Titel Logo
Duracher Wochenblatt
Ausgabe 42/2025
Amtliche Bekanntmachungen - Am Anfang
Zurück zur vorigen Seite
Zurück zur ersten Seite der aktuellen Ausgabe

Amtliche Bekanntmachungen

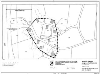
der Gemeinde Durach über den Satzungsbeschluss zur Außenbereichssatzung „Oberhof“

Am 25.09.2025 hat der Bau-, Umwelt- und Planungsausschuss die Außenbereichssatzung gem. § 35 Abs. 6 des Baugesetzbuchs (BauGB) für den Ortsteil Oberhof als Satzung beschlossen. Dieser Beschluss wird hiermit gemäß § 10 Abs. 3 des Baugesetzbuchs (BauGB) ortsüblich bekannt gemacht.

Mit dieser Bekanntmachung tritt die Außenbereichssatzung „Oberhof“ in Kraft.

Jedermann kann die Außenbereichssatzung “Oberhof“ im Rathaus der Gemeinde Durach einsehen und über deren Inhalt Auskunft verlangen. Die der Planung zu Grunde liegenden Vorschriften und Regelwerke können ebenso bei der Gemeinde Durach während der allgemeinen Öffnungszeiten eingesehen werden.

Diese sind:

  • Montag bis Donnerstag: 08.00 bis 12.00 Uhr
  • Donnerstag: 14.00 bis 18.00 Uhr
  • Freitag: 08.00 bis 12.30 Uhr

Auf die Voraussetzungen für die Geltendmachung der Verletzung von Verfahrens- und Formvorschriften und von Mängeln der Abwägung sowie die Rechtsfolgen des § 215 Abs. 1 BauGB wird hingewiesen.

Unbeachtlich werden demnach

-

eine nach § 214 Abs. 1 Satz 1 Nr. 1 bis 3 BauGB beachtliche Verletzung der dort bezeichneten Verfahrens- und Formvorschriften,

-

eine unter Berücksichtigung des § 214 Abs. 2 BauGB beachtliche Verletzung der Vorschriften über das Verhältnis des Bebauungsplans und des Flächennutzungsplans,

-

nach § 214 Abs. 3 Satz 2 BauGB beachtliche Mängel des Abwägungsvorgangs und

-

nach § 214 Abs. 2a im beschleunigten Verfahren beachtliche Fehler,

wenn sie nicht innerhalb eines Jahres seit Bekanntmachung des Bebauungsplans schriftlich gegenüber der Gemeinde geltend gemacht worden sind; der Sachverhalt, der die Verletzung oder den Mangel begründen soll, ist darzulegen. Außerdem wird auf die Vorschriften des § 44 Abs. 3 Satz 1 und 2 sowie Abs. 4 BauGB hingewiesen. Danach erlöschen Entschädigungsansprüche für nach den §§ 39 bis 42 BauGB eingetretene Vermögensnachteile, wenn nicht innerhalb von drei Jahren nach Ablauf des Kalenderjahres, in dem die Vermögensnachteile eingetreten sind, die Fälligkeit des Anspruches herbeigeführt wird.

Gemeinde Durach

Gerhard Hock
Erster Bürgermeister