Titel Logo
Mitteilungsblatt der Stadt Gemünden am Main
Ausgabe 26/2024
Amtsblatt der Stadt Gemünden a. Main
Zurück zur vorigen Seite
Zurück zur ersten Seite der aktuellen Ausgabe

Amtsblatt der Stadt Gemünden a. Main

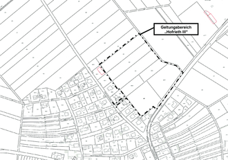
Aufstellung des Bebauungsplans „Hofrieth III“ Bekanntmachung des Aufstellungsbeschluss gemäß § 2 Abs. 1 Satz 2 Baugesetzbuch (BauGB);

Der Stadtrat der Stadt Gemünden a.Main hat in seiner Sitzung vom 24.06.202, einen Beschluss über die Aufstellung des Bebauungsplans „Hofrieth III“, in der Gemarkung Seifriedsburg gefasst.

Der Geltungsbereich des Bebauungsplangebietes erstreckt sich über die Grundstücke der Gemarkung Seifriedsburg mit den Flur-Nrn. 987, 987/2, 987/7, 988/1, 988/2, 988/3, 989, 990 und 991. Die Grundstücke befinden sich nördlich der Staatsstraße 2434 und grenzen östlich an die vorhandene Ortsbebauung der Wolfsmünsterer Straße an.

Der Lageplan für den Bebauungsplan mit der Abgrenzung des räumlichen Geltungsbereiches, ist Bestandteil des Beschlusses.

Der räumliche Geltungsbereich des aufzustellenden Bebauungsplans kann im Rathaus der Stadt Gemünden a.Main (Nebengebäude, 1. Stock, Zimmer 110), innerhalb der allgemeinen Dienstzeiten von Montag bis Freitag von 08:00 Uhr bis 12:00 Uhr und Donnerstag von 14:00 Uhr bis 15:30 Uhr, bzw. auf der Internetseite der Stadt Gemünden a.Main unter der Rubrik „Bekanntmachungen-Bauleitplanung“ eingesehen werden.

Die Aufstellung des Bebauungsplans „Hofrieth III“ soll der Bebauung mit Wohnbebauung für bereits vorhandene und ortsansässige Bauwillige dienen.

Gemünden a.Main, 25.06.2024
STADT GEMÜNDEN
gez.
Lippert
Erster Bürgermeister

Geltungsbereich

„Hofrieth III“