Titel Logo
Grassauer Gemeindezeitung
Ausgabe 15/2024
Amtliche Bekanntmachungen
Zurück zur vorigen Seite
Zurück zur ersten Seite der aktuellen Ausgabe

Amtliche Bekanntmachung Nr. 88/2024

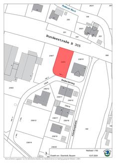
Mischgebietsfläche in Rottau

Der Markt Grassau beabsichtigt die nachfolgend dargestellte Mischgebietsfläche in Rottau im Rahmen eines Erbbaurechts zu vergeben:

Es ist beabsichtigt, die Vergabe des nachfolgenden Grundstückes Nr. 1.1 (Das gegenständliche Grundstück ist mit gelber Farbe markiert) auf Basis eines Erbbaurechts auf 66 Jahre zu vollziehen.

(Fl.236/9, Gemarkung Rottau)

Grundstück am Bastackerweg Hausnummer 2 in 83224 Rottau

Vorgesehen für Gewerbeprojekte (Mischgebiet) mit maximal einer untergeordneten Wohneinheit mit Hauptwohnsitzbindung

- Grundstücksgröße: 747 qm

- Baurecht nach § 30 Baugesetzbuch, Bebauungsplan „Rottau-West“ (einzusehen unter: https://www.grassau.de/nr-5-rottau)

- Erbpachtzins im Jahr anfänglich: 18.500,- €

- Wertsicherung: bei einer Änderung des Verbraucherpreisindex von mehr als 5% ändert sich der Erbpachtzins entsprechend.

Regularien für die Vergabe

- Es besteht Anschlusspflicht an das Biomasseheizwerk des Kommunalunternehmens Wärmeversorgung Grassau (Versorgung mit Wärme und Warmwasser).

- Für die westseitige Privatstraße ist zugunsten des Grundstücks ein Geh- und Fahrtrecht eingetragen. Der Erbbaunehmer hat die anteiligen Kosten für die erstmalige Erstellung der Privatstraße zu tragen sowie die jährlich pauschal festgelegten Kosten für den Winterdienst.

- Der Erbbaunehmer hat sämtliche Erschließungs-, Herstellungs-, und Anschlusskosten für das Grundstück zu tragen.

- Verpflichtung des Erbbaunehmers zur Sicherung des Grundstücks für eine gewerbliche Nutzung entsprechend des rechtsgültigen Bebauungsplanes und der vom Marktgemeinderat zugestimmten Konzeption.

- Der Erbbaunehmer verpflichtet sich zur Eigennutzung und zum Bau des Gebäudes innerhalb von drei Jahren ab Beurkundung.

- Ankaufsregelung für den Markt Grassau bei Verstoß gegen die vorgenannten Nutzungen.

Ablauf des Verfahrens

Im Rahmen des Verfahrens ist ein Angebot bis zur unten genannten Frist einzureichen. Das Angebot muss folgende Angaben enthalten:

Vorlage eines innovativen Gesamtkonzeptes zur Bebauung und gewerblichen Nutzung des Grundstückes

Rückfragen an: tobias.gasteiger@grassau.de, 08641/4008-21

Angebote sind im verschlossenen Umschlag bis spätestens 09.08.2024 an folgende Adresse zu senden:

Markt Grassau

-Erbbaurecht Bastackerweg-

Marktstraße 1

83224 Grassau

Wir bitten Sie, das Kuvert mit folgendem Vermerk zu versehen:

„Ausschreibungsunterlagen – Im Posteingang nicht öffnen“