Titel Logo
Hauensteiner Bote
Ausgabe 31/2023
Öffentliche Bekanntmachungen und amtliche Mitteilungen
Zurück zur vorigen Seite
Zurück zur ersten Seite der aktuellen Ausgabe

​​​​​​​Bekanntmachung

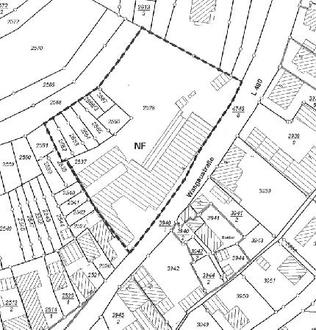
Übersichtsplan ohne Maßstab

Satzung der Ortsgemeinde Schwanheim

über das Besondere Vorkaufsrecht (Vorkaufsrechtsatzung) gemäß § 25 Abs. 1 Satz 1 Nr. 2 BauGB für den Bereich „Ehem. Schuhfabrik Mandery“

Der Ortsgemeinderat Schwanheim hat am 13.03.2023 aufgrund des § 24 Gemeindeordnung (GemO) für Rheinland-Pfalz in der Fassung vom 31. Januar 1994 (GVBl. S. 153), zuletzt geändert durch Artikel 1 des Gesetzes vom 27.01.2022 (GVBl. S. 21) sowie des § 25 Abs. 1 Satz 1 Nr. 2 Baugesetzbuch (BauGB) in der Fassung der Bekanntmachung vom 22. Juni 2021 (BGBl. I S. 1803), zuletzt geändert durch Artikel 1 des Gesetzes vom 14. Juni 2021 (BGBl. I S. 1802) nachfolgende Satzung beschlossen:

§ 1

Zweck der Satzung

Die ehemalige Schuhfabrik Mandery stellt eine Industriebrache in der Gemeinde Schwanheim dar. Die Flächen werden nur noch zum Teil genutzt.

Mit dem Erlass der Vorkaufsrechtsatzung zur Ausübung des besonderen Vorkaufsrechts nach § 25 Abs. 1 Satz 1 Nr. 2 BauGB verfolgt die Gemeinde das Ziel, sowohl die Bauleitplanung als auch andere geordnete städtebauliche Maßnahmen, wie z. B. die Ausweisung von Baugebieten nach der BauNVO, etwa für Zwecke der Bereitstellung von Wohnland, zu sichern.

§ 2

Geltungsbereich

(1) Der Geltungsbereich dieser Satzung erstreckt sich auf einen ca. 0,48 ha großen Bereich am nord-östlichen Ortsrand der Gemeinde Schwanheim, nördlich der Wasgaustraße.

(2) Der räumliche Geltungsbereich dieser Satzung ist im beiliegenden Lageplan mit unterbrochenen schwarzen Linien umrandet dargestellt. Dieser Lageplan ist Bestandteil dieser Satzung.

§ 3

Rechtswirkungen des besonderen Vorkaufsrechts

(1) Der Ortsgemeinde Schwanheim steht ein Vorkaufsrecht an den unbebauten und bebauten Grundstücken im Geltungsbereich dieser Satzung nach § 2 im Sinne des § 25 Abs. 1 Satz 1 Nr. 2 BauGB zu.

Das Vorkaufsrecht erstreckt sich auf nachfolgende Flurstücke in der Gemarkung Schwanheim:

2528, 2562, 2563, 2564, 2565, 2566, 2566/2, 2567.

(2) Der / Die Eigentümer(in) der unter das Vorkaufsrecht nach dieser Satzung fallenden Grundstücke ist / sind verpflichtet, der Ortsgemeinde Schwanheim den Abschluss eines Kaufvertrages über ihr(e) Grundstück(e) unverzüglich anzuzeigen.

§ 4

Inkrafttreten

Diese Satzung wird gemäß § 25 Abs. 1 i.V.m. § 16 Abs. 2 i.V.m. § 10 Abs. 3 BauGB i.V.m. § 24 Abs. 3 GemO am Tag ihrer öffentlichen Bekanntmachung rechtsverbindlich.

Die bundes- und landesrechtlichen Verfahrensvorschriften wurden beachtet.

Schwanheim, den 01.08.2023
i.V.
Nicolas Scheiwe
Erster Beigeordneter

Anlage:

Hinweise:

Es wird darauf hingewiesen, dass gemäß § 215 Abs. 1 BauGB in der derzeit geltenden Fassung i. V. m. § 233 BauGB

1.

eine nach § 214 Abs. 1 Satz 1 Nr. 1 bis 3 BauGB beachtliche Verletzung der dort bezeichneten Verfahrens- und Formvorschriften,

2.

eine unter Berücksichtigung des § 214 Abs. 2 BauGB beachtliche Verletzung der Vorschriften über das Verhältnis des Bebauungs- und Flächennutzungsplanes und

3.

nach § 214 Abs. 3 Satz 2 BauGB beachtliche Mängel des Abwägungsvorganges unbeachtlich werden, wenn sie nicht innerhalb von einem Jahr seit Bekanntmachung der Satzung schriftlich gegenüber der Gemeinde unter Darlegung des die Verletzung begründenden Sachverhalts geltend gemacht worden sind.

Weiterhin wird auf § 24 Abs. 6 GemO hingewiesen, wonach Satzungen, die unter Verletzung von Verfahrens- oder Formvorschriften dieses Gesetzes oder auf Grund dieses Gesetzes zustande gekommen sind, ein Jahr nach der Bekanntmachung als von Anfang an gültig zustande gekommen gelten.

Dies gilt nicht, wenn

1.

die Bestimmungen über die Öffentlichkeit der Sitzung, die Genehmigung, die Ausfertigung oder die Bekanntmachung der Satzung verletzt worden sind,

oder

2.

vor Ablauf der genannten Jahresfrist die Aufsichtsbehörde den Beschluss beanstandet oder jemand die Verletzung der Verfahrens- oder Formvorschriften gegenüber der Gemeindeverwaltung unter Bezeichnung des Sachverhalts, der die Verletzung begründen soll, schriftlich geltend gemacht hat.

Hat jemand eine Verletzung nach § 24 Abs. 6 Satz 2 Nr. 2 GemO geltend gemacht, so kann auch nach Ablauf der Jahresfrist jedermann diese Verletzung geltend machen.

Hauenstein, den 01.08.2023
i.V.
Andreas Wilde
Beigeordneter