Titel Logo
Amts- und Mitteilungsblatt Gemeinde Mitteleschenbach
Ausgabe 7/2024
Amtliche Bekanntmachungen
Zurück zur vorigen Seite
Zurück zur ersten Seite der aktuellen Ausgabe

Amtliche Bekanntmachungen

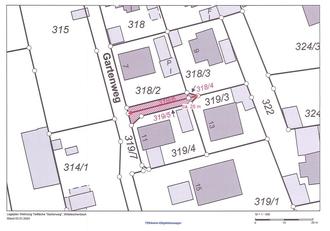
Bekanntmachung Widmung einer öffentlichen Straße

hier: Teilstück Gartenweg (Zufahrt zu Hausnummer 9 und 13)

1. Straßenbeschreibung

Bezeichnung:

BVNr. 69: Gartenweg (Teilstück Zufahrt zu Hausnummer 9 und 13), Ortsstraße, Flurnummer 319/6,319/5

und 318/4 (jetzt 319/7 Verschmelzung), Gemarkung Mitteleschenbach, Gesamtlänge 25 m, neu

gewidmet 25 m.

Anfangspunkt:

Einmündung bei Flurnummern 318/2 und 319/4

Endpunkt:

Flurnummer 318/3 und 319/3

2. Verfügung

2.1 Verfügung: Die unter Ziffer 1 bezeichnete Straße wird gewidmet zur Ortsstraße.

2.2. keine

3. Träger der Straßenbaulast

Gemeinde Mitteleschenbach

4. Wirksamwerden

Die Widmungsverfügung wird wirksam am 01.09.2024, gemäß Gemeinderatsbeschluss vom 14.09.2023.

5. Sonstiges

Die Verfügung nach Nummer 2 kann während der üblichen Besuchszeiten eingesehen werden bei:

Gemeindeverwaltung Mitteleschenbach, Rathausstraße 2, 91734 Mitteleschenbach, in der Zeit vom 15.08.2024 bis 16.09.2024.

Mitteleschenbach
01.08.2024
Ort
Datum
gez.
Bußinger
1. Bürgermeister