Titel Logo
Amtsblatt Markt Diedorf
Ausgabe 15/2023
Amtliche Bekanntmachungen
Zurück zur vorigen Seite
Zurück zur ersten Seite der aktuellen Ausgabe

15-23 BebPl4 Bek. Auslegung-ORIG

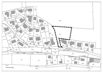
Nicht maßstäblich

Frühzeitige Bürgerbeteiligung gem. § 3 Abs. 1 BauGB;

Der Marktgemeinderat hat am 25.05.2023 beschlossen, den Bebauungsplan Nr. 4 „Alter Postweg“ erneut zu ändern. Die Änderung erhält die Bezeichnung Bebauungsplan Nr. 4 „Alter Postweg, 2. Änderung und Erweiterung“.

Der Änderungsbereich umfasst vollständig die Fl. Nr. 1001, sowie eine südwestliche Teilfläche der Fl. Nr. 1000, Gem. Biburg, im Gemeindegebiet des Marktes Diedorf, welche aus nachfolgendem Lageplan (o. M.) ersichtlich sind. Im wirksamen Flächennutzungsplan der Marktgemeinde Diedorf ist der Bereich als Wohnbaufläche dargestellt. Die Erweiterung und Änderung wird somit aus dem Flächennutzungsplan entwickelt, weshalb keine Änderung erforderlich ist.

Durch Beschluss des Marktgemeinderats vom 25.05.2023 wurde der angefertigte Bebauungsplanvorentwurf i. d. F. vom 25.05.2023 gebilligt und die Verwaltung mit der frühzeitigen Bürgerbeteiligung gem. § 3 Abs. 1 BauGB sowie der frühzeitigen Beteiligung der Nachbargemeinden und sonstiger Träger öffentlicher Belange gem. § 4 Abs. 1 BauGB beauftragt.

Ziel und Zweck der Planänderung

Die Aufstellung dient der Schaffung einer Wohnbaufläche von ca. 1.360m² im Zusammenhang mit einer dauerhaften Lösung für Schutz vor Hochwasser, bzw. wild abfließendem Oberflächenwasser im geplanten Areal unter Berücksichtigung der vorhandenen Bestandsbauten im Ortsteil Biburg.

Der Planvorentwurf für die Bebauungsplanänderung, bestehend aus Planzeichnung, Textteil und Begründung mit Umweltbericht, liegt in der Zeit vom Montag, den 07.08.2023 bis einschließlich Freitag, den 15.09.2023 im Rathaus des Marktes Diedorf, Lindenstr. 5, 86420 Diedorf (Bauamt EG), zu den Geschäftszeiten (Montag von 8.00 – 12.00 und 14.00 bis 18.00 Uhr sowie Dienstag, Donnerstag und Freitag von 8.00 bis 12.00 Uhr) zur Einsichtnahme öffentlich aus.

Während dieser Auslegungsfrist besteht zu den oben genannten Dienstzeiten die Möglichkeit, sich über die allgemeinen Zwecke und Ziele sowie die wesentlichen Auswirkungen der 2. Änderung und Erweiterung des Bebauungsplans Nr. 4 „Alter Postweg“ zu unterrichten und Anregungen zu der Planung mündlich, schriftlich oder zur Niederschrift vorzubringen.

Außerdem sind die Unterlagen auf folgender Webseite des Marktes einsehbar:

https://www.markt-diedorf.de/de/wirtschaft/planen-bauen/bauleitplanung/

Folgende umweltbezogene Informationen sind verfügbar:

  • Umweltbericht mit Aussagen zu den Schutzgütern Tiere, Pflanzen und Biologische Vielfalt, Boden, Fläche, Wasser, Luft, Klima, Landschaft, Mensch, Kultur und sonstigen Sachgütern;
  • Entwässerungskonzept (Erläuterungsbericht mit hydraulischen Berechnungen)

Die diesen Informationen zugrunde liegenden Unterlagen liegen ebenfalls während der vorgenannten Frist an den o. g. Stellen aus und können in dieser Zeit auch im Internet eingesehen werden (s. oben).

Nicht fristgerecht abgegebene Stellungnahmen können bei der Beschlussfassung über den Bebauungsplan unberücksichtigt bleiben, wenn die Gemeinde den Inhalt nicht kannte und nicht hätte kennen müssen und deren Inhalt für die Rechtmäßigkeit des Bebauungsplans nicht von Bedeutung ist.

Hinweis: Die gemeindlichen Erhebungen zur Ermittlung von gefahrenverdächtigen Altablagerungen in den Jahren 1989 und 1995 sowie weitere Erhebungen, die im Jahre 1989 unter (zum Teil ehemaligen) kommunalen Mandatsträgern durchgeführt wurden, haben keine Erkenntnisse auf das Vorhandensein möglicher Altlasten im Planbereich ergeben.

Falls jemand, abweichend von den gemeindlichen Erhebungen, Kenntnis über Altlasten (Müllablagerungen, Bodenverunreinigungen o.ä.) im Planbereich besitzt, wird darum gebeten, dies der Marktverwaltung mitzuteilen.

Datenschutz:

Die Verarbeitung personenbezogener Daten erfolgt auf der Grundlage der Art. 6 Abs. 1 Buchstabe e (DSGVO) i.V. mit § 3 BauGB und dem BayDSG. Sofern Sie Ihre Stellungnahme ohne Absenderangaben abgeben, erhalten Sie keine Mitteilung über das Ergebnis der Prüfung. Weitere Informationen entnehmen Sie bitte dem Formblatt „Datenschutzrechtliche Informationspflichten im Bauleitplanverfahren“ das ebenfalls öffentlich ausliegt und im Internet mit den Auslegungsunterlagen einsehbar ist.

Diedorf, den 18.07.2023
Markt Diedorf
Peter Högg, 1.Bürgermeister