Titel Logo
Grabenstätter Gemeindeanzeiger
Ausgabe 26/2025
Amtliche Bekanntmachungen
Zurück zur vorigen Seite
Zurück zur ersten Seite der aktuellen Ausgabe

Amtliche Bekanntmachungen

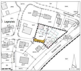
Plan ohne Maßstab

BAURECHT:

Änderung des Bebauungsplans „Nickelberg“ im Bereich der Grundstücke FlNrn. 353/14, 353/8, und 353/15 (Am Karwinkel 22), Gemarkung Grabenstätt

Bekanntmachung

Satzungsbeschluss

Der Bau- und Planungsausschuss hat in der Sitzung am 11.12.2025 die Änderung des Bebauungsplans „Nickelberg“ im Bereich der Grundstücke FlNrn. 353/14, 353/8, und 353/15 (Am Karwinkel 22), Gemarkung Grabenstätt, in der Fassung vom 11.12.2025 als Satzung beschlossen. Dieser Beschluss wird hiermit gemäß § 10 Abs. 3 Baugesetzbuch (BauGB) ortsüblich bekannt gemacht.

Mit dieser Bekanntmachung tritt die Änderung des Bebauungsplans „Nickelberg“ im Bereich der Grundstücke FlNrn. 353/14, 353/8, und 353/15 (Am Karwinkel 22), Gemarkung Grabenstätt, in Kraft.

Der Inhalt dieser öffentlichen Bekanntmachung zum Inkrafttreten des Bebauungsplans steht auf der Internetseite der Gemeinde Grabenstätt unter

www.grabenstaett.de > Ortsinformationen – Ortsrecht – laufende Bauleitverfahren >

Änderung Bebauungsplan „Nickelberg“ FlNrn 353/14, 353/8 und 353/15

(Am Karwinkel 22), Gemarkung Grabenstätt

während der Bekanntmachungsfrist zum Download bereit.

Der Bebauungsplan liegt gleichzeitig samt Begründung und den zugehörigen Unterlagen (insbesondere Planzeichnung, städtebauliche Begründung mit Umweltbericht, Immissionsschutzgutachten) ab Veröffentlichung dieser Bekanntmachung im Rathaus der Gemeinde Grabenstätt im Schloss Grabenstätt, Schloßstraße 15 in 83355 Grabenstätt, Zimmer-Nr. 10 im 1. Stock, während der allgemeinen Dienststunden öffentlich aus und kann dort eingesehen werden.

Gemäß § 215 Abs. 1 BauGB ist eine Verletzung folgender Vorschriften beim Zustandekommen der Bebauungsplanänderung unbeachtlich, wenn sie nicht schriftlich innerhalb von einem Jahr seit Bekanntmachung des geänderten Bebauungsplans gegenüber der Gemeinde geltend gemacht worden sind:

  1. Eine nach § 214 Abs. 1 Satz 1 Nr. 1 bis 3 BauGB beachtliche Verletzung der dort bezeichneten Verfahrens- und Formvorschriften,
  2. eine unter Berücksichtigung des § 214 Abs. 2 BauGB beachtliche Verletzung der Vorschriften über das Verhältnis des Bebauungsplans und des Flächennutzungsplans und
  3. nach § 214 Abs. 3 Satz 2 BauGB beachtliche Mängel des Abwägungsvorgangs.
  4. nach § 214 Abs. 2a BauGB im beschleunigten Verfahren beachtliche Fehler.

Der Sachverhalt, der die Verletzung oder die Mängel begründen soll, ist darzulegen.

Auf die Vorschriften des § 44 Abs. 3 Satz 1 und 2 und Abs. 4 BauGB über die fristgemäße Geltendmachung etwaiger Entschädigungsansprüche für Eingriffe in eine bisher zulässige Nutzung durch diesen Bebauungsplan und über das Erlöschen von Entschädigungsansprüchen wird hingewiesen. Danach erlöschen Entschädigungsansprüche für nach den §§ 39 bis 42 BauGB eingetretene Vermögensnachteile, wenn nicht innerhalb von drei Jahren nach Ablauf des Kalenderjahres, in dem die Vermögensnachteile eingetreten sind, die Fälligkeit des Anspruchs herbeigeführt wird.

Grabenstätt, den 12.12.2025
Gemeinde Grabenstätt
Gez.
G. Wirnshofer
Erster Bürgermeister

Geltungsbereich des in Kraft getretenen Bebauungsplans

Änderung des Bebauungsplans „Nickelberg“ im Bereich der Grundstücke FlNrn. 353/14, 353/8, und 353/15 (Am Karwinkel 22), Gemarkung Grabenstätt