Titel Logo
Amtsblatt der Verwaltungsgemeinschaft Triptis
Ausgabe 9/2023
Amtliche Bekanntmachungen
Zurück zur vorigen Seite
Zurück zur ersten Seite der aktuellen Ausgabe

Stadt Triptis

Bekanntmachung

der Veröffentlichung im Internet und der öffentlichen Auslegung des geänderten Entwurfes (2. Entwurf) des vorhabenbezogenen Bebauungsplans Sondergebiet Solarenergie "Oberpöllnitz" (PV-FFA) entsprechend § 3 Abs. 2 i.V.m. § 4a Abs. 1 BauGB in Verbindung mit dem Gesetz zur Stärkung der Digitalisierung im Bauleitplanungsverfahren und zur Änderung weiterer Vorschriften

Der Stadtrat der Stadt Triptis hat am 22.08.2023 in öffentlicher Sitzung den geänderten Entwurf (2. Entwurf) des vorhabenbezogenen Bebauungsplanes Sondergebiet Solarenergie "Oberpöllnitz" (PV-FFA) gebilligt und zur Veröffentlichung im Internet sowie zur öffentlichen Auslegung bestimmt.

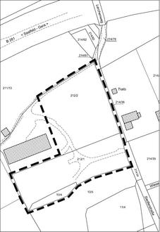
Das Plangebiet befindet sich nördlich der Ortslage von Oberpöllnitz und der B 281, unmittelbar westlich der Siedlerstraße Der Geltungsbereich des Plangebietes ist im beigefügten Übersichtsplan (Abbildung) dargestellt.

VBP Triptis Solarenergie „Oberpöllnitz“ (PV-FFA)

Anlage zum Beschluss vom 22.08-2023

Abbildung: Eingenordetes und unmaßstäblicher Lageplan mit Geltungsbereich des vorhabenbezogenen Bebauungsplans

Ziel des vorhabenbezogenen Bebauungsplanverfahrens ist die Schaffung der planerischen Voraussetzungen für die Errichtung einer ca. 1 ha großen Photovoltaik-Freiflächenanlage mit

Der vom Stadtrat am 22.08.2023 gebilligte und zur Veröffentlichung im Internet und erneuten Auslegung bestimmte geänderte Entwurf (2. Entwurf) des vorhabenbezogenen Bebauungsplans - bestehend aus Planzeichnung mit vorhabenbezogenem Bebauungsplan (Teil A), den textlichen Festsetzungen (Teil B), dem Vorhaben- und Erschließungsplan (Teil C) sowie Hinweisen und der Begründung mit Umweltbericht - wird in der Zeit

vom 09.10. bis einschließlich 10.11.2023

auf der Internetseite der Verwaltungsgemeinschaft Triptis unter Verwaltung/Bekanntmachungen (www.triptis.de/Verwaltung/Bekanntmachungen) veröffentlicht.

Ergänzend sind die benannten Planunterlagen innerhalb dieses Zeitraums im Rathaus der Stadt Triptis, Markt 1, 07819 Triptis, Rathaussaal:

Montag

08:00 bis 16:00 Uhr

Dienstag

08:00 bis 17:30 Uhr

Mittwoch

08:00 bis 12:00 Uhr

Donnerstag

08:00 bis 15:00 Uhr

Freitag

08:00 bis 12:00 Uhr

ausgelegt und einsehbar. Der Zugang zum Rathaus außerhalb der im Amtsblatt veröffentlichten Öffnungszeiten, wird nach Anmeldung unter Tel. 036482/359-0 oder per E-Mail info@triptis.de gewährt.

Im Veröffentlichungszeitraum besteht bis zum Ende der Veröffentlichungsfrist am 10. November 2023 (Datum des Poststempels) die Möglichkeit, Stellungnahmen zur Planung schriftlich oder elektronisch an die Stadt Triptis zu senden:

Stadt Triptis

über

Verwaltungsgemeinschaft Triptis

Markt 1

07819 Triptis

oder per E-Mail an info@triptis.de

Zum Vorhabenbezogenen Bebauungsplan werden folgende Fachgutachten und sonstigen umweltrelevanten Stellungnahmen öffentlich ausgelegt:

Begründung zum Bebauungsplan zu den Schutzgütern Tiere, Pflanzen, Fläche, Landschaft, Immissionsschutz.

Umweltbericht vom 07.08.2023 zu den Schutzgütern Tiere, Pflanzen, Fläche, Boden, Wasser, Luft, Klima, Wirkungsgefüge, biologische Vielfalt, Mensch, Kulturgüter, Sonstige Sachgüter, Abfälle und Abwasser, Nutzung erneuerbarer Energien, Belange der Wirtschaft und Belange der Versorgung.

Standortüberprüfung vom 29.09.2021 zu den Schutzgütern Landschaft, Fläche, Nutzung erneuerbarer Energien, Immissionsschutz.

Blendschutzgutachten vom 15.04.2021 zu den Schutzgütern Landschaft, Nutzung erneuerbarer Energien und Emissionen inklusive Anlagen.

Stellungnahmen des Landratsamtes Saale-Orla-Kreis, Schleiz, vom 19.11.2020 und 31.01.2022 zu den Schutzgütern Tiere, Pflanzen, Boden, Wasser, Landschaft.

Stellungnahmen des Thüringer Landesverwaltungsamtes, Weimar, vom 15.10.2020 und 03.02.2022 zu den Schutzgütern Fläche und Landschaft.

Stellungnahmen des Thüringer Landesamtes für Umwelt, Bergbau und Naturschutz, Weimar, vom 21.10.2020 und 12.01.2022 zu den Schutzgütern Pflanzen, Boden, Wasser, Abfälle und Abwasser.

Stellungnahme Arbeitsgruppe Artenschutz, Jena, vom 08.02.2022 zum Schutzgut Tiere.

Hinweise

Gemäß Gesetz zur Stärkung der Digitalisierung im Bauleitplanungsverfahren und anderer Vorschriften vom 03. Juli 2023 (BGBl. I Nr. 176) ist die Veröffentlichung der Planunterlagen im Internet für alle Kommunen verpflichtend. Zusätzlich sind leicht zu erreichende Zugangsmöglichkeiten zur Verfügung zu stellen: Die o.g. Planunterlagen werden zur Einsichtnahme in den Räumlichkeiten der VG Triptis, Stadt Triptis, Markt 1, 07819 Triptis, Rathaussaal öffentlich ausgelegt.

Bei der Abgabe von Stellungnahmen ist die Angabe der Anschrift des Verfassers zweckmäßig. Ohne Zuordnung der Stellungnahme kann die Einschätzung der Betroffenheit privater Belange erschwert sein.

Mit der Abgabe der Stellungnahme wird in die Erhebung, Verarbeitung und Nutzung personenbezogener Daten zum Zwecke der Durchführung des Bauleitplanverfahrens eingewilligt. Die Verarbeitung personenbezogener Daten erfolgt auf der Grundlage des Artikel 6 Absatz 1 lit. e Datenschutzgrundverordnung (DSGVO) in Verbindung mit Artikel 6 Absatz 3 lit. b DSGVO und § 3 Baugesetzbuch (BauGB). In Umsetzung der Informationspflichten der EU-Datenschutzgrundverordnung können am Veröffentlichungsort (Internetseite der VG Triptis) und am o.g. Auslegungsort in der VG Triptis innerhalb der Öffnungszeiten zur Auslegung die erforderlichen Informationen zur Verarbeitung personenbezogener Daten im Rahmen des Verfahrens eingesehen werden.

Stellungnahmen, die im Verfahren der Öffentlichkeits- und Behördenbeteiligung nicht rechtzeitig abgegeben worden sind, können bei der Beschlussfassung über den Bauleitplan unberücksichtigt bleiben, sofern die Gemeinde deren Inhalt nicht kannte und nicht hätte kennen müssen und deren Inhalt für die Rechtmäßigkeit des Bebauungsplans nicht von Bedeutung ist.

Ausgefertigt:  — Triptis, den 18.09.2023

Stadt Triptis

DER BÜGERMEISTER

gez. Peter Orosz

(Bürgermeister)