Titel Logo
Groß-Bieberauer Anzeigeblatt
Ausgabe 9/2023
Amtliche Bekanntmachungen
Zurück zur vorigen Seite
Zurück zur ersten Seite der aktuellen Ausgabe

Bekanntmachung Offenlage Wersauer Weg

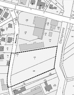
Abb.:Umgriff des durch eine strichlierte Umgrenzungslinie gekennzeichneten räumlichen Geltungsbereiches der Bauleitplanung in der Gemarkung Groß-Bieberau, Flur 3, Flurstück Nr. 124, 125/1 und 183/1 teilweise

Aufstellung des vorhabenbezogenen Bebauungsplanes „Seniorenzentrum Am Wersauer Weg“ in der Gemarkung Groß-Bieberau sowie teilbereichsbezogene Änderung des Flächennutzungsplanes im Geltungsbereich des v. g. Bebauungsplanes

hier: Bekanntmachung des Aufstellungsbeschlusses gemäß § 2 Abs. 1 Baugesetzbuch (BauGB) und der Durchführung der förmlichen Beteiligung der Öffentlichkeit gemäß § 3 Abs. 2 BauGB am v. g. Entwurf des vorhabenbezogenen Bebauungsplanes sowie der teilbereichsbezogenen Änderung des Flächennutzungsplanes, jeweils in Verbindung mit (i. V. m.) § 13a BauGB

Die Stadtverordnetenversammlung der Stadt Groß-Bieberau hat in ihrer Sitzung am 19.09.2022 zur Gewährleistung einer geordneten städtebaulichen Entwicklung und Ordnung im Sinne des § 1 Abs. 3 BauGB die Aufstellung des vorhabenbezogenen Bebauungsplanes „Seniorenzentrum Am Wersauer Weg“ sowie auch die teilbereichsbezogene Änderung des rechtswirksamen Flächennutzungsplanes für den Geltungsbereich des vorhabenbezogenen Bebauungsplanes in der Gemarkung Groß-Bieberau gemäß § 2 Abs. 1 BauGB beschlossen (Aufstellungsbeschluss). Die Bauleitplanverfahren werden im Parallelverfahren nach § 8 Abs. 3 BauGB durchgeführt.

Diese Aufstellungsbeschlüsse werden hiermit gemäß § 2 Abs. 1 BauGB ortsüblich bekannt gemacht.

Ziel und Zweck der Bauleitplanung:

Die Stadt Groß-Bieberau beabsichtigt, in einem Bereich östlich zwischen Wersauer Weg und Gersprenz, eine bisher unbebaute Fläche für die städtebauliche Nachverdichtung bauleitplanerisch vorzubereiten. Im Rahmen eines vorhabenbezogenen Bebauungsplans soll durch den Neubau eines Seniorenzentrums eine bestehende Lücke und ein Bedarf im Versorgungsangebot der Stadt Groß-Bieberau für altengerechten Wohnformen und adäquate Betreuungseinrichtungen geschlossen werden. Ferner wird der Neubau einiger Wohnbebauung beabsichtigt, dazu soll neben der zentralen Hauptnutzung „Seniorenwohnheim“ ergänzend im randlichen Bereich nach Osten hin zur Gersprenz, als Gebietsabschluss, eine Mehrfamilienhausbebauung mit Eigentumswohnungen errichtet werden. Ein gültiger Bebauungsplan besteht für den Planbereich derzeit nicht.

Mit der Bauleitplanung soll daher ein bisher unbebautes Grundstück im Innenbereich überplant und die bauplanungsrechtlichen Grundlagen für die vorgenannte Nutzungsabsicht geschaffen werden. Dazu hat ein Vorhabenträger bei der Stadt auf der Grundlage eines mit der Stadt abgestimmten Plans zur Durchführung der Vorhaben und der Erschließungsmaßnahmen den Antrag zur Aufstellung eines vorhabenbezogenen Bebauungsplanes gestellt. Er hat ferner gegenüber der Stadt erklärt, dass er bereit und in der Lage ist zur Durchführung des Vorhabens innerhalb einer bestimmten Zeit und sich zur Tragung der Planungs- und Erschließungskosten verpflichtet.

Der Umgriff des vorläufigen räumlichen Geltungsbereichs der Bauleitplanungen umfasst eine Fläche von rund 0,82 ha und betrifft die Grundstücke mit der amtlichen Katasterbezeichnung Gemarkung Groß-Bieberau, Flur 3, Flurstück Nr. 124, 125/1 und 183/1 teilweise (öffentliche Verkehrsflächen „Wersauer Weg“). Der Umgriff dieses räumlichen Geltungsbereiches ist in nachstehender Abbildung durch eine strichlierte Umgrenzungslinie gekennzeichnet (Darstellung unmaßstäblich).

Die Stadtverordnetenversammlung der Stadt Groß-Bieberau hat ferner in ihrer Sitzung am 19.09.2022 beschlossen, das Aufstellungsverfahren für den vorhabenbezogenen Bebauungsplan „Seniorenzentrum Am Wersauer Weg“ in der Gemarkung Groß-Bieberau nach den Maßgaben des § 13a BauGB (Bebauungsplan der Innenentwicklung) durchzuführen. Die Stadtverordnetenversammlung hat dazu festgestellt, dass die Anwendungsvoraussetzungen für ein Bauleitplanverfahren nach § 13a BauGB gegeben sind. Das Verfahren nach den Maßgaben des § 13a BauGB kann für Bebauungspläne angewandt werden, die der Wiedernutzbarmachung von Flächen, der Nachverdichtung oder anderen Maßnahmen der Innenentwicklung dienen und für welche zugleich eine zulässige Grundfläche von - wie im plangegenständlichen Fall - weniger als 20 000 m² festgesetzt wird. Diese Zulassungskriterien werden bei der vorliegenden Bauleitplanung erfüllt.

Gleichzeitig wird daher gemäß § 13a Abs. 3 Satz 1 Nr. 1 BauGB bekannt gemacht, dass die Aufstellung des vorhabenbezogenen Bebauungsplans „Seniorenzentrum Am Wersauer Weg“ in der Gemarkung Groß-Bieberau im beschleunigten Verfahren und daher ohne Durchführung einer Umweltprüfung gemäß § 2 Abs. 4 BauGB aufgestellt wird. Vom Umweltbericht gemäß § 2a BauGB, von der Angabe nach § 3 Abs. 2 Satz 2, welche Arten umweltrelevanter Informationen verfügbar sind, von der zusammenfassenden Erklärung nach § 10a Abs. 1 BauGB sowie auch von der frühzeitigen Unterrichtung und Erörterung der Öffentlichkeit gemäß § 3 Abs. 1 BauGB sowie der Behörden und sonstigen Träger öffentlicher Belange gemäß § 4 Abs. 1 BauGB wird im Sinne des § 13b BauGB in Verbindung mit § 13a Abs. 2 Nr. 1 BauGB abgesehen.

Alsdann wird bekannt gemacht, dass der Ausschuss Klimaschutz, Umwelt, Landwirtschaft, Bauen und Verkehr in seiner Sitzung am 16.02.2023 den Bebauungsplan „Seniorenzentrum Am Wersauer Weg“ sowie die teilbereichsbezogene Änderung des Flächennutzungsplanes, als jeweiligen Entwurf zur Durchführung der förmlichen Beteiligung der Öffentlichkeit gemäß § 13a Abs. 2 BauGB i.V.m. § 3 Abs. 2 BauGB sowie der förmlichen Beteiligung der Behörden und sonstigen Träger öffentlicher Belange, deren Aufgabenbereich durch die Planung berührt werden kann, gemäß § 13a Abs. 2 BauGB i.V.m. § 4 Abs. 2 BauGB beschlossen und gebilligt hat.

Es wird dazu bekannt gegeben, dass die Entwurfsplanung zum vorhabenbezogenen Bebauungsplan „Seniorenzentrum Am Wersauer Weg“ in der Gemarkung Groß-Bieberau, bestehend aus der Planzeichnung für den Rechtsplan und gesondertem Legendenblatt, den Planzeichnungen für den Vorhabenplan (Freifläche sowie Ansichten) und dem Textteil zum Bebauungsplan (planungsrechtliche Festsetzungen nach § 12 BauGB und bauordnungsrechtliche Festsetzungen (örtliche Bauvorschriften) nach § 91 Hessischer Bauordnung (HBO)), sowie die Planzeichnung zur teilbereichsbezogenen Änderung des Flächennutzungsplanes im Geltungsbereich des v. g. Bebauungsplanes und der gemeinsamen, zu den Bauleitplanungen zugehörigen Begründung, in der Zeit

vom 13.03.2023 bis einschließlich 14.04.2023

beim Magistrat der Stadt Groß-Bieberau, Marktstraße 28-30 in 64401 Groß-Bieberau, in Zimmer 7 des Rathauses (1. Obergeschoss), während der allgemeinen Öffnungs- und Sprechzeiten öffentlich ausgelegt werden. Dort kann der Entwurf der Bauleitpläne (Flächennutzungsplan und vorhabenbezogener Bebauungsplan) eingesehen werden:

montags und dienstags

von 8.00 Uhr bis 12.00 Uhr und von 14.00 Uhr bis 16.00 Uhr

mittwochs

von 14.00 Uhr bis 18.00 Uhr

donnerstags

von 8.00 Uhr bis 12.00 Uhr und von 14.00 Uhr bis 16.00 Uhr

freitags

von 8.00 Uhr bis 12.00 Uhr

Aufgrund der Corona-Pandemie werden Sie gebeten, die aktuellen Hygienehinweise und Abstandsregeln zu beachten.

Die Öffentlichkeit wird durch diese öffentliche Auslegung der Entwurfsplanungen gemäß § 3 Abs. 2 BauGB am Bauleitplanverfahren beteiligt. Es wird zudem bekannt gemacht, dass sich die Öffentlichkeit im Rahmen der öffentlichen Auslegung innerhalb des o. g. Auslegungszeitraumes bei den Mitarbeiter*innen der Stadtverwaltung über die allgemeinen Ziele und Zwecke sowie die wesentlichen Auswirkungen der Planung unterrichten kann. Während der Auslegungsfrist können Stellungnahmen schriftlich an den Magistrat der Stadt Groß-Bieberau, Marktstraße 28-30 in 64401 Groß-Bieberau oder elektronisch an die eMail-Adresse stadtverwaltung@gross-bieberau.de gerichtet oder während der allgemeinen Dienststunden auch mündlich zur Niederschrift abgegeben werden. Eine frühzeitige Unterrichtung und Erörterung im Sinne des § 3 Abs. 1 BauGB findet nicht statt.

Zusätzlich können die Entwurfsunterlagen zu den Bauleitplänen im pdf-Datenformat innerhalb des oben genannten Auslegungszeitraumes auch auf der offiziellen Homepage der Stadt Groß-Bieberau (www.gross-bieberau.de) unter der Rubrik > Bürgerservice > Amtliche Bekanntmachung, eingesehen und unter dem link: https://www.gross-bieberau.de/seite/de/stadtverwaltung/035:3102:1157/tn_3102/Amtliche_Bekanntmachung.html abgerufen werden sowie auf dem Internetportal des Landes Hessen unter https://bauleitplanung.hessen.de.

Es wird darauf hingewiesen, dass gemäß § 4 a Abs. 6 BauGB Stellungnahmen, die im Verfahren der Öffentlichkeitsbeteiligung nicht rechtzeitig abgegeben worden sind, bei der Beschlussfassung über den Bauleitplan unberücksichtigt bleiben können, sofern die Gemeinde deren Inhalt nicht kannte und nicht hätte kennen müssen und deren Inhalt für die Rechtmäßigkeit des Bauleitplanes nicht von Bedeutung ist.

Weiterhin wird darauf hingewiesen, dass Dritte (Privatpersonen) mit der Abgabe einer Stellungnahme der Verarbeitung ihrer angegebenen Daten, wie z. B. Name, Anschrift, Telefonnummer, E-Mail-Adresse etc. ausdrücklich zustimmen. Gemäß Artikel 6 Abs. 1c und 1e der Datenschutzgrundverordnung (DSGVO) werden die Daten im Rahmen des Bauleitplanverfahrens für die gesetzlich bestimmten Dokumentationspflichten und für die Informationspflicht den betroffenen Personen gegenüber genutzt.

Die Stadt Groß-Bieberau hat die Vorbereitung und Durchführung von Verfahrensschritten gemäß § 4 b BauGB auf das Planungsbüro IP-Konzept, Lautertal (Reichenbach) übertragen. Das Büro fungiert hierbei als Verwaltungshelfer ohne Entscheidungsbefugnis.

Groß-Bieberau, den 27.02.2023
Für den Magistrat der Stadt Groß-Bieberau
Anja Vogt, Bürgermeisterin