Titel Logo
Mitteilungsblatt Verwaltungsgemeinschaft Baunach
Ausgabe 40/2024
Amtliche Bekanntmachungen
Zurück zur vorigen Seite
Zurück zur ersten Seite der aktuellen Ausgabe

Gemeinde Gerach

Sitzungsort: Sitzungssaal des Rathauses Gerach, Gerach

Tagesordnung

Öffentlicher Teil

1.

Dachsanierung Laimbachtalhalle

2.

Kurzbericht des Bürgermeisters

2.1.

Kurzbericht - Geburtstagsglückwünsche

2.2.

Kurzbericht - Kirchweih

2.3.

Kurzbericht - Sommerfest Kindergarten

2.4.

Kurzbericht - Endabnahme Neubaugebiet Sonnenleite

2.5.

Kurzbericht - Verwaltungsgemeinschaft Versammlung

2.6.

Kurzbericht - Spatenstich Glasfaserausbau

2.7.

Kurzbericht - Planung Radweg

2.8.

Kurzbericht - Beschlüsse nicht öffentliche Sitzung

3.

Bauanträge und Bauvoranfragen

3.1.

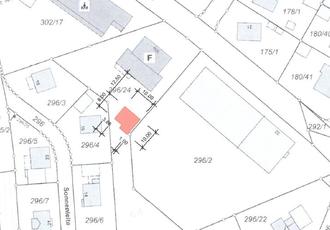
Antrag auf Baugenehmigung (G 2024/3) zum Neubau einer Mehrzweckhalle auf dem Grundstück mit der Fl.Nr. 296/24 der Gemarkung Gerach, Reckendorfer Weg 30a

4.

Gemeindliches Ortsrecht - Neuerlass einer "Satzung für die Erhebung einer Kommunalabgabe zur Abwälzung der Abwasserabgabe für Kleineinleiter (Kleineinleitersatzung - KES)

5.

Bekanntgabe von Bauanträgen, die im Genehmigungsfreistellungsverfahren behandelt wurden

6.

Bekanntgabe von Anträgen, die im Zuge der laufenden Verwaltung behandelt wurden

7.

Antrag auf weiterhin finanzielle Unterstützung zur Beschaffung eines neuen Einsatzfahrzeuges und für den Erhalt der BRK-Bereitschaft Baunachtal

8.

Gemeindliches Ortsrecht - Neuerlass der "Satzung für die öffentliche Entwässerungseinrichtung der Gemeinde Gerach (Entwässerungssatzung - EWS)"

9.

Sonstiges - Anfragen gemäß § 29 GeschO

Um 19:02 Uhr eröffnete Erster Bürgermeister Sascha Günther die Sitzung des des Gemeinderates Gerach.

Zu der Sitzung wurde form- und fristgerecht mit Schreiben vom 18.07.2024 geladen. Mit der Sitzungsladung und der Tagesordnung bestand Einverständnis. Gegen die Niederschrift der Gemeinderatssitzung Gerach vom 19.06.2024 wurden keine Einwendungen erhoben. Diese gilt somit als genehmigt und anerkannt.

Öffentlicher Teil

1. Dachsanierung Laimbachtalhalle

Beschluss: 8 : 0

Der Tagesordnungspunkt wird gestrichen. Erster Bürgermeister Sascha Günther kommt im nicht öffentlichen Teil darauf zurück.

2. Kurzbericht des Bürgermeisters

Der Erste Bürgermeister Sascha Günther berichtete über folgende Themen:

2.1. Kurzbericht - Geburtstagsglückwünsche

Hier darf ich zunächst noch Geburtstagsglückwünsche übermitteln. Am 07.07. feierte Gemeinderätin Petra Schmitt und am 18.07. Gemeinderätin Michaela Batz ihren Geburtstag. Im Namen des Gremiums alles Gute und viel Gesundheit.

2.2. Kurzbericht - Kirchweih

Vom 21.06.-24.06. fand die Geracher Kirchweih statt. Die Schausteller haben eine Spende über 200 Euro an die Gemeinde übergeben.

2.3. Kurzbericht - Sommerfest Kindergarten

Am 30.06. war das Sommerfest des Kindergartens, dass aufgrund des schlechten Wetters in die Halle verlegt wurde.

2.4. Kurzbericht - Endabnahme Neubaugebiet Sonnenleite

Am 01.07. fand die Endabnahme des Neubaugebietes Sonnenleite statt.

2.5. Kurzbericht - Verwaltungsgemeinschaft Versammlung

Am 03.07. fand eine VG-Versammlung statt ( Anhang).

2.6. Kurzbericht - Spatenstich Glasfaserausbau

Am 11.07. fand der Spatenstich für den Glasfaserausbau statt.

2.7. Kurzbericht - Planung Radweg

Der Auftrag für die Planung des Radweges wurde beauftragt.

2.8. Kurzbericht - Beschlüsse nicht öffentliche Sitzung

Bekanntgabe der Beschlüsse aus der letzten nicht öffentlichen Sitzung:

Da gibt es nichts

3. Bauanträge und Bauvoranfragen

Es liegt ein Antrag auf eine Baugenehmigung vor:

3.1. Antrag auf Baugenehmigung (G 2024/3) zum Neubau einer Mehrzweckhalle auf dem Grundstück mit der Fl.Nr. 296/24 der Gemarkung Gerach, Reckendorfer Weg 30a

Der Antragsteller beabsichtigt den Neubau einer Mehrzweckhalle auf dem Grundstück mit der Fl.Nr. 296/24 der Gemarkung Gerach. Das Vorhabengrundstück liegt im Geltungsbereich des Bebauungsplanes „Am Reckendorfer Weg - 1. Änderung“, und ist darin als allgemeines Wohngebiet ausgewiesen.

Gemäß § 30 Abs. 1 BauGB ist das Vorhaben allgemein zulässig, wenn es den Festsetzungen des geltenden Bebauungsplanes nicht widerspricht und die Erschließung gesichert ist. Die Erschließung ist gesichert durch die Lage des Grundstückes in angemessener Breite an eine öffentliche befahrbare Verkehrsfläche, hier die Gemeindestraße „Reckendorfer Weg“. Entsprechende Leitungen zur Wasserversorgung (Zentralversorgung) sowie zur Abwasserentsorgung durch die Kanalisation im Mischsystem sind ebenfalls in der Gemeindestraße vorhanden. Die Erschließung hat an die bestehenden Leitungen zu erfolgen und kann somit gesichert werden.

Der Antrag wurde seitens der Verwaltung geprüft. Es wurde festgestellt, dass Befreiungen notwendig sind. Aus den Antragsunterlagen werden keine Befreiungen ersichtlich, daher wurde das Landratsamt bereits schriftlich aufgefordert, die notwendigen Unterlagen nachzufordern.

Da den Festsetzungen des Bebauungsplanes widersprochen werden soll, werden folgende Befreiungen benötigt:

Abstandsflächen

Da der BPlan regelt, dass alle Abstandsflächen eingehalten werden sollen wird eine Befreiung erforderlich. Die Halle ist zur Grundstücksgrenze zur Fl.Nr. 296/2 geplant, hierdurch können die Abstandsflächen gem. BayBO nicht eingehalten werden. Eine unterschriebene Abstandsflächenübernahme liegt den Unterlagen bei.

Baugrenze

Gem. BPlan wird die geplante Mehrzweckhalle außerhalb der Baugrenze errichtet. Im Geltungsbereich des BPlanes wurden bereits Befreiungen für Nebenanlagen erteilt. Ebenfalls wurde eine Befreiung für eine Überschreitung des Wohnhauses erteilt.

Dachneigung

Die Halle ist mit einem Pultdach (PD) mit 12° geplant, der BPlan regelt für PD eine Dachneigung von 20° - 38°, für Flachdächer ist 0° - 7° geregelt. Eine Befreiung für die Dachneigung wurde im Geltungsbereich des BPlanes noch nicht erteilt.

Aus Sicht der Verwaltung sollte an der Festsetzung bezüglich der Dachneigung festgehalten werden. Vorschlag wäre die Dachneigung so anzupassen, dass es als Flachdach gewertet werden kann. Gem. BPlan müsse die Dachneigung bei 0° - 7° liegen.

Beschluss: 8 : 0

Der Gemeinderat der Gemeinde Gerach lehnt den Bauantrag zum Neubau einer Mehrzweckhalle auf dem Grundstück der Gemarkung Gerach, Fl.Nr. 296/24, 96161 Gerach, Reckendorfer Weg 30a, auf Grund der Abweichung der Dachneigung ab. Gegen die weiteren Befreiungen (Überschreitung Baugrenze, Nichteinhaltung Abstandsflächen) bestehen keine Bedenken.

Sollten die Bauzeichnungen im Hinblick auf die Dachneigung abgeändert werden, wird das gemeindliche Einvernehmen zum Bauvorhaben erteilt.

4. Gemeindliches Ortsrecht - Neuerlass einer "Satzung für die Erhebung einer Kommunalabgabe zur Abwälzung der Abwasserabgabe für Kleineinleiter (Kleineinleitersatzung - KES)

Für das Einleiten von Abwasser in ein Gewässer ist nach dem Abwasserabgabengesetz eine Abgabe zu entrichten. Dabei handelt es sich um die sog. Abwasserabgabe. Für das Abwasser aus der gemeindlichen Entwässerungseinrichtung wird die Abwasserabgabe von der Gemeinde Gerach getragen. Da die Abwasserbeseitigung eine kostendeckende Einrichtung ist, werden diese Kosten in die Gebührenkalkulation mit eingerechnet. Alle Benutzerinnen und Benutzer der gemeindlichen Kläranlage werden somit über die Kanalgebühren an den Kosten beteiligt.

Alle anderen Bürgerinnen und Bürger, die ihr Abwasser nicht in die Kläranlage einleiten (sog. Kleineinleiter), werden von den Kanalgebühren nicht erfasst.

Nach Art. 8 Abs. 1 des Bayerischen Gesetzes zur Ausführung des Abwassergesetzes (BayAbwAG) sind bei Kleineinleitern, die weniger als 8 m³ Schmutzwasser pro Tag einleiten, die Gemeinden abgabepflichtig. Für diese Anlagen muss also die Gemeinde Gerach die Abwasserabgabe entrichten. Gemäß Art. 8 Abs. 3 BayAbwAG sollen die Gemeinden eine Kommunalabgabe von den Grundstückseigentümerinnen und -eigentümern erheben, um die entstandenen Kosten wieder einzunehmen.

Hiervon hat die Gemeinde Gerach im Januar 1982 Gebrauch gemacht und eine entsprechende Satzung erlassen. Diese Satzung wurde zuletzt im Jahr 1991 geändert. In dieser Satzung sind noch DM-Beträge ausgewiesen, weshalb ein Neuerlass der Satzung geboten ist.

Der Abgabesatz beträgt nach § 9 des Abwasserabgabengesetzes pro Schadeinheit 35,79 €, wobei dieser Betrag bei Kleineinleitern um 50 % reduziert wird. Die Abwasserabgabe wird bei Kleineinleitern nicht erhoben, wenn das Schmutzwasser in einer Abwasserbehandlungsanlage behandelt wird und eine ordnungsgemäße Schlammentsorgung erfolgt.

In der Gemeinde Gerach gibt es aktuell einen Kleineinleiter mit vier angeschlossenen Einwohnerinnen und Einwohnern. In den vergangenen Jahren musste keine Abwasserabgabe für Kleineinleiter abgeführt werden, dies kann sich jedoch prinzipiell jederzeit ändern.

Beschluss: 8 : 0

Der Gemeinderat beschließt die im Entwurf vorliegende „Satzung für die Erhebung einer Kommunalabgabe zur Abwälzung der Abwasserabgabe für Kleineinleiter“. Der Entwurf wird dem Protokoll beigefügt. Erster Bürgermeister Sascha Günther wird mit der Ausfertigung und Bekanntmachung der Satzung beauftragt.

5. Bekanntgabe von Bauanträgen, die im Genehmigungsfreistellungsverfahren behandelt wurden

Es lagen keine Bauanträge vor.

6. Bekanntgabe von Anträgen, die im Zuge der laufenden Verwaltung behandelt wurden

Erster Bürgermeister Sascha Günther teilte folgenden Antrag auf Baugenehmigung mit:

Errichtung einer Überdachung und Nutzung der bestehenden Terrasse für Außengastronomie, Fl.Nr. 202, Gemarkung Gerach, Hauptstraße 2a, Baubuch Nr. G 2024/2

7. Antrag auf weiterhin finanzielle Unterstützung zur Beschaffung eines neuen Einsatzfahrzeuges und für den Erhalt der BRK-Bereitschaft Baunachtal

Es wurde ein Antrag auf weiterhin finanzielle Unterstützung zur Beschaffung eines neuen Einsatzfahrzeuges und für den Erhalt der BKK-Bereitschaft Baunachtal gestellt.

Beschluss: 8 : 0

Der Gemeinderat der Gemeinde Gerach beschließt dem Antrag stattzugeben. Die Gemeinde spendet 500 Euro.

8. Gemeindliches Ortsrecht - Neuerlass der "Satzung für die öffentliche Entwässerungseinrichtung der Gemeinde Gerach (Entwässerungssatzung - EWS)"

Die aktuell gültige Entwässerungssatzung der Gemeinde Gerach stammt aus dem Jahr 1993 und wurde 1997 einmal geändert. Die Satzung entspricht aufgrund verschiedener Gerichtsurteile nicht mehr dem aktuellen Stand. Darüber hinaus ist die bisherige Satzung die Frage, ab wann die Grundstückseigentümer für den Unterhalt des Hausanschlusses verantwortlich ist, recht vage.

Auf Grundlage des Musters vom Bayerischen Gemeindetag wurde eine neue Entwässerungssatzung erarbeitet. Diese Satzung berücksichtigt alle entsprechenden Urteile. Es ist nun auch erstmals geregelt, bis wohin die Verantwortung der Eigentümer geht. Sofern ein Kontrollschacht errichtet ist, endet die gemeindliche Einrichtung am Kontrollschacht (der Schacht selbst ist immer Angelegenheit des Eigentümers). Bei Fehlen eines Kontrollschachtes endet die gemeindliche Einrichtung an der Grundstücksgrenze.

Mit Ausnahme der genannten Anpassungen sind in der neuen Satzung keine wesentlichen Änderungen enthalten.

Zum besseren Vergleich wurde eine Synopse erstellt, in der die bisherige Satzung mit der neuen Satzung gegenübergestellt wird.

Beschluss: 8 : 0

Der Gemeinderat beschließt die im Entwurf vorliegende „Satzung für die öffentliche Entwässerungseinrichtung der Gemeinde Gerach (Entwässerungssatzung – EWS)“. Der Entwurf wird dem Protokoll beigefügt. Erster Bürgermeister Sascha Günther wird mit der Ausfertigung und Bekanntmachung der Satzung beauftragt.

9. Sonstiges - Anfragen gemäß § 29 GeschO

Aus der Mitte des Gemeinderates wurden keine Anfragen gestellt bzw. Informationen gegeben:

Der Vorsitzende:
Günther
Erster Bürgermeister