Titel Logo
VG Dolmar-Salzbrücke
Ausgabe 7/2024
Nichtamtlicher Teil
Zurück zur vorigen Seite
Zurück zur ersten Seite der aktuellen Ausgabe
-

Kühndorf_-_Ausschreibung_gemeindlicher_Baugrundst_cke_zur_Wohnbebauung

Ausschreibung gemeindlicher Baugrundstücke zur Wohnbebauung

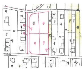
Die Gemeinde Kühndorf bietet 3 vollerschlossene Baugrundstücke im Wohngebiet „Herrenstecke“ zum Verkauf an.

Die verfügbaren Baugrundstücke sind im nachfolgenden Lageplan gekennzeichnet.

1.

Flurstück 20/5 mit einer Größe von 888 m2

2.

Flurstück 20/6 mit einer Größe von 997 m2

3.

Flurstück 20/8 mit einer Größe von 925 m2

Der Kaufpreis beträgt: 80 €/m2

Die Baugrundstücke verfügen über folgende Anschlüsse:

-

Wasser- und Abwasseranschluss

-

Stromanschluss

-

Glasfaserkabel (vorbereitet)

Für Auskünfte zu den einzelnen Baugrundstücken steht die Bauverwaltung der VG "Dolmar-Salzbrücke", Zella-Meininger-Straße 6, 98547 Schwarza unter der Telefonnummer 036843/79242 zur Verfügung.

Tobias Gebel

Bürgermeister