Titel Logo
Sulzbacher Umschau
Ausgabe 30/2022
Amtliche Bekanntmachungen
Zurück zur vorigen Seite
Zurück zur ersten Seite der aktuellen Ausgabe

Bekanntmachung

Der Einleitung des Verfahrens zur Änderung des Bebauungsplanes Nr. 58/1 „gegenüber der Klinik - 1. Änderung“

Bekanntmachung der öffentlichen Auslegung des Bebauungsplanes Nr. 58/1 „Gegenüber der Klinik - 1. Änderung“

Gemäß § 2 Abs. 1 Baugesetzbuch (BauGB) wird hiermit öffentlich bekannt gemacht, dass der Rat der Stadt Sulzbach/Saar in seiner Sitzung am 19.05.22 die Einleitung des Verfahrens des Bebauungsplanes Nr. 58/1 „Gegenüber der Klinik - 1. Änderung“ beschlossen hat.

In der Sitzung am 07.07.2022 hat der Rat der Stadt Sulzbach/Saar den Entwurf des Bebauungsplanes Nr. 58/1 „Gegenüber der Klinik - 1. Änderung“ bestehend aus der Planzeichnung und dem Textteil, gebilligt und die öffentliche Auslegung gem. § 13 Abs. 2 Nr. 2 BauGB und § 3 Abs. 2 BauGB in der derzeit gültigen Fassung beschlossen.

Ziel des Bebauungsplanes:

Ziel der Bebauungsplan-Änderung ist die Anpassung der Bebauungsplan-Inhalte an zeitgemäße Planungsabsichten:

Nutzung von Innenentwicklungspotenzialen zur Nachverdichtung, um so der hohen Nachfrage nach neuem Wohn- und Gewerbeflächen nachzukommen

Erweiterung eines bestehenden Wohn- und Geschäftsgebäudes

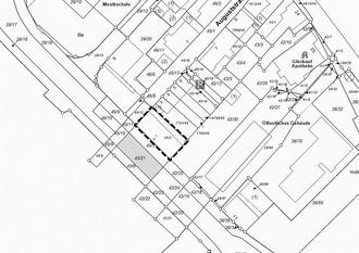
Die genauen Grenzen des Bebauungsplanes sind aus dem folgenden Lageplan zu entnehmen:

Der Bebauungsplan soll im vereinfachten Verfahren gemäß § 13 BauGB ohne Durchführung einer Umweltprüfung nach § 2 Abs. 4 BauGB sowie ohne Durchführung der frühzeitigen Beteiligung der Öffentlichkeit und der Behörden und Träger öffentlicher Belange gem. § 3 Abs. 1 und § 4 Abs. 1 BauGB aufgestellt werden. Im vereinfachten Verfahren können Bauleitpläne aufgestellt werden, wenn die Grundzüge der Planung nicht berührt werden oder wenn durch die Aufstellung des Bebauungsplanes in einem Gebiet nach § 34 der sich aus der vorhandenen Eigenart der näheren Umgebung ergebene Zulässigkeitsmaßstab nicht wesentlich ändert.

Gemäß § 3 Abs. 2 BauGB wird hiermit öffentlich bekannt gemacht, dass der Entwurf des Planes und die dazugehörige Begründung in der Zeit vom 08.08.2022 - 09.09.2022 während der allgemeinen Dienststunden im 1. Obergeschoss zu jedermanns Einsicht öffentlich ausliegt.

Öffnungszeiten der Verwaltung

Vormittags:

Montag bis Freitag:  —  8 bis 12 Uhr

Nachmittags

Montag, Dienstag, Mittwoch:  —  13 bis 16 Uhr

Donnerstag:  —  13 bis 18 Uhr

Gleichzeitig wird der Bebauungsplan im Internet auf der Homepage der Stadt Sulzbach (https://www.stadt-sulzbach.de/Verwaltung/Amtliche-Bekanntmachungen/) zum Download bereitgestellt.

Es ist davon auszugehen, dass der Zeitraum der Auslegung der Komplexität der Planungsaufgabe angemessen ist.

Folgende Unterlagen liegen vor:

Diese öffentliche Bekanntmachung nach § 3 Abs. 2 BauGB

Planzeichnung des Bebauungsplanes (Teil A)

Textteil des Bebauungsplanes (Teil B)

Begründung des Bebauungsplanes

Zusätzlich besteht die Möglichkeit zur Teilnahme am elektronischen Beteiligungsverfahren. Unter der Internetadresse

https://argusconcept.planungsbeteiligung.de

kann jedermann Einsicht in die vollständigen Unterlagen zum Verfahren nehmen. Dieser Dienst steht nur während der Beteiligungsfristen vom 08.08.2022 bis einschließlich 09.09.2022 zur Verfügung.

Während der Auslegungsfrist können gemäß § 3 Abs. 2 BauGB von jedermann Stellungnahmen schriftlich, zur Niederschrift oder elektronisch per Email vorgebracht werden. Über die Beteiligungsplattform des Planungsbüros können zudem Stellungnahmen direkt beim Planungsbüro eingereicht werden. Nicht fristgerecht abgegebene Stellungnahmen können bei der Beschlussfassung über die Bebauungsplanänderung unberücksichtigt bleiben.

Hinweis aufgrund der Covid19-Pandemie

Zur Gewährleistung eines größtmöglichen Schutzes in der derzeit anhaltenden Coronavirus-Pandemie wird um eine telefonische Anmeldung unter +49 6897508-420 bzw. e.thielgen@stadt-sulzbach.de gebeten. Die im öffentlichen Raum derzeit übliche Abstandsregelung (mindestens 1,50 m zu anderen Personen) sowie das Tragen eines geeigneten Mund-Nasenschutzes ist auch innerhalb des Rathauses zu beachten.

Hinweis zum Datenschutz

Im Rahmen der Abgabe einer Stellungnahme werden personenbezogene Daten, insbesondere Namen, Anschrift, Telefonnummer, die allein zur Information über das durchgeführte Verfahren dienen, verarbeitet. Mit Abgabe einer Stellungnahme erklärt sich die abgebende Person mit dieser Verarbeitung einverstanden. Sie willigt ein, dass die Stadt Sulzbach/Saar oder ein von der Stadt eingeschalteter Dritter (hier ein externes Planungsbüro) ihr postalisch oder per E-Mail Informationen zum durchgeführten Verfahren zukommen lässt. Sie ist gemäß § 15 der Datenschutz-Grundverordnung (DSGVO) jederzeit berechtigt, die Stadt Sulzbach/Saar oder den von der Stadt eingeschalteten Dritten um umfangreiche Auskunftserteilung zu den zu ihrer Person gespeicherten Daten zu ersuchen. Gemäß § 17 DSGVO kann sie jederzeit gegenüber der Stadt Sulzbach/Saar oder dem von der Stadt einschalteten Dritten die Berichtigung, Löschung und Sperrung einzelner personenbezogener Daten verlangen.

Im Zusammenhang mit dem Datenschutz weist die Stadt Sulzbach/Saar ausdrücklich darauf hin, dass ein Bauleitplanverfahren ein öffentliches Verfahren ist und daher in der Regel alle dazu eingehenden Stellungnahmen in öffentlichen Sitzungen beraten und entschieden werden. Soll eine Stellungnahme nur anonym behandelt werden, ist dies auf derselben eindeutig zu vermerken.

Sulzbach, den 27.07.2022
Der Bürgermeister