Titel Logo
Amtsblatt der Gemeinde Kolitzheim
Ausgabe 22/2025
Amtliche Nachrichten
Zurück zur vorigen Seite
Zurück zur ersten Seite der aktuellen Ausgabe

Verpachtung Weinbergsparzellen im GT Stammheim bis 09.11.2025

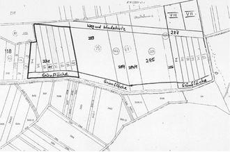
Die Gemeinde Kolitzheim verpachtet zum 01.01.2026 die Parzellen 1, 3 bis 5 der Fl.Nr. 287 in der Gemarkung Stammheim. Die Parzellen werden einzeln verpachtet, es kann jedoch gerne ein Angebot für alle 4 Parzellen abgegeben werden.

Parzelle 1: Pachtfläche 4.000 m², nutzbare Fläche 3.910 m²

Parzelle 3: Pachtfläche 3.700 m², nutzbare Fläche 3.320 m²

Parzelle 4: Pachtfläche 3.400 m², nutzbare Fläche 3.020 m²

Parzelle 5: Pachtfläche 3.100 m², nutzbare Fläche 2.720 m²

Die Pachtdauer beträgt 20 Jahre mit jährlicher Verlängerung.

Es gelten die üblichen Pachtbedingungen.

Interessenten werden gebeten ein schriftliches Angebot bis zum 09.11.2025 bei der Gemeindeverwaltung Kolitzheim oder per E-Mail: bauamt@kolitzheim.de abzugeben.

Kolitzheim, 23. Oktober 2025
Horst Herbert, 1. Bürgermeister