Der Stadtrat von Wurzbach hat in seiner Sitzung vom 08.11.2023 den Entwurf des vorhabenbezogenen Bebauungsplans „Lebensmittelmarkt Lobensteiner Straße“ in der Fassung vom 31.10.2023 beschlossen und zur öffentlichen Auslegung gemäß § 3 Abs. 2 BauGB bestimmt.
Der Entwurf des vorhabenbezogenen Bebauungsplans „Lebensmittelmarkt Lobensteiner Straße“, die Begründung mit Umweltbericht sowie die bisher vorliegenden umweltbezogenen Informationen werden im Zeitraum
vom 11.12.2023 bis einschließlich 19.01.2024
auf der Internetseite der Stadt Wurzbach https://www.wurzbach.de/bekanntmachungen/index.php veröffentlicht und können dort eingesehen werden.
Zusätzlich zur Veröffentlichung im Internet erfolgt im vorgenannten Zeitraum eine öffentliche Auslegung der genannten Unterlagen in der Bauverwaltung der Stadtverwaltung Wurzbach, Leutenberger Straße 10, 07343 Wurzbach, während der folgenden Dienstzeiten:
| Montag | 7:30 - 12:30 Uhr |
| Dienstag | 7:30 - 12:00 und 13:00 - 18:00 Uhr |
| Mittwoch | 7:30 - 12:30 Uhr |
| Donnerstag | 7:30 - 12:30 Uhr |
| Freitag | 7:30 - 12:00 Uhr |
Folgende umweltbezogenen Informationen waren zur Erstellung des Entwurfs verfügbar und werden ebenfalls mit veröffentlicht:
| Art der Umweltinformation | Themenblöcke nach Schutzgütern | Charakterisierung | |||||||||
| Mensch | Tier | Pflanzen | Boden | Wasser | Luft | Klima | Landschaft | Kultur- güter | Sach-güter | Wechsel- wirkungen | |
| Schallimmissionsprognose vom 14.03.23; Ingenieurbüro Frank & Schellenberger; Eisenach | x |
|
|
|
|
|
|
|
|
|
|
| Ergänzende schalltechnische Berechnung vom 22.08.23; Ingenieurbüro Frank & Schellenberger; Eisenach | x |
|
|
|
|
|
|
|
|
|
|
| Gutachten zur Ausbreitung von Luftbeimengungen vom 06.03.23; BfIP; Dipl-Met. André Zorn; Geratal | x |
|
|
|
| x |
|
|
|
|
|
| Verkehrsuntersuchung vom 16.08.23; SVU Dresden | x |
| x |
|
| x |
|
|
|
|
|
| Übersichtsplan Sichtbeziehungen vom 31.10.23; SIGMA PLAN Weimar GmbH |
|
|
|
|
|
|
| x | x | x |
|
| Biotoptypen- und Tierartenkarte vom 31.10.23; SIGMA PLAN Weimar GmbH |
| x | x |
|
|
|
|
|
|
|
|
| Umweltbericht vom 31.10.23 | x | x | x | x | x | x | x | x | x | x |
|
| Stellungnahme Landratsamt Saale-Orla-Kreis vom 28.06.23 | x | x | x | x | x | x |
| x | x | x |
|
| Stellungnahme Landesamt für Umwelt, Bergbau und Naturschutz vom 15.06.23 | x |
|
| x | x | x |
| x |
|
|
|
| Stellungnahme Landesamt für Denkmalpflege und Archäologie, FB Bau- und Kunstdenkmalpflege vom 23.05.23 |
|
|
|
|
|
|
| x | x | x |
|
| Stellungnahme Landesamt für Bau und Verkehr vom 06.06.23 | x |
|
|
| x |
|
|
|
|
|
|
| Stellungnahme Landesamt für Landwirtschaft und Ländlichen Raum vom 27.06.23 | x | x | x | x | x |
|
| x |
|
|
|
| Stellungnahmen Zweckverband Wasser und Abwasser „Lobensteiner Oberland“ vom 01.06.23 und 06.09.22 sowie E-Mail vom 08.03.23 |
|
|
|
| x |
|
|
|
|
|
|
Während der Veröffentlichungsfrist können von jedermann Stellungnahmen zum Entwurf vorgebracht werden. Die Stellungnahmen sind elektronisch an stadt-wurzbach@wurzbach.de und/oder horlbeck@sigmaplan-vogtland.de zu übermitteln. Bei Bedarf können diese auch während der Sprechzeiten der Bauverwaltung zur Niederschrift vorgebracht oder per Post an die Stadtverwaltung Wurzbach, Bauverwaltung, Leutenberger Straße 10, 07343 Wurzbach, gesendet werden.
Es wird darauf hingewiesen, dass nicht fristgerecht abgegebene Stellungnahmen gemäß § 4a Abs. 6 Satz 1 BauGB bei der Beschlussfassung über den vorhabenbezogenen Bebauungsplan unberücksichtigt bleiben können.
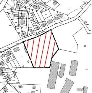
Die Abgrenzung des Geltungsbereichs des vorhabenbezogenen Bebauungsplans „Lebensmittelmarkt Lobensteiner Straße“ ist dem folgenden Übersichtsplan sowie Lageplan zu entnehmen.
Der Geltungsbereich des vorhabenbezogenen Bebauungsplans umfasst einen Teilbereich des Flurstücks 516/13, Flur 0 der Gemarkung Wurzbach (kreisförmige Markierung). Die Ausgleichsfläche befindet sich im Bereich der Sormitz am ehemaligen Möbelwerk in Wurzbach (ovale Markierung).
Wurzbach, den 01.12.2023
gez. Guido Kant-von der Recke
Bürgermeister