Titel Logo
Amtliches Bekanntmachungsblatt der Gemeinde Weiskirchen
Ausgabe 16/2025
Amtliche Bekanntmachungen
Zurück zur vorigen Seite
Zurück zur ersten Seite der aktuellen Ausgabe

Bekanntmachung Aufstellungs- und Auslegungsbeschluss 5. Änderung Schwarzrinder Seen

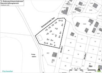
Geltungsbereich der Bebauungsplanänderung „Schwarzrinder Seen“.

Verfahren zur 5. Teiländerung des rechtskräftigen Bebauungsplanes „Schwarzrinder Seen“ im Ortsteil Thailen

Öffentliche Bekanntmachung des Aufstellungsbeschlusses gemäß § 2 Abs. 1 des Baugesetzbuches (BauGB) i.V.m. § 13 a Abs. 3 BauGB.

Öffentliche Auslegung gemäß § 3 Abs. 2 BauGB i.V.m. § 13 a Abs. 2 Nr. 1 i.V.m. § 13 Abs. 2 Nr. 2 BauGB.

1. Aufstellungsbeschluss gemäß § 2 Abs. 1 Baugesetzbuch (BauGB) in der aktuell gültigen Fassung.

Der Gemeinderat der Gemeinde Weiskirchen hat in seiner Sitzung am 03.04.2025 gem. § 1 Abs. 3 und § 2 Abs. 1 BauGB die Einleitung des Verfahrens zur 5. Teiländerung des rechtskräftigen Bebauungsplans „Schwarzrinder Seen“ gemäß § 13 a BauGB beschlossen. Im beschleunigten Verfahren soll der Bebauungsplan ohne Durchführung einer Umweltprüfung nach § 2 Abs. 4 BauGB aufgestellt werden. Des Weiteren kann von einer frühzeitigen Beteiligung der Öffentlichkeit, der Behörden und sonstigen Träger öffentlicher Belange nach § 3 Abs. 1 und § 4 Abs. 1 BauGB abgesehen werden.

Die Zielsetzung dieses Bebauungsplanänderungsverfahrens besteht darin, eine bislang als „Weindorf am Weinstrand“ genutzte Fläche künftig für die Errichtung von Mobilheimen für das Dauerwohnen festzusetzen.

Dabei sollen die bestehenden baurechtlichen Vorgaben für das Sondergebiet „Schwarzrinder Seen“ auch für diese Fläche Anwendung finden.

Daher ist zur planungsrechtlichen Absicherung der beabsichtigten neuen Nutzung eine Änderung des rechtskräftigen Bebauungsplans „Schwarzrinder Seen“ erforderlich.

Ab sofort kann sich die Öffentlichkeit über die allgemeinen Ziele und Zwecke sowie die wesentlichen Auswirkungen der Planung während der Dienststunden (Montag bis Mittwoch von 8.30 Uhr bis 12.00 Uhr sowie von 13.30 Uhr bis 15.30 Uhr, Donnerstag von 8.30 Uhr bis 12.00 Uhr sowie von 13.30 Uhr bis 18.00 Uhr und Freitag von 8.30 Uhr bis 12.00 Uhr) im Rathaus, Amt für Bauen und Finanzen, Zimmer 2.01 bzw. 2.03, unterrichten. Dies verbunden mit dem Recht, sich bis spätestens zum Ablauf der noch vorzugebenden Auslegungsfrist zur Planung zu äußern.

Der Aufstellungsbeschluss wird hiermit gemäß § 2 Abs. 1 BauGB ortsüblich bekannt gemacht. Der Geltungsbereich ist im nachstehenden Kartenausschnitt dargestellt.

2. Auslegungsbeschluss gemäß § 3 Abs. 2 BauGB in der aktuell gültigen Fassung.

Der Gemeinderat der Gemeinde Weiskirchen hat in seiner Sitzung vom 03.04.2025 den Entwurf zur 5. Teiländerung des Bebauungsplans „Schwarzrinder Seen“ im Ortsteil Thailen, einschließlich der dazugehörigen Begründung, gebilligt und die öffentliche Auslegung sowie die Beteiligung der Träger öffentlicher Belange gem. dem § 13 a Abs. 2 Nr. 1 i.V.m. § 13 Abs. 2 und § 3 Abs. 2 sowie § 4 Abs. 2 des BauGB beschlossen.

Es hat gemäß § 2 Abs. 2 des BauGB dabei auch eine Abstimmung dieses Entwurfes mit den Nachbargemeinden stattzufinden.

Gemäß § 3 Abs. 2 BauGB wird hiermit öffentlich bekannt gemacht, dass der Entwurf der 5. Teiländerung des Bebauungsplanes „Schwarzrinder Seen“, bestehend aus Planzeichnung (Teil A) und dem Textteil (Teil B) sowie der Begründung, in der Zeit vom 22.04.2025 bis einschließlich zum 23.05.2025, während der Dienststunden (Montag bis Mittwoch von 8.30 Uhr bis 12.00 Uhr sowie von 13.30 Uhr bis 15.30 Uhr, Donnerstag von 8.30 Uhr bis 12.00 Uhr sowie von 13.30 Uhr bis 18.00 Uhr und Freitag von 8.30 Uhr bis 12.00 Uhr), im Rathaus, Amt für Bauen und Finanzen, Zimmer 2.01 bzw. 2.03, zu jedermanns Einsicht öffentlich ausliegt.

Folgende Unterlagen werden dabei ausgelegt:

Diese öffentliche Bekanntmachung nach § 3 Abs. 2 BauGB.

Die Planzeichnung des Bebauungsplanes (Teil A) mit den textlichen Festsetzungen (Teil B).

Die Begründung.

In diesem Zeitraum besteht die Möglichkeit der Teilnahme am elektronischen Beteiligungsverfahren.

Unter den Internetadresse https://argusconcept.planungsbeteiligung.de und

https://www.weiskirchen.de/rathaus-service/planungs-und-entwicklungsunterlagen/ kann jedermann Einsicht in die vollständigen Unterlagen zum Verfahren nehmen. Dieser Dienst steht nur während der Beteiligungsfristen bis einschließlich zum 23. Mai 2025 zur Verfügung.

Während der Auslegungsfrist können von jedermann Stellungnahmen schriftlich, zur Niederschrift oder elektronisch per Mail an die E-Mail-Adresse: bauamt@weiskirchen.de vorgebracht werden. Über die Beteiligungsplattform des Planungsbüros können zudem Stellungnahmen direkt beim Planungsbüro eingereicht werden. Nicht fristgerecht vorgebrachte Stellungnahmen können bei der Beschlussfassung über den Bebauungsplan unberücksichtigt bleiben.

Die Zielsetzung dieses zur Durchführung nun beabsichtigten Bauleitplanverfahrens besteht darin, eine bislang als „Weindorf am Weinstand“ genutzte Fläche künftig für die Errichtung von Mobilheimen für das Dauerwohnen festzusetzen.

Dabei sollen die bestehenden baurechtlichen Vorgaben für das Sondergebiet „Schwarzrinder Seen“ auch für diese Fläche Anwendung finden.

Daher ist zur planungsrechtlichen Absicherung der beabsichtigten neuen Nutzung eine Änderung des rechtskräftigen Bebauungsplans „Schwarzrinder Seen“ erforderlich.

Der Geltungsbereich des Bebauungsplanänderungsbereiches umfasst in der Gemarkung Unterthailen, Flur 5, das Flurstücke 88/1. Die genaue Abgrenzung des Geltungsbereiches ist der folgenden Abbildung zu entnehmen.

Hinweise zum Datenschutz

Im Rahmen der Abgabe einer Stellungnahme werden personenbezogene Daten, insbesondere Name, Anschrift, Telefonnummer, die allein zur Information über das durchgeführte Verfahren dienen, verarbeitet. Mit Abgabe einer Stellungnahme erklärt sich die abgebende Person mit dieser Verarbeitung einverstanden. Sie willigt ein, dass die Gemeinde Weiskirchen oder ein von der Gemeinde eingeschalteter Dritter (hier ein externes Planungsbüro) ihr postalisch oder per E-Mail Informationen zum durchgeführten Verfahren zukommen lässt. Sie ist gemäß § 15 der Datenschutz-Grundverordnung (DSGVO) jederzeit berechtigt, die Gemeinde Weiskirchen oder den von der Gemeinde eingeschalteten Dritten um umfangreiche Auskunftserteilung zu den zu ihrer Person gespeicherten Daten zu ersuchen. Gemäß § 17 DSGVO kann sie jederzeit gegenüber der Gemeinde Weiskirchen oder dem von der Gemeinde eingeschalteten Dritten die Berichtigung, Löschung und Sperrung einzelner personenbezogener Daten verlangen.

Im Zusammenhang mit dem Datenschutz weist die Gemeinde Weiskirchen ausdrücklich darauf hin, dass ein Bauleitplanverfahren ein öffentliches Verfahren ist und daher in der Regel alle dazu eingehenden Stellungnahmen in öffentlichen Sitzungen beraten und entschieden werden. Soll eine Stellungnahme nur anonym behandelt werden, ist dies auf derselben eindeutig zu vermerken.

Weitere Informationen entnehmen Sie bitte dem Formblatt „Informationspflichten bei der Erhebung von Daten im Rahmen der Öffentlichkeitsbeteiligung nach BauGB (Art. 13 DSGVO)“, welches mit ausliegt.

Lageplan (ohne Maßstab):

Der Bürgermeister,
i.V. Helma Kuhn-Theis, I. Beigeordnete