Titel Logo
Amtsblatt der Gemeinde Kolitzheim
Ausgabe 43/2024
Amtliche Nachrichten
Zurück zur vorigen Seite
Zurück zur ersten Seite der aktuellen Ausgabe
-

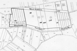
Verpachtung Weinbergsparzelle im GT Stammheim

Die Gemeinde Kolitzheim verpachtet zum nächstmöglichen Zeitpunkt die Parzelle 6 (VI) der Fl.Nr. 287 (Pachtfläche 3.300 m², nutzbare Fläche 2.870 m²) in der Gemarkung Stammheim.

Die Pachtdauer beträgt 20 Jahre mit jährlicher Verlängerung.

Es gelten die üblichen Pachtbedingungen.

Interessenten werden gebeten, ein schriftliches Angebot bis zum 10.11.2024 bei der Gemeindeverwaltung Kolitzheim oder unter bauamt@kolitzheim.de abzugeben.

Kolitzheim, 24.10.2024
Horst Herbert, 1. Bürgermeister