode nicht beachtet. Spezifische Grundsätze oder Ziele in Bezug auf den Ausbau der erneuerbaren Energien sind dem FNP nicht zu entnehmen. Daher beabsichtigt die Gemeinde Marolterode durch die vorliegende 2. Änderung des Flächennutzungsplanes die grundsätzlichen bauplanungsrechtlichen Voraussetzungen für eine Photovoltaik-Freiflächenanlage und Anlagen zur Wasserstoff-Gewinnung zu schaffen. Aktuell wird der Änderungsbereich als Gewerbegebiet „Untergrundspeicher für Erdgas“ und „strukturbestimmender Betrieb“ dargestellt. Zukünftig soll die Darstellung als sonstiges Sondergebiet sowie als Flächen für die Landwirtschaft erfolgen.

Das Plangebiet befindet sich südöstlich der Ortslage Marolterode. Der Geltungsbereich umfasst eine Fläche von ca. 150.000 m² innerhalb der Gemarkung Marolterode, Flur 3.

Der Entwurf der 2. Änderung des Flächennutzungsplanes - Bereich ehemaliger Gasspeicher der Gemeinde Marolterode, bestehend aus der Planzeichnung und der Begründung mit Umweltbericht werden gemäß § 3 Abs. 2 und § 4 Abs. 2 BauGB in der Zeit

vom 05.05.2025 bis einschließlich 13.06.2025

unter der folgenden Internetadresse veröffentlicht:

https://www.nottertal-heilingerhoehen.de/bekanntmachungen/aemtermitteilungen/.

Zusätzlich sind die Unterlagen auf der Webseite der GLU GmbH Jena

https://www.glu.de/aktuelles/ veröffentlicht.

Weiterhin können die Unterlagen von jedermann zusätzlich zur Veröffentlichung im Internet in der Zeit

vom 05.05.2025 bis einschließlich 13.06.2025

in der Stadtverwaltung Nottertal-Heilinger Höhen, Bauamt, Markt 1 in 99994 Nottertal-Heilinger Höhen während folgender Sprechzeiten eingesehen werden:

Montag

9.00 - 12.00 Uhr

Dienstag

9.00 - 12.00 Uhr und 13.00 - 18.00 Uhr

Mittwoch

geschlossen

Donnerstag

9.00 - 12.00 Uhr und 13.00 - 16.00 Uhr

Freitag

9.00 - 12.00 Uhr

zu jedermanns Einsicht öffentlich aus.

Fachliche und inhaltliche Erläuterungen und Auskünfte zur o.a. Planung sind innerhalb der Öffnungszeiten oder auch nach gesonderter Terminabsprache möglich. Stellungnahmen können während der Auslegungsfrist schriftlich (per Email, Fax, postalisch etc.) oder während der Öffnungszeiten bzw. nach gesonderter Terminabsprache mündlich oder zur Niederschrift vorgebracht werden. Stellungnahmen, welche elektronisch abgegeben werden sind an folgende E-Mail-Adresse zu richten: post@stadt-nhh.de

Während der Veröffentlichung stehen folgende umweltrelevante Informationen zur Verfügung:

1.

Umweltbericht

1.1.

Beschreibung und Bewertung der Umweltauswirkungen im Hinblick auf folgende naturräumliche Schutzgüter:

Schutzgut Arten und Lebensgemeinschaften

Boden,

Fläche,

Wasser,

Klima/Luft,

Landschaft und Erholung

Mensch

Kultur

1.2.

Beschreibung der Maßnahmen zur Vermeidung, Minimierung und zum Ausgleich festgestellter erheblicher Umweltauswirkungen

2.

spezielle artenschutzrechtliche Prüfung sowie Fledermaus- und Vogelgutachten

3.

Umweltrelevante Stellungnahmen

3.1.

Stellungnahme des Landratsamt Kyffhäuserkreis mit Bezug auf die Schutzgüter: Arten und Lebensgemeinschaften, Landschaftsbild, Schutzgebiete

3.2.

Stellungnahme des Thüringer Landesamtes für Denkmalpflege und Archäologie mit Bezug auf die Schutzgüter: Kultur und Sachgüter

3.3.

Stellungnahme des Thüringer Landesamtes für Landwirtschaft und ländlicher Raum mit Bezug auf die Schutzgüter: Mensch, Boden

3.4.

Stellungnahme des Thüringer Landesverwaltungsamtes mit Bezug auf die Schutzgüter: Schutzgebiete

3.5.

Stellungnahme LRA Brand-, Katastrophenschutz mit Bezug auf die Schutzgüter: Wasser, Mensch

3.6.

Stellungnahme Thüringer Landesamt für Umwelt. Bergbau und Naturschutz mit Bezug auf die Schutzgüter: Wasser, Boden. Schutzgebiete, Mensch

Es wird ausdrücklich darauf hingewiesen, dass nicht fristgerecht abgegebene Stellungnahmen bei der Beschlussfassung unberücksichtigt bleiben können.

Weiterhin wird darauf hingewiesen, dass eine Vereinigung im Sinne des § 4 Absatz 3 Satz 1 Nummer 2 des Umwelt-Rechtsbehelfsgesetzes in einem Rechtsbehelfsverfahren nach § 7 Absatz 2 des Umwelt-Rechtsbehelfsgesetzes gemäß § 7 Absatz 3 Satz 1 des Umwelt-Rechtsbehelfsgesetzes mit allen Einwendungen ausgeschlossen ist, die sie im Rahmen der Veröffentlichungsfrist nicht oder nicht rechtzeitig geltend gemacht hat, aber hätte geltend machen können.

Es wird zudem darauf aufmerksam gemacht, dass Dritte (Privatpersonen) mit der Abgabe einer Stellungnahme der Verarbeitung ihrer angegebenen Daten wie Name Adressdaten und E-Mail-Adresse zustimmen. Gemäß Art. 6 Absatz 1c EU-DSGVO werden die Daten im Rahmen des Bauleitplanverfahrens für die gesetzlich bestimmten Dokumentationspflichten und für die Informationspflicht Ihnen gegenüber genutzt.

Anlage: Übersichtsplan zum räumlichen Geltungsbereich

J. Haase

Bürgermeister

Marolterode, den 22.04.2025