Titel Logo
Amtsblatt VG Ramstein-Miesenbach
Ausgabe 7/2025
Verbandsgemeinde Ramstein-Miesenbach
Zurück zur vorigen Seite
Zurück zur ersten Seite der aktuellen Ausgabe

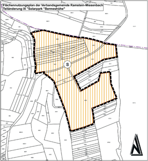
Flächennutzungsplan, Teilfortschreibung IX „Solarpark Bermeshöhe“

Verbandsgemeinde Ramstein-Miesenbach

Teilplan Kottweiler-Schwanden

Bekanntmachung der Einleitung des Verfahrens zur Teiländerung des Flächennutzungsplanes

Gemäß § 2 Abs. 1 Baugesetzbuch (BauGB) in der Fassung der Bekanntmachung vom 03. November 2017 (BGBI. I S. 3634), unter Berücksichtigung der aktuell gültigen Änderungen, wird hiermit öffentlich bekannt gemacht, dass der Verbandsgemeinderat der Verbandsgemeinde Ramstein-Miesenbach in öffentlicher Sitzung am 29.01.2025 die Einleitung des Verfahrens zur Teilfortschreibung IX „Solarpark Bermeshöhe“ des Flächennutzungsplanes der Verbandsgemeinde Ramstein-Miesenbach beschlossen hat.

Mit der Teilfortschreibung IX „Solarpark Bermeshöhe“ wird folgendes Ziel verfolgt:

Ein privater Investor plant die Errichtung einer Freiflächen-Photovoltaikanlage (PV-FA), um einen Beitrag zum Klimaschutz zu leisten und den Anteil regenerativer Energien an der Stromversorgung zu erhöhen. Um die bauplanungsrechtlichen Voraussetzungen zu schaffen, wird ein Bebauungsplan aufgestellt. Der Ortsgemeinderat der Ortsgemeinde Kottweiler-Schwanden hat am 18.12.2024 den Aufstellungsbeschluss für den Bebauungsplan „Solarpark Bermeshöhe“ gefasst.

Das Gebiet wird in der derzeit gültigen Fassung des Flächennutzungsplanes, 1. Fortschreibung aus dem Jahre 2001 der Verbandsgemeinde Ramstein-Miesenbach als „Fläche für Land- und Forstwirtschaft“ dargestellt. Damit sich der Bebauungsplan aus dem Flächennutzungsplan entwickeln kann, möchte die Verbandsgemeinde deshalb den Flächennutzungsplan für diesen Teilbereich ändern.

Die genauen Grenzen des Geltungsbereichs sind dem beigefügten Lageplan zu entnehmen. Er umfasst eine Fläche von ca. 9,43 ha.

Ramstein-Miesenbach, den 05.02.2025
(Ralf Hechler)
Verbandsbürgermeister