Titel Logo
Hauensteiner Bote
Ausgabe 11/2024
Öffentliche Bekanntmachungen und amtliche Mitteilungen
Zurück zur vorigen Seite
Zurück zur ersten Seite der aktuellen Ausgabe

Bekanntmachung Bauleitplanung der Ortsgemeinde Schwanheim Bebauungsplan „Rohrwiesen“, 2. Erweiterung und Änderung Beteiligung der Öffentlichkeit gemäß § 3 Abs. 2 Baugesetzbuch (BauGB)

Bebauungsplan „Rohrwiesen“, 2. Erweiterung und Änderung Beteiligung der Öffentlichkeit gemäß § 3 Abs. 2 Baugesetzbuch (BauGB)

Der Gemeinderat der Ortsgemeinde Schwanheim hat in öffentlicher Sitzung am 29.01.2024 den Aufstellungsbeschluss für den Bebauungsplan „Rohrwiesen“, 2. Erweiterung und Änderung gefasst, der Vorentwurfsplanung zugestimmt sowie die Beteiligung der Öffentlichkeit beschlossen. Der Beschluss wird hiermit gemäß § 2 Abs. 1 BauGB bekannt gemacht.

Der Bebauungsplan wird im vereinfachten Verfahren gemäß § 13 BauGB aufgestellt.

Hiermit wird gemäß § 13 Abs. 3 Satz 2 BauGB darauf hingewiesen, dass von der Durchführung einer Umweltprüfung abgesehen wird.

Das Plangebiet befindet sich in der Verbandsgemeinde Hauenstein am südöstlichen Rand der Ortslage der Ortsgemeinde Schwanheim und hat eine Größe von ca. 1.578 m². Es grenzt an das bestehende Wohngebiet in einem Seitenarm der dort nur einseitig bebauten Hubertusstraße.

Der Geltungsbereich beschränkt sich auf Teilbereiche der Flurstücke Nrn. 5316/10 und 5318/7 (Straßenfläche) sowie auf die Flurstücke Nrn. 5318/4 und 5316/6.

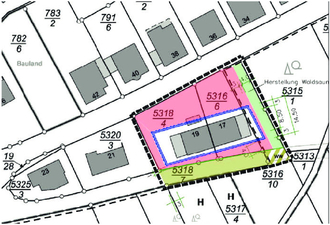
Das betroffene Plangebiet ist in der nachfolgenden Karte dargestellt.

Übersichtsplan ohne Maßstab

Die Vorstehende Planskizze erhebt keinen Anspruch auf Rechtsverbindlichkeit, sie dient dem besseren Verständnis der Bekanntmachung.

Die Beteiligung der Öffentlichkeit gemäß § 3 Abs. 2 BauGB wird in der Zeit

vom 22.03.2024 bis einschließlich 23.04.2024

bei der Verbandsgemeindeverwaltung Hauenstein, in 76846 Hauenstein, Schulstraße 4, während der allgemeinen Dienststunden durchgeführt. Der Bekanntmachungstext sowie die zur jedermanns Einsicht ausliegenden Unterlagen stehen während der Auslegungsfrist auch in digitaler Form auf der Internetseite der Verbandsgemeinde Hauenstein www.hauenstein.rlp.de unter der Rubrik Rathaus/Öffentlichkeits- und Behördenbeteiligung als auch im zentralen Internetportal des Landes Rheinland-Pfalz unter www.geoportal.rlp.de zur Verfügung.

Bestandteil der ausliegenden Unterlagen sind der Entwurf des Bebauungsplanes „Rohrwiesen“. 2. Erweiterung und Änderung, bestehend aus Planzeichnung, textlichen Festsetzungen und Begründung.

Während der Auslegungsfrist besteht die Möglichkeit, sich über die allgemeinen Ziele und Zwecke der Planung zu unterrichten. Dabei ist Gelegenheit zur Äußerung und Erörterung gegeben. Es können von jedermann Stellungnahmen zum Planentwurf abgegeben werden. Die Stellungnahmen sollen elektronisch übermittelt werden, können bei Bedarf aber auch auf anderem Weg - schriftlich oder mündlich zur Niederschrift - abgegeben werden.

Nicht fristgemäß abgegebene Stellungnahmen können bei der Beschlussfassung über den Bauleitplan unberücksichtigt bleiben.

Konkreter Planungsanlass für den Bebauungsplan "Rohrwiesen“, 2. Erweiterung und Änderung ist ein Bauantrag der Grundstückseigentümer, mit dem eine energetische Effizienzhaussanierung einschließlich einer Erweiterung, eines Kelleranbaus, einer Dacherneuerung sowie einer Änderung der Dachneigung realisiert werden soll.

Der Bebauungsplan ist anzupassen, u.a. was die Geschossflächenzahl, die Wohnflächenzahl sowie die Dachneigung angeht.

Mit der Einbeziehung einer kleineren Teilfläche aus dem Flurstück Nr. 5316/10 in der Größe von ca. 400 m² wird keine neue Baufläche geschaffen, sondern nur die bestehende Fläche des Flurstücks Nr. 5316/6 mit einem Schrägzuschnitt bereinigt. Die Bebauung des Grundstückes Hubertusstraße Nr. 17 überschreitet aktuell bereits geringfügig den Grenzabstand zum Nachbargrundstück Nr. 5316/10 und es besteht kein Bauwich-Abstand. Durch die von den Bauherren geplante Umnutzung von Garage zu Wohnraum ist der Bebauungsplan dahingehend anzupassen, da erst mit der Einbeziehung des geplanten Flächenanteils aus dem Flurstück Nr. 5316/10 das Gebäude Hubertusstraße 17 wirtschaftlich weiterentwickelt werden.

Für das einzubeziehende Gebiet existiert aktuell kein Bebauungsplan.

Das Plangebiet soll dementsprechend in funktionaler, gestalterischer und erschließungstechnischer Art weiterentwickelt werden, um innerhalb des Siedlungsraumes attraktiven Wohnraum zu schaffen.

Die 2. Erweiterung und Änderung des Bebauungsplanes „Rohrwiesen“ dient damit der Schaffung der planungsrechtlichen Voraussetzungen für die Verwirklichung des geplanten Vorhabens der Bauherren und trägt im Sinne des § 1 Abs. 5 BauGB dazu bei, eine nachhaltige städtebauliche Entwicklung und eine dem Wohl der Allgemeinheit entsprechende sozialgerechte Bodennutzung zu gewährleisten.

Schwanheim, 12.03.2024
gez. Herbert Schwarzmüller
Ortsbürgermeister