Titel Logo
Ingelheimer Kurier
Ausgabe 10/2026
Amtliche Bekanntmachungen
Zurück zur vorigen Seite
Zurück zur ersten Seite der aktuellen Ausgabe

Bebauungsplan "Südlich der Burgunderstraße": Beteiligung der Öffentlichkeit

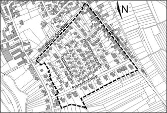
Datengrundlage: Landesamt für Vermessung und Geobasisinformation Rheinland-Pfalz © GeoBasis-DE/LVermGeoRP<November 2025> (Daten verändert)

Öffentliche Bekanntmachung der Stadt Ingelheim am Rhein gemäß Baugesetzbuch (BauGB) vom 03.11.2017 (BGBl. I S. 3634) in Verbindung mit der Landesbauordnung Rheinland-Pfalz (LBauO) vom 24.11.1998 (GVBl. 1998 S. 365) und der Gemeindeordnung für Rheinland-Pfalz (GemO) vom 31.01.1994 (GVBl. 1994 S. 153), jeweils in der derzeit geltenden Fassung.

Der Stadtrat der Stadt Ingelheim am Rhein hat in seiner Sitzung am 23. Februar 2026 folgenden Beschluss gefasst:

Beschluss

Für den Entwurf des Bebauungsplanes „Südlich der Burgunderstraße“ wird die Durchführung der Beteiligung der Öffentlichkeit gemäß § 3 Abs. 2 BauGB beschlossen.

Der Bebauungsplan wird im Regelverfahren mit Durchführung einer Umweltprüfung gemäß § 2 Abs. 4 BauGB aufgestellt.

Ziele des Bebauungsplans:

Steuerung der Gebietsentwicklung und behutsame Nachverdichtung

Flurstücksverzeichnis erstellt im Februar 2026 aufgrund der Liegenschaftskarte von November 2025:

Gemarkung Ober-Ingelheim, Flur 2

Flurstücksnummern: 1/2, 2/2, 2/4, 2/8, 2/9, 3/2, 3/7, 5/1, 5/2, 6/1, 6/5, 6/7, 6/8, 6/9, 7/1, 8/1, 8/2, 9/2, 9/6, 10/2, 10/3, 10/4, 11/4, 18/12, 18/19, 18/24, 18/25, 18/26, 18/28, 18/29, 18/30, 18/37 tlw., 19/8, 19/10, 19/11, 20/9, 20/11, 22/4, 22/7, 22/8, 22/9, 22/13, 24/4, 25/4, 25/6, 25/7, 25/8, 25/9, 25/10, 25/11, 25/12, 25/13, 25/14, 25/15, 25/16, 25/17, 25/19, 25/20, 25/24, 25/25, 26/4, 26/5, 26/7, 27/3, 27/4, 28/1, 29/2, 29/3, 29/4, 29/5, 32/1, 32/2, 32/3, 32/4, 32/5, 32/6, 32/7, 32/8, 32/9, 32/10, 32/11, 32/12, 37/2, 37/5, 37/6, 37/7, 37/8, 37/9, 37/11, 37/12, 39/1, 39/5, 39/7, 39/11, 39/12, 39/13, 39/14, 40/1, 40/2, 40/4, 40/6, 42/3, 42/5, 42/9, 42/10, 42/11, 42/12, 42/14, 43/4, 43/5, 44/15, 44/16, 44/17, 44/18, 44/19, 44/20, 44/21, 44/22, 44/23, 44/24, 44/25, 44/26, 44/28, 44/29, 44/30, 44/31, 44/32, 44/34, 44/35, 45/19, 45/30, 45/32, 45/33, 45/34, 45/35, 45/36, 45/38, 45/39, 45/40, 45/41, 45/42, 45/43, 45/44, 45/45, 45/46, 47/1, 47/3, 47/4, 47/5, 56/6, 56/9 tlw., 60/1, 60/2, 60/8, 60/9, 60/10, 60/11, 60/12, 139/1, 140/1, 142/1, 149/5, 149/6, 149/7, 149/8, 149/9, 149/10, 149/11, 149/12, 152/1, 152/2, 152/4, 152/5, 154/1, 154/2, 158/7, 161/17, 161/18, 161/19, 161/20.

Übersichtsplan (ohne Maßstab):

Die vorstehende Planskizze erhebt keinen Anspruch auf Rechtsverbindlichkeit, sie dient dem besseren Verständnis der Bekanntmachung.

Im Rahmen der Beteiligung der Öffentlichkeit an der Bauleitplanung ist der Entwurf des Bebauungsplans „Südlich der Burgunderstraße“ mit

  • der Begründung einschließlich Umweltbericht,
  • der Artenschutzrechtlichen Potenzialabschätzung,
  • der Dokumentation der Ortsbegehung sowie
  • den sonstigen wesentlichen, bereits vorliegenden umweltbezogenen Stellungnahmen

in der Zeit vom 09. März 2026 bis einschließlich 17. April 2026 unter www.ingelheim.de und dann unter Wohnen Umwelt, Stadtentwicklung und Stadtplanung, Bebauungspläne, aktuelle öffentliche Bekanntmachungen und Auslegungen von Bebauungsplänen, im Internet eingestellt. Außerdem sind die Unterlagen im Geoportal des Landes Rheinland-Pfalz unter www.GeoPortal.rlp.de abrufbar. Aufgrund der Osterfeiertage wurde die Auslegungszeit verlängert.

Zusätzlich liegen die Unterlagen während der Öffnungszeiten, montags bis mittwochs von 08:30 Uhr bis 12:30 Uhr, donnerstags von 13:00 Uhr bis 18:00 Uhr und freitags von 08:30 Uhr bis 12:00 Uhr sowie nach Vereinbarung, im Amt für Bauen und Planen, Rathaus Ingelheim, Dienstgebäude Gartenfeldstr. 10, 3. Obergeschoss, im Vorraum zu Raum 321 zur Einsicht- und Stellungnahme aus.

Der Planentwurf hängt auch im Schaukasten vor dem Haupteingang des Rathauses, derzeit am Übergangsquartier Dienstgebäude Wilhelm-Leuschner-Straße 61, während der Frist ständig aus.

Die folgenden Arten umweltbezogener Informationen sind verfügbar:

Allgemeines

Darstellung der Ziele des Umweltschutzes und der Art, wie diese Ziele und die Umweltbelange bei der Aufstellung des Bauleitplans berücksichtigt wurden, Bestandsaufnahme der einschlägigen Aspekte des derzeitigen Umweltzustands (Basisszenario), Prognose über die Entwicklung des Umweltzustandes bei Nicht-Durchführung sowie bei Durchführung der Planung, Geplante Maßnahmen zur Vermeidung, Verringerung und zum Ausgleich der nachteiligen Auswirkungen, Ergebnis der Prüfung von in Betracht kommenden anderweitigen Planungsmöglichkeiten.

Mensch/menschliche Gesundheit

Bioklimatische Verhältnisse und Maßnahmen mit klimatischer Ausgleichswirkung, Folgen des Klimawandels/Sturzflutgefahren und Umgang mit Gefahrenpotenzial aufgrund von Starkregen, Prüfung von Grundwasser- oder Bodenbelastung, Prognose von Lärmimmissionen, Naherholungsfunktion, baubedingte Belastungen, Brandschutz, Beachtung gesunder Wohnverhältnisse im Hinblick auf Sicht, Licht, Luft und Grünstrukturen, Vermeidung von Emissionen sowie der sachgerechte Umgang mit Abfällen und Abwässern. Auswirkungen, die aufgrund der Anfälligkeit der nach dem Bebauungsplan zulässigen Vorhaben für schwere Unfälle oder Katastrophen zu erwarten sind.

Tiere, Pflanzen und biologische Vielfalt

Beschreibung der Charakteristik des Untersuchungsgebietes und Betrachtung von Wirkfaktoren des Vorhabens auf Arten und Biotope, bestehende Vegetationsstrukturen wie wertgebende Bäume und Grünzonen sowie ihre Funktion für Boden, Wasser, Luft und Tiere, Schutzgebiete und -objekte, vorhandene Vorbelastungen, Bedeutung für die biologische Vielfalt, mögliche Betroffenheit von europäischen Vogelarten und streng geschützten Arten (u. a. Reptilien, Fledermäuse), Beurteilung, Vorgaben und Empfehlungen im Hinblick auf potenziell betroffene Arten, artenschutzrechtliches Maßnahmenkonzept für die Bauantragsebene, Auswirkungen des Plans auf Habitatstrukturen und Maßnahmen zur Vermeidung und zur Begrünung, Prognose zu Auswirkungen auf umliegende NATURA 2000-Gebiete.

Boden und Fläche

Relief, vorhandene Böden und Bodennutzungen sowie Rohstoffgeologie, Vorbelastungen der Böden wie Versiegelung, Bewertung und Auswirkung durch das Vorhaben auf die Bodenfunktionen (Ertrags- und Lebensraumfunktion, Bodenwasserhaushalt, Filter- und Puffervermögen), Maßnahmen zum Bodenschutz, Prüfung auf Altlasten bzw. schädliche Bodenveränderungen sowie Meldepflicht bei nicht bekannten schädlichen Bodenbelastungen, Altstandorten/Verdachtsflächen und/oder Altablagerungen, Prüfung Altbergbau, Aufsuchungserlaubnisfeld für Erdwärme.

Wasser

Oberflächenwasser, Grundwasserverhältnisse und Grundwassernutzung, Hinweis auf natürliche Quellen, Schutzgebiete, Aussagen zur Bewirtschaftung des anfallenden Niederschlagswassers, Vermeidungs- und Minderungsmaßnahmen für den Wasserhaushalt, Sturzflutgefahren durch abfließendes Hangwasser angrenzender Flächen, Abwasserbeseitigung, Erlaubnisverfahren für die Nutzung von Geothermie.

Klima und Luft

bestehende klimatische Situation im Plangebiet und deren Bewertung, Kaltluftfunktion, klimaökologische und lufthygienische Auswirkungen der Planung, Maßnahmen zum Klimaschutz z.B. Begrünung, Auswirkungen auf Treibhausgasemissionen, Anpassung an Klimawandelfolgen wie vorhandene Sturzflutgefahren und Hinweise zu baulichen Vorkehrungen, Nutzung erneuerbarer Energien sowie die sparsame und effiziente Nutzung von Energie.

Landschaft

Bewertung des vorhandenen Landschaftsbildes, Ortsrandlage und Einbindung in die Kulturlandschaft, Vorbelastungen durch bauliche Fehlentwicklungen, Auswirkungen durch das Vorhaben und geplante Maßnahmen zum Schutz des Landschaftsbildes z. B. angepasste Höhenstaffelung, Dachformen, Begrünung Ortsrand und Vorgartenzone.

Kulturelles Erbe und sonstige Sachgüter

Schutzwürdige Kulturgüter/Denkmäler und Grabungsschutzgebiete im Umfeld des Plangebiets, Hinweise zum Umgang mit archäologischen Funden.

Wechselwirkungen zwischen den Umweltschutzgütern

Multifunktional wirksame Vermeidungs- und Ausgleichsmaßnahmen für verschiedene Schutzgüter.

Den Eigentümern, Mietern, Pächtern und anderen Nutzungsberechtigten sowie der gesamten Öffentlichkeit wird in dem vorgenannten Zeitraum Gelegenheit zur Äußerung, Erörterung und Unterrichtung gegeben.

Stellungnahmen können während der vorgenannten Frist elektronisch an stadtplanung@ingelheim.de übermittelt werden oder bei Bedarf auch auf anderem Wege z.B. schriftlich oder zur Niederschrift bei der Stadtverwaltung Ingelheim, Rathaus, Fridtjof-Nansen-Platz 1, 55218 Ingelheim am Rhein, vorgebracht werden. Bei Stellungnahmen per E-Mail sind besondere technische Rahmenbedingungen zu beachten, die im Internet unterwww.ingelheim.de (siehe Impressum) aufgeführt sind.

Es wird darauf hingewiesen, dass nicht fristgerecht abgegebene Stellungnahmen bei der Beschlussfassung über den Bauleitplan unberücksichtigt bleiben können.

Hinweis Datenschutz

Die Verarbeitung personenbezogener Daten erfolgt auf der Grundlage des § 3 BauGB i.V.m. Art. 6 Abs. 1 Buchst. e der Datenschutz-Grundverordnung und dem Landesdatenschutzgesetz (LDSG). Sofern Stellungnahmen ohne Absenderangaben abgegeben werden, wird den betreffenden Beteiligten das Ergebnis der Prüfung nicht mitgeteilt. Weitere Informationen können dem Formblatt „Datenschutzinformationen gemäß Art. 13 der Datenschutz-Grundverordnung (DSGVO) im Rahmen der Öffentlichkeitsbeteiligung nach dem Baugesetzbuch (BauGB)“ entnommen werden, welches zusammen mit den oben genannten Unterlagen ausliegt.

Ingelheim am Rhein, 24. Februar 2026
Stadtverwaltung Ingelheim
Ralf Claus
Oberbürgermeister