Titel Logo
Amtsblatt der Gemeinde Kolitzheim
Ausgabe 18/2024
Amtliche Nachrichten
Zurück zur vorigen Seite
Zurück zur ersten Seite der aktuellen Ausgabe

Bekanntmachung über die frühzeitige Beteiligung der Öffentlichkeit gemäß § 3 Abs. 1 des Baugesetzbuches (BauGB) zum Vorentwurf der 23. Änderung des Flächennutzungsplanes und zum Vorentwurf des vorhabenbezogenen Bebauungsplanes „Erweiterung Sondergebiet Photovoltaik Herlheim" mit 1. Änderung des vorhabenbezogenen Bebauungsplanes "Sondergebiet Photovoltaik"

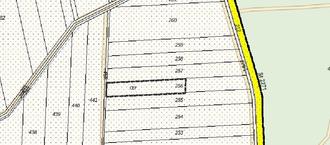
Fläche für CEF-Maßnahmen (Flur-Nr. 256, Gemarkung Unterspiesheim)

über die frühzeitige Beteiligung der Öffentlichkeit gemäß § 3 Abs. 1 des Baugesetzbuches (BauGB) zum Vorentwurf der 23. Änderung des Flächennutzungsplanes und zum Vorentwurf des vorhabenbezogenen Bebauungsplanes „Erweiterung Sondergebiet Photovoltaik Herlheim" mit 1. Änderung des vorhabenbezogenen Bebauungsplanes "Sondergebiet Photovoltaik"

Der Gemeinderat der Gemeinde Kolitzheim hat in seiner Sitzung am 24.01.2023 beschlossen, für die Erweiterung des Gebietes östlich der Kreisstraße SW 42 nach Brünnstadt im Gemeindeteil Herlheim einen vorhabenbezogenen Bebauungsplan „Erweiterung Sondergebiet Photovoltaik Herlheim“ aufzustellen und gleichzeitig den bestehenden vorhabenbezogenen Bebauungsplan „Sondergebiet Photovoltaik“ sowie den Flächennutzungsplan parallel zu ändern.

Anlass dafür ist der Antrag der EnergieKontor AG mit Niederlassung in Augsburg vom 02.05.2022 mit dem Ziel der Errichtung einer Freifeld-Photovoltaikanlage auf einer Teilfläche des Grundstücks mit der Fl. Nr. 1567 der Gemarkung Herlheim. Die Gesamtgröße beträgt 7,3 ha.

Das Plangebiet ist im derzeitigen Flächennutzungsplan als Fläche für die Landwirtschaft ausgewiesen. Die Änderung des Flächennutzungsplanes ist erforderlich und wurde vom Gemeinderat der Gemeinde Kolitzheim am 24.01.2023 beschlossen.

Der Geltungsbereich des vorhabenbezogenen Bebauungsplans „Erweiterung Sondergebiet Photovoltaik Herlheim“ mit 1. Änderung des vorhabenbezogenen Bebauungsplanes "Sondergebiet Photovoltaik" sowie der 23. Änderung des Flächennutzungsplans in der Gemarkung Herlheim umfasst eine Teilfläche des Grundstücks mit der Fl.Nr. 1567 der Gemarkung Herlheim. Der Geltungsbereich ist im beigefügten Lageplan gekennzeichnet.

Der Geltungsbereich ist wie folgt umgrenzt:

Im Norden: bestehender Feldweg

Im Osten: landwirtschaftliche Flächen

Im Süden: bestehender Feldweg

Im Westen: bestehendes Sondergebiet Photovoltaik und der Kreisstraße SW 42

Zusätzlich sind der Bauleitplanung als externe Ausgleichsflächen für artenschutzrechtliche Maßnahmen (CEF-Maßnahmen) folgende Flurstücke zugeordnet:

Flur-Nr. 256, Gemarkung Unterspiesheim, mit einer Teilfläche von 0,5 ha (siehe nachfolgenden Lageplan).

Der Plan-Vorentwurf mit Stand vom 09.04.2024 wurde am 23.04.2024 vom Gemeinderat der Gemeinde Kolitzheim gebilligt.

Gemäß § 13 Abs. 2 Ziffer 2 BauGB werden die Unterlagen zum Plan-Vorentwurf sowie der Inhalt dieser Bekanntmachung in der Zeit vom

13.05. – 21.06.2024

auf der Internetseite der Gemeinde Kolitzheim (www.kolitzheim.de) unter der Rubrik „Rathaus und Bürger“, „Bauen und Wohnen“ - „Bauleitplanverfahren“ nach § 3 Abs. 1 BauGB veröffentlicht und können über das zentrale Internetportal des Landes (https://geoportal.bayern.de/bauleitplanungsportal/) eingesehen werden.

Zeitgleich liegen die Unterlagen zum Plan-Vorentwurf während der allgemeinen Dienststunden (Montag von 08.00 bis 14.00 Uhr, Dienstag bis Freitag von 08.00 bis 12.00 Uhr, Donnerstag von 13.00 bis 18.00 Uhr) im Rathaus der Gemeinde Kolitzheim, Rathausstraße 1, 97509 Kolitzheim, Obergeschoss, Zimmer Nr. R 1.14, zu jedermanns Einsichtnahme öffentlich aus.

Gleichzeitig mit der frühzeitigen Beteiligung der Öffentlichkeit nach § 3 Abs. 1 BauGB findet die Beteiligung der Behörden und sonstigen Träger öffentlicher Belange gemäß § 4 Abs. 1 BauGB aufgrund von § 4a Abs. 2 BauGB statt.

Während dieser Auslegungsfrist können Stellungnahmen, vorzugsweise per E-mail (an info@kolitzheim.de), aber auch schriftlich oder zur Niederschrift, abgegeben werden. Nicht fristgerecht abgegebene Stellungnahmen können bei der Beschlussfassung über den Bauleitplan unberücksichtigt bleiben, sofern die Gemeinde Kolitzheim deren Inhalt nicht kannte und nicht hätte kennen müssen und deren Inhalt für die Rechtmäßigkeit des Bauleitplans nicht von Bedeutung ist.

Folgende Arten umweltbezogener Informationen sind verfügbar und werden mit ausgelegt:

  • Artenschutzfachliches Gutachten (Büro Bachmann)

Datenschutz: Die Verarbeitung personenbezogener Daten erfolgt auf der Grundlage von Art. 6 Abs. 1 Buchstaben c und e Datenschutz-Grundverordnung (DSGVO) i. V. m. § 3 BauGB und dem BayDSG; die Verarbeitung erfolgt nur zum Zweck des Bauleitplanverfahrens. Sofern Stellungnahmen ohne Absenderangaben abgeben werden, erfolgt keine Mitteilung über das Ergebnis der Prüfung. Weitere Informationen zum Datenschutz sind unter der oben aufgeführten Internetadresse veröffentlicht und liegen mit den o. g. Unterlagen öffentlich aus.

GEMEINDE KOLITZHEIM
Horst Herbert, 1. Bürgermeister