Titel Logo
Chieminger Nachrichten
Ausgabe 17/2024
Amtliche Bekanntmachungen
Zurück zur vorigen Seite
Zurück zur ersten Seite der aktuellen Ausgabe

10. Änderung des Bebauungsplanes "Stöttham"

Bekanntmachung gemäß § 2 Abs. 1 Baugesetzbuch (BauGB) über die Absicht der Gemeinde Chieming den Bebauungsplan „Stöttham“ zu ändern und Bekanntmachung über die öffentliche Auslegung des Bebauungsplanentwurfes mit Begründung gemäß § 3 Abs. 2 BauGB.

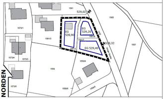
Der Gemeinderat hat in seiner Sitzung am 16.04.2024 die Änderung des Bebauungsplanes „Stöttham“ für den Bereich der Grundstücke Fl.Nrn. 1561/2, 1561/6 und 1561/7 der Gemarkung Chieming beschlossen. Der Geltungsbereich des Bebauungsplanes ergibt sich aus nachfolgendem Lageplan:

Der Bebauungsplan wird gemäß § 13 a Baugesetzbuch im beschleunigten Verfahren ohne Durchführung einer Umweltprüfung nach § 2 Abs. 4 Baugesetzbuch geändert.

Der Planentwurf wurde ausgearbeitet von der Planungsgruppe Strasser GmbH, Traunstein. Der Änderungsentwurf mit Begründung liegt in der Zeit

vom 26.08. bis einschließlich 27.09.2024

im Internet veröffentlicht und sind auf der Homepage der Gemeinde www.chieming.de unter der Rubrik „Über Chieming / Bauen und Planen / Bauleitplanung“ bzw. der Adresse https://www.chieming.de/ueber-chieming/bauen-und-planen/bauleitplanung und im Geoportal Bayern https://geoportal.bayern.de/bauleitplanungsportal/ > Gemeindename: Chieming > laufende Bauleitplanverfahren einsehbar.

Während der Auslegungsfrist können Anregungen (schriftlich oder zur Niederschrift) vorgebracht werden.

Es wird auf folgendes hingewiesen:

1.

Stellungnahmen können während der Dauer der Veröffentlichungsfrist abgegeben werden

2.

Stellungnahmen sollen elektronisch übermittelt werden (gemeinde@chieming.de), können bei Bedarf aber auch auf anderem Weg abgegeben werden

3.

Nicht fristgerecht abgegebene Stellungnahmen können bei der Beschlussfassung über den Bebauungsplan unberücksichtigt bleiben.

4.

Neben der Veröffentlichung im Internet werden die im Internet veröffentlichten Unterlagen während der Veröffentlichungsfrist auch in Papierform im Rathaus der Gemeinde Chieming, Hauptstraße 20, Zimmer 0.9, Erdgeschoss (barrierefreier Zugang) während der üblichen Zeiten des Publikumsverkehrs ausgelegt.

Der Inhalt der Bekanntmachung ist auch auf der Homepage der Gemeinde Chieming unter der Adresse https://www.chieming.de/ueber-chieming/bauen-und-planen/bauleitplanung eingestellt und auch über das zentrale Internetportal des Freistaates Bayern (https://geoportal.bayern.de/bauleitplanungsportal/) zugänglich.

Datenschutz: Die Verarbeitung personenbezogener Daten erfolgt auf der Grundlage der Art. 6 Abs. 1 Buchstabe e (DSGVO) i.V. mit § 3 BauGB und dem BayDSG. Sofern Sie Ihre Stellungnahme ohne Absenderangaben abgeben, erhalten Sie keine Mitteilung über das Ergebnis der Prüfung. Die Informationen zur Verarbeitung personenbezogener Daten nach der Datenschutz-Grundverordnung (DSGVO) sind auf der gemeindlichen Homepage unter https://www.chieming.de/ueber-chieming/bauen-und-planen/bauleitplanung/ einsehbar.