Titel Logo
Amtsblatt der Verbandsgemeinde Waldfischbach-Burgalben
Ausgabe 16/2025
Amtlicher Teil
Zurück zur vorigen Seite
Zurück zur ersten Seite der aktuellen Ausgabe

Bekanntmachung

Vollzug des Baugesetzbuches (BauGB) in der aktuellen Fassung;

7. Teiländerung des Flächennutzungsplanes der Verbandsgemeinde Waldfischbach-Burgalben im Bereich der Gemarkung Schmalenberg

Hier: Bekanntmachung des Änderungsbeschlusses gem. § 2 Abs. 1 Satz 2 BauGB sowie Bekanntmachung über die frühzeitige Öffentlichkeitsbeteiligung gem. § 3 Abs. 1 BauGB

Der Verbandsgemeinderat hat in seiner Sitzung am 22.03.2023 gemäß § 2 Abs. 1 BauGB beschlossen, den Flächennutzungsplan (FNP) der Verbandsgemeinde Waldfischbach-Burgalben im Bereich der Gemarkung Schmalenberg zu ändern. Gegenstand der Änderung ist die Ausweisung einer „Fläche für den Gemeinbedarf“ zugunsten des geplanten Neubaus für Kita und Feuerwehrgerätehaus.

Der Beschluss zur Änderung des FNP wird hiermit gem. § 2 Abs. 1 Satz 2 BauGB bekannt gemacht.

Parallel zur Änderung des FNP erfolgt die Aufstellung des Bebauungsplanes „Kita und Feuerwehrgerätehaus“ durch die Ortsgemeinde Schmalenberg.

Geltungsbereich:

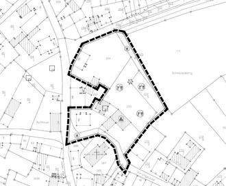
Der räumliche Geltungsbereich der 7. Flächennutzungsplanänderung wird im Südwesten durch die Kirchgasse (FlSt.-Nr.: 196/15), im Westen und Osten durch Wohnbebauung sowie im Norden durch landwirtschaftlich genutztes Grünland begrenzt. Das Plangebiet umfasst die Flurstücke 172/5, 193, 2803/2 und Teile des Flurstücks 194 in der Gewanne Zens auf der Gemarkung der Ortsgemeinde Schmalenberg.

Die genaue Abgrenzung des räumlichen Geltungsbereichs ist dem nachfolgenden Planskizze und der Plandarstellung der 7. Flächennutzungsplanänderung zu entnehmen.

Die Größe des Plangebietes beträgt insgesamt ca. 0,5 ha.

Bitte hier die jpg-Datei KW 16 amtl. VG FNP Kita und Feuerwehrhaus einfügen

Die vorstehende Planskizze erhebt keinen Anspruch auf Rechtsverbindlichkeit, sie dient lediglich dem besseren Verständnis der Bekanntmachung.

Planungsanlass und Planungsziel:

Die Ortsgemeinde Schmalenberg plant die Errichtung eines neuen Feuerwehrgerätehauses und einer gemeinschaftlichen Nutzung der Fläche mit dem örtlichen Kindergarten. Das gemeindeeigene Grundstück befindet sich nach Auskunft der unteren Landesplanungsbehörde der Kreisverwaltung Südwestpfalz derzeit planungsrechtlich im Außenbereich, was die Aufstellung eines Bebauungsplanes mit Anpassung des Flächennutzungsplanes im Parallelverfahren gem. § 8 Abs. 3 S. 1 BauGB notwendig macht. Mit der vorbereitenden Bauleitplanung sollen die Rechtsgrundlagen für die Umstrukturierung des Gebietes sowie die planungs- und baurechtlichen Voraussetzungen für die Feuerwehr-KiTa geschaffen werden. Die Löscheinheit Schmalenberg ist dem Ausrückebereich 2 der Verbandsgemeinde Waldfischbach-Burgalben zugeordnet; zusätzlich besteht in Schmalenberg eine First-Responder Gruppe, bei der qualifizierte Ersthelfer als Ergänzung zum Rettungsdienst zum Einsatz kommen. Der Kindergarten in ehemaliger Trägerschaft der protestantischen Kirchengemeinde in Schmalenberg ist nun gemeindlicher Kindergarten und soll erweitert werden.

Für das Hoheitsgebiet der Verbandsgemeinde Waldfischbach-Burgalben besteht ein im April 2005 von der Kreisverwaltung Südwestpfalz genehmigter Flächennutzungsplan mit integriertem Landschaftsplan, der aktuell durch das Planungsbüro WSW & Partner GmbH fortgeschrieben wird.

Der rechtskräftige Flächennutzungsplan (Teilplan 6 – Ortsgemeinde Schmalenberg) weist den Geltungsbereich als öffentliche Grünfläche und Verkehrsflächen aus. Um diesen Standort langfristig zu sichern und Umbau, Optimierungs- und Erweiterungsmöglichkeiten in einem städtebaulichen geordneten Rahmen zu ermöglichen, ist die Aufstellung der entsprechenden Bauleitplanverfahren erforderlich.

Da die Zielsetzungen für das Plangebiet nicht mit den Darstellungen des rechtswirksamen Flächennutzungsplans, der hier öffentliche Grünflächen darstellt, übereinstimmen, ist die 7. Änderung des Flächennutzungsplans erforderlich.

Frühzeitige Beteiligung der Öffentlichkeit:

Die frühzeitige Öffentlichkeitsbeteiligung gem. § 3 Abs. 1 BauGB erfolgt durch Veröffentlichung und öffentliche Auslegung der Vorentwurfsunterlagen.

Der Vorentwurf der 7. Teiländerung des Flächennutzungsplanes samt Begründung, wird in der Zeit

vom 22.04.2025 bis einschließlich 02.06.2025 (Veröffentlichungsfrist)

auf der Internetseite der Verbandsgemeinde Waldfischbach-Burgalben unter folgendem Link:

https://www.vgwaldfischbach-burgalben.de/bauleitplanung/ veröffentlicht und zusätzlich zur Einsichtnahme bei der Verbandsgemeindeverwaltung Waldfischbach-Burgalben, Friedhofstraße 3, 67714 Waldfischbach-Burgalben, Zimmer E 21, während der allgemeinen Öffnungszeiten (montags, dienstags von 08:30 – 12:00 Uhr und 14:00 – 16:00 Uhr, donnerstags von 08:30 – 12:00 Uhr und 14:00 – 18:00 Uhr und freitags von 08:30 – 13:00 Uhr) öffentlich ausgelegt.

Auch außerhalb der allgemeinen Öffnungszeiten ist -während der vorgenannten Veröffentlichungsfrist- eine Einsichtnahme nach vorheriger Terminvereinbarung mit einem Mitarbeiter der Bauverwaltung unter der Tel.-Nr.: 06333/925-143 oder per E-Mail an: planung@waldfischbach-burgalben.de möglich.

Die Öffentlichkeit kann sich während der Veröffentlichungsfrist bei der Verbandsgemeindeverwaltung Waldfischbach-Burgalben, Friedhofstraße 3, 67714 Waldfischbach-Burgalben, Zimmer E 21, über die allgemeinen Ziele und Zwecke der Planung, sich wesentlich unterscheidende Lösungen, die für die Neugestaltung oder Entwicklung eines Gebiets in Betracht kommen, und die voraussichtlichen Auswirkungen der Planung öffentlich unterrichten. Ihr wird zudem Gelegenheit zur Äußerung und Erörterung gegeben. Auch Kinder und Jugendliche sind Teil der Öffentlichkeit.

Es wird darauf hingewiesen,

-

dass Stellungnahmen während der Dauer der Veröffentlichungsfrist abgegeben werden können,

-

dass Stellungnahmen elektronisch an die E-Mail-Adresse: planung@waldfischbach-burgalben.de übermittelt werden sollen, bei Bedarf aber auch auf anderem Weg bei der Verbandsgemeindeverwaltung Waldfischbach-Burgalben, Friedhofstraße 3, 67714 Waldfischbach-Burgalben, abgegeben werden können (zum Beispiel schriftlich, per Fax Nr. 06333/925-190 oder zur Niederschrift)

Waldfischbach-Burgalben, den 08.04.2025
Verbandsgemeindeverwaltung
Gez.
(Felix Leidecker)
Bürgermeister