Titel Logo
Groß-Bieberauer Nachrichten
Ausgabe 45/2024
Amtliche Bekanntmachungen
Zurück zur vorigen Seite
Zurück zur ersten Seite der aktuellen Ausgabe

Bekanntmachung

Bebauungsplan „Solarpark – Ober der Schaubach“

hier: Bekanntmachung der Beteiligung der Öffentlichkeit gemäß § 3 Abs. 2 BauGB

Der Entwurf des Bebauungsplanes „Solarpark – Ober der Schaubachnebst Begründung und Umweltbericht sowie den bereits vorliegenden umweltbezogenen Informationen werden gemäß § 3 Abs. 2 des Baugesetzbuches (BauGB) in der Fassung der Bekanntmachung vom 03.11.2017 (BGBI. I S. 3634) in der Zeit

vom 18.11.2024 bis einschließlich 18.12.2024

im Internet veröffentlicht unter www.gross-bieberau.de/seite/de/stadtverwaltung/

0352:1157/-/Amtliche Bekanntmachung.html.

Die Bekanntmachung kann ebenfalls unter der vorgenannten Internetadresse eingesehen werden.

Durch den vorliegenden Bebauungsplan „Solarpark – Ober der Schaubach“ sollen die planungsrechtlichen Voraussetzungen dafür geschaffen werden, eine Freiflächen-Photovoltaikanlage auf einer Gesamtfläche von ca. 4,65 ha errichten zu können.

Das Plangebiet liegt am westlichen Stadtrand der Stadt Groß-Bieberau, unmittelbar nördlich der Landesstraße L 3477. Der Geltungsbereich grenzt unmittelbar an die Gemarkung Wembach der Stadt Ober-Ramstadt im südwestlichen Bereich und an die Gemarkung Reinheim der Stadt Reinheim im westlichen und nördlichen Bereich.

Der Geltungsbereich umfasst die Flurstücke Gemarkung Groß-Bieberau, Flur 12, Nr. 65, 66, 67/1, 68/2, 69/2, 80/1, 81/1, 82/1, 83, 85/1, 151/1, 152 und weist eine Fläche von ca. 4,8 ha auf.

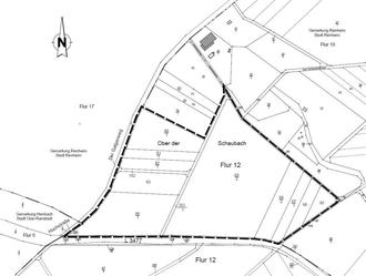
Der genaue räumliche Geltungsbereich des Bebauungsplanes mit den betroffenen Flurstücken ist der nachfolgenden Abbildung zu entnehmen.

Abb.:

Geltungsbereich des Bebauungsplanes "Solarpark - Ober der Schaubach"

Datengrundlage:

Amtliches Liegenschaftskatasterinformationssystem (ALKIS) der

Hessischen Verwaltung für Bodenmanagement und Geoinformation

Die nach § 3 Abs. 2 Satz 1 BauGB zu veröffentlichenden Unterlagen werden während des o. g. Zeitraums zusätzlich zur Veröffentlichung im Internet als andere leicht zu erreichende Zugangsmöglichkeit im Rathaus der Stadt Groß-Bieberau, Marktstraße 28, Groß-Bieberau, Zimmer Nr. 7, während der allgemeinen Sprechzeiten öffentlich ausgelegt:

montags und dienstags

von 8.00 Uhr bis 12.00 Uhr und von 14.00 Uhr bis 16.00 Uhr

mittwochs

von 14.00 Uhr bis 18.00 Uhr

donnerstags

von 8.00 Uhr bis 12.00 Uhr und von 14.00 Uhr bis 16.00 Uhr

freitags

von 8.00 Uhr bis 12.00 Uhr

Jeder hat das Recht, den Plan und die Begründung (mit Umweltbericht) sowie die nach Einschätzung der Stadt bereits vorliegenden umweltbezogenen Informationen während der Offenlegungszeit einzusehen und kann über den Inhalt Auskunft verlangen.

Folgende Arten umweltbezogener Informationen sind bei der Stadt verfügbar:

I.

Entwurf der Begründung zum Bebauungsplan „Solarpark – Ober der Schaubach“

In dem Entwurf der Begründung, erstellt vom Planungsbüro für Städtebau göringer_hoffmann_bauer, Groß-Zimmern mit Stand September 2024, werden u.a. die Ziele und Zwecke, die Bestandssituation, die übergeordnete Planung und die beabsichtigte Planung dargelegt.

II.

Entwurf des Umweltberichtes zum Bebauungsplan „Solarpark – Ober der Schaubach“

In dem Entwurf des Umweltberichtes, erstellt vom Planungsbüro für Städtebau göringer_hoffmann_bauer, Groß-Zimmern mit Stand September 2024 werden u. a. die Auswirkungen der Planung auf die Schutzgüter Mensch, Pflanzen und Tiere / biologische Vielfalt, Boden, Fläche, Wasser, Luft/Klima, Landschaftsbild, Kulturgüter und deren Wechselwirkungen und Wirkungsgefüge untereinander sowie die geplanten Maßnahmen zur Vermeidung, Verringerung und zum Ausgleich nachteiliger Auswirkungen untersucht und bewertet.

Grundlage hierfür bilden die nachfolgend näher beschriebenen Fachbeiträge und Stellungnahmen:

III.

Fachgutachten zum Bebauungsplan „Solarpark – Ober der Schaubach“

1. Artenschutzrechtlicher Fachbeitrag Bebauungsplan „Solarpark Ober der Schaubach“, Faunistikus GmbH Umwelt- und Planungsbüro, Birkenheide vom 25.10.2023 mit den wesentlichen Themen:

Ermittlung und Darstellung der artenschutzrechtlichen Verbotstatbestände, Artenschutz (europäische Vogelarten, Säugetiere, Reptilien, Käfer, Tag- und Nachtfalter, an Wasser gebundene Tierarten)

2. FFH-Vorprüfung Bebauungsplan „Solarpark Ober der Schaubach“, Faunistikus GmbH Umwelt- und Planungsbüro, Birkenheide vom 25.10.2023 mit den wesentlichen Themen:

Prüfung der Auswirkungen auf das benachbarte FFH-Gebiet 6218-302 „Buchenwälder des Vorderen Odenwaldes – Teilbereich Nord (Planungsraumnummer 4209)“

3. Eingriffs-/ Ausgleichsbilanzierung,

Planungsbüro für Städtebau göringer_hoffmann_bauer, Groß-Zimmern vom September 2024 mit den wesentlichen Themen:

Erfassung, Bewertung und Bilanzierung der für die Planung in Anspruch genommenen Flächen

4. Bestandskarte,

Planungsbüro für städtebau göringer_hoffmann_bauer, Groß-Zimmern vom Februar 2024 mit den wesentlichen Themen:

Biotop- und Nutzungstypenkartierung

IV.

Informationen in Gestalt von Stellungnahmen von Fachbehörden und sonstigen Trägern öffentlicher Belange sowie den anerkannten Naturschutzvereinigungen und Nachbargemeinden

-

Hessen Mobil Straßen- und Verkehrsmanagement, Darmstadt vom 20. Juni 2024 zu den Themen:

Bauverbotszone, Erschließung, Ausschluss einer Blendung

-

Forstamt Dieburg, Untere Forstbehörde, Dieburg vom 18.06.2024 zu den Themen:

Wald im Sinne des § 2 Hessisches Waldgesetz

-

Kreisausschuss des Landkreises Darmstadt-Dieburg, Darmstadt vom 19.06.2024 und 17.07.2024 zu den Themen:

Gewässerschutz, Trinkwasser- und Grundwasserschutz, Bodenschutz, Natura 2000-Gebiete, Eingriffe in Natur und Landschaft, naturschutzrechtliche Kompensation, Artenschutz, Landwirtschaft, Brand- und Katastrophenschutz, Bodendenkmalschutz, Ausschluss einer Blendung

-

Landesamt für Denkmalpflege Hessen, Darmstadt vom 18.06.2024 zu den Themen: Bodendenkmalpflege

-

Regierungspräsidium Darmstadt, Darmstadt vom 19. Juni 2024 zu den Themen: Zersiedlung und Freiraumerholung, klimatische Auswirkungen, FFH-Gebiet, Privilegierung von Freiflächen-Photovoltaikanlagen, Abweichung von den Zielen des RPS/RegFNP 2010, Standortalternativenprüfung, Grundwasser, Lage im Wasserschutzgebiet, Oberflächengewässer, Abwasser, anlagenbezogener Gewässerschutz, Bodenschutz, Strahlenschutz, Immissionsschutz, Bergaufsicht, Ausgleichs- oder Ersatzmaßnahmen, Landwirtschaft/Feldflur, Wald, Naturschutz, Natur- und Schutzgebiete, Artenschutz, Eingrünung, Wasserrahmenrichtlinie

-

Regierungspräsidium Darmstadt. Darmstadt, Kampfmittelräumdienst des Landes Hessen vom 10.06.2024 zu den Themen: Kampfmittel

-

Bund für Umwelt und Naturschutz Deutschland e.V. vom 18.06.2024 zu den Themen: Nutzung versiegelter Flächen, Ökologische Aufwertung, Schonung der landwirtschaftlichen Nutzfläche, Bodenabstand der Module, Erosionsschutz, Vorschlag für Artenschutzmaßnahmen

Stellungnahmen können während der Dauer der Veröffentlichungsfrist per E-Mail an

stadtverwaltung@gross-bieberau.de abgegeben und geäußert oder schriftlich beim Magistrat der Stadt Groß-Bieberau eingereicht oder bei der Stadtverwaltung zur Niederschrift gegeben werden.

Nicht fristgerecht abgegebene Stellungnahmen können bei der Beschlussfassung über den Bebauungsplan unberücksichtigt bleiben.

Der Inhalt der Bekanntmachung sowie die nach § 3 Abs. 2 Satz 1 BauGB zu veröffentlichten Unterlagen können zudem über das zentrale Internetportal des Landes Hessen (https://bauleitplanung.hessen.de) abgerufen werden.

Datenschutzhinweise zur Öffentlichkeitsbeteiligung im Bauleitplanverfahren

Die Erhebung der personenbezogenen Daten erfolgt zur Aufstellung, Änderung, Ergänzung oder Aufhebung von Bauleitplänen nach den Vorgaben des Baugesetzbuches (BauGB) im Rahmen der kommunalen Planungshoheit. Im Rahmen dieser Verfahren sind die Auswirkungen der Planung zu ermitteln sowie die durch die Planung betroffenen öffentlichen und privaten Belange zu erheben und gegeneinander und untereinander gerecht abzuwägen. Im Bauleitplanverfahren erfolgt eine Erhebung personenbezogener Daten, soweit dies zur Ermittlung der abwägungsrelevanten Belange und zur Beteiligung von Planungsbetroffenen erforderlich ist.

Zudem werden die persönlichen Daten derjenigen erfasst, die im Planverfahren eine Stellungnahme abgeben. Im Rahmen der Aufstellung, Änderung, Ergänzung oder Aufhebung von Bauleitplänen wird der Öffentlichkeit zum einen Gelegenheit zur Äußerung und Erörterung der jeweiligen Planungen, zum anderen Gelegenheit zur Stellungnahme zu den Entwürfen der Bauleitpläne, der Begründung und den wesentlichen, bereits vorliegenden umweltbezogenen Stellungnahmen gegeben. Die Erhebung erfolgt unter anderem durch den Magistrat oder im Auftrag des Magistrats durch Dritte, durch eingehende Stellungnahme der Öffentlichkeit und der Behörden im Rahmen der gesetzlich geforderten Öffentlichkeits- und Behördenbeteiligung nach §§ 3 bis 4c des Baugesetzbuches (BauGB).

Wenn Sie sich zur Abgabe einer Stellungnahme entschließen, werden die darin gemachten Angaben (sog. aufgedrängte Daten) sowie Ihre persönlichen Daten mit vollständigem Namen, Anschrift, Telefonnummer und E-Mailadresse und ggf. bodenrechtlich relevante Daten (z. B. Grundstück, Flurstücksbezeichnung, Eigentumsverhältnisse) gespeichert. Die persönlichen Angaben werden benötigt, um den Umfang Ihrer Betroffenheit oder Ihr sonstiges Interesse hinsichtlich des Bauleitplanverfahrens beurteilen zu können. Außerdem werden die Daten nach Abschluss des Bauleitplanverfahrens verwendet, um Sie über das Ergebnis der Prüfung und dessen Berücksichtigung zu informieren (§ 3 Abs. 2 Satz 4 2. Halbsatz BauGB). Sofern Sie eine Stellungnahme ohne Absenderangaben abgeben, erhalten Sie keine Mitteilung über das Ergebnis der Prüfung. Es werden auch Daten von Planungsbetroffenen erhoben, deren Beteiligung zur Ermittlung von öffentlichen oder privaten Belangen von Amts wegen erforderlich ist.

Die Verarbeitung ist für die Wahrnehmung einer öffentlichen Aufgabe erforderlich, die im öffentlichen Interesse liegt. Rechtsgrundlage ist Art. 6 Abs. 1 e) DSGVO in Verbindung mit § 7 des Hessischen Datenschutzgesetzes (HDSG) sowie dem anzuwendenden Fachgesetz (BauGB).

Ihre personenbezogenen Daten werden weitergegeben an:

  • die Stadtverordnetenversammlung zur Abwägung der öffentlichen und privaten Belange nach § 1 Abs. 7 BauGB;
  • einen Dritten, der auf Grundlage von § 4b BauGB zur Beschleunigung des Bauleitplanverfahrens die Vorbereitung und Durchführung von Verfahrensschritten nach den §§ 2a bis 4a BauGB übertragen bekommen hat (z.B. Planungsbüros);
  • andere Ämter oder Fachbereiche innerhalb der Kommunalverwaltung, wenn diese als zuständige Fachstelle zu den von Ihnen vorgebrachten Argumenten eine fachliche Stellungnahme abgeben müssen oder in den Bearbeitungsprozess einbezogen sind;
  • andere Behörden oder Fachstellen außerhalb der Kommunalverwaltung, wenn diese zuständigkeitshalber zu den von Ihnen vorgebrachten Argumenten eine fachliche Stellungnahme abgeben müssen;
  • höhere Verwaltungsbehörden zur Prüfung von Rechtsmängeln;
  • Gerichte im Rahmen einer gerichtlichen Überprüfung der Wirksamkeit von Bauleitplänen.

Die Gewährleistung eines Rechtsschutzes im Rahmen einer gerichtlichen Prüfung erfordert die dauerhafte Speicherung personenbezogener Daten. Denn auch nach Ablauf der Fristen für die Erhebung einer Normenkontrollklage kann ein Bauleitplan Gegenstand einer gerichtlichen Inzidenzprüfung sein. Sonstige Unterlagen werden so lange gespeichert, wie dies unter Beachtung gesetzlicher Aufbewahrungsfristen bzw. für die Aufgabenerfüllung erforderlich ist.

Groß-Bieberau, den 05.11.2024

Anja Vogt
Bürgermeisterin