Titel Logo
Mitteilungsblatt Verwaltungsgemeinschaft Baunach
Ausgabe 33/2023
Amtliche Bekanntmachungen
Zurück zur vorigen Seite
Zurück zur ersten Seite der aktuellen Ausgabe

Bekanntmachung Über die 2. Berichtigung des Flächennutzungsplanes der Gemeinde Lauter

Der Gemeinderat der Gemeinde Lauter hat mit Beschluss vom 20. Juli 2023 den Bebauungs- und Grünordnungsplan „Ecken II“ in der Fassung vom 20. Juli 2023 als Satzung beschlossen. Dieser Beschluss wurde im Mitteilungsblatt Nr. 32/2023 am 11. August 2023 ortsüblich bekannt gemacht, der Bebauungs- und Grünordnungsplan „Ecken II“ ist mit der Bekanntmachung in Kraft getreten.

Dieser Bebauungs- und Grünordnungsplan wurde im beschleunigten Verfahren gem. § 13 b BauGB aufgestellt.

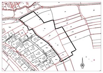
Um den Vorgaben des § 8 Abs. 3 BauGB zu genügen, wonach ein Bebauungsplan aus dem Flächennutzungsplan heraus zu entwickeln ist, wurden die bisherigen Darstellungen des wirksamen Flächennutzungsplanes im nachfolgend gekennzeichneten Bereich (siehe Abbildung) an die zeichnerischen Festsetzungen des Bebauungs- und Grünordnungsplanes angepasst (Änderung von Wohnbauflächen in Flächen für die Landwirtschaft und in Flächen für Maßnahmen zum Schutz, zur Pflege und zur Entwicklung von Natur und Landschaft bzw. Änderung von Flächen für die Landwirtschaft in Wohnbauflächen, in Flächen für die Abwasserbeseitigung und in Flächen für Maßnahmen zum Schutz, zur Pflege und zur Entwicklung von Natur und Landschaft).

Bei der von der Gemeinde Lauter vorgenommenen 2. Berichtigung des Flächennutzungsplanes handelt es sich um eine Plananpassung gem. § 13 a Abs. 2 Nr. 2 BauGB. Ein reguläres Planänderungsverfahren gemäß den §§ 3 und 4 BauGB war insofern nicht notwendig. Eine entsprechende Planzeichnung mit der nachrichtlichen Darstellung der Berichtigung war als Anlage integrierter Bestandteil des Verfahrens zur Aufstellung des Bebauungs- und Grünordnungsplanes „Ecken II“ in Appendorf und wurde der Öffentlichkeit sowie den Behörden/Trägern öffentlicher Belange im Zuge der Beteiligungsverfahren zur Kenntnis gegeben.

Diese Berichtigung wird hiermit ortsüblich bekannt gemacht.

Die Planzeichnung der 2. Berichtigung des Flächennutzungsplanes kann bei der Verwaltungsgemeinschaft Baunach, Zimmer 17 im Obergeschoss, während der allgemeinen Dienststunden einsehen werden und hierüber Auskunft verlangt werden.