Titel Logo
Modautal-Nachrichten
Ausgabe 23/2024
Aus den Gremien
Zurück zur vorigen Seite
Zurück zur ersten Seite der aktuellen Ausgabe

Protokoll Sitzung Gemeindevertretung vom 06.05.2024

Abb.: Grenze des räumlichen Geltungsbereichs der Bauleitplanung, Grundstücke in der Gemarkung Klein-Bieberau, Flur 2, Nr. 51 sowie jeweils teilweise die Nrn. 34, 38, 52, 53.

Niederschrift über die 19. öffentliche Sitzung in der XI. Wahlperiode der Gemeindevertretung der Gemeinde Modautal am Montag, dem 06.05.2024, 19:30 Uhr, im Sitzungssaal der Hofreite, Odenwaldstr. 32 in Brandau.

Siehe Anwesenheitsliste

TOP 1: Eröffnung und Begrüßung, Feststellung der Beschlussfähigkeit

Der stellvertretende Vorsitzende Herr Dr. Rolf Hartmann eröffnet die Sitzung, begrüßt die Anwesenden und stellt die Beschlussfähigkeit fest.

Tagesordnung

TOP 1:

Eröffnung und Begrüßung, Feststellung der Beschlussfähigkeit

TOP 2:

Genehmigung der Sitzungsniederschrift vom 05.02.2024

TOP 3:

Bericht des Gemeindevorstandes

TOP 4:

Bericht aus den Verbänden

TOP 5:

Bauleitplanung Aufstellung des Bebauungsplans „Zwischen Römerberg und Mühlpfad“ in der Gemarkung Brandau; Beratung und Beschlussfassung; Drucksache 135/XI

TOP 6:

Änderung des Bebauungsplans „Schafwiesen“ in der Gemarkung Brandau; Beratung und Beschlussfassung; Drucksache 136/XI

TOP 7:

Bauleitplanung Aufstellung des Bebauungsplans „Hauswiesen“ in der Gemarkung Neunkirchen; Beratung und Beschlussfassung; Drucksache 137/XI

TOP 8:

Bauleitplanung Aufstellung des Bebauungsplans „Am Flößchen“ sowie teilbereichsbezogene Änderung des Flächennutzungsplans im Geltungsbereich des v.g. Bebauungsplans in der Gemarkung Klein-Bieberau, Flur 2; Beratung und Beschlussfassung; Drucksache 138/XI

TOP 9:

Anfrage der Fraktion Bündnis 90/Die GRÜNEN zu den Ortsverbindungsstraßen in der Gemeinde Modautal; Drucksache 139/XI

TOP 10:

Anfrage der Fraktion Bündnis 90/Die GRÜNEN zum Projekt Neubau Feuerwehr Modautal Nord; Drucksache 140/XI

TOP 11:

Wahl der Vertreterin/des Vertreters und der Stellvertreterin/des Stellvertreters in die Verbandsversammlung des Abwasserverbandes Vorderer Odenwald (AVO); Drucksache 141/XI

TOP 12:

Mitteilungen

TOP 2: Genehmigung der Sitzungsniederschrift vom 05.02.2024

Der stellvertretende Vorsitzende der Gemeindevertretung stellt fest, dass gemäß § 29 (Niederschrift) der Geschäftsordnung für die Gemeindevertretung und die Ausschüsse innerhalb der Frist keine Einwendungen erhoben wurden und somit die Niederschrift der Sitzung vom 05.02.2024 genehmigt ist.

TOP 3: Bericht des Gemeindevorstandes

Der Bürgermeister berichtet zu folgenden Themen:

1. Haushaltssatzung und Haushaltsplan der Gemeinde Modautal für das Haushaltsjahr 2024

Mit Datum vom 12.03.2024 hat die Kommunalaufsicht des Landkreises Darmstadt-Dieburg der Gemeinde Modautal die Aufsichtsbehördliche Genehmigung gemäß § 97a i. V. m. § 92 Abs. 5 Nr. 2 und § 103 Abs. 2 HGO erteilt. Die Genehmigung enthält keinerlei Auflagen und Bedingungen. Hieran erkennt man, wie korrekt und solide die Haushaltsplanung in Modautal durchgeführt wird. Gleichzeitig wurde auch eine Kreditgenehmigung für Investitionen in Höhe von 1.550.000,00 € erteilt. Die Haushaltsgenehmigung wurde an alle Mitglieder der Gemeindevertretung ausgeteilt.

2. Feststellung Jahresabschluss 2023

Der Gemeindevorstand hat den Jahresabschluss 2023 am 24.04.2024 aufgestellt. Der Jahresabschluss wird dem Revisionsamt zur Prüfung vorlegen.

Die Gemeindevertretung ist über die wesentlichen Inhalte nach § 112 Abs. 5 HGO zu unterrichten.

Dem Gemeindevorstand und der Gemeindeverwaltung ist es trotz sehr schwieriger Randbedingungen unter Ausschöpfung aller Einsparmöglichkeiten gelungen, ein positives ordentliches Ergebnis zu erwirtschaften, Schulden weiter abzubauen und wichtige Zukunftsinvestitionen zu tätigen. Eine besondere Belastung im Jahr 2023 war die um rund 550.000,00 € gestiegene Kreis- und Schulumlage.

Die Eckdaten des Jahresabschlusses 2023 zum 31.12.2023 lauten wie folgt:

Ordentliches Ergebnis  —  118.530,00 EUR

Außerordentliches Ergebnis  —  22.492,32 EUR

Jahresergebnis  —  141.022,32 EUR

Finanzmittelbestand  —  2.517.185,87 EUR

Bilanzsumme  —  51.069.658,87 EUR

Investitionen  —  2.459.962,00 EUR

Schuldenabbau  —  490.422,00 EUR

Der Bürgermeister teilt den Gemeindevertretern die Vermögensrechnung, Ergebnisrechnung sowie Finanzrechnung in der Sitzung aus.

3. Hebesätze der Nachbarkommunen für die Grundsteuer B und die Gewerbesteuer 2024

Die Gemeindeverwaltung hat eine Übersicht auf Grundlage einer Karte zur Grundsteuer B und zur Gewerbesteuer für das Jahr 2024 erstellt. Zwischenzeitlich haben alle Nachbarkommunen einen beschlossenen Haushaltsplan. Die Genehmigung der Haushalte steht in verschiedenen Kommunen noch aus. In Modautal beträgt der Hebesatz der Grundsteuer B 500% und der Gewerbesteuer 380%. Der durchschnittliche Grundsteuerhebesatz B der direkten Nachbarn der Gemeinde Modautal beträgt 807%. Der durchschnittliche Hebesatz der Gewerbesteuer der direkten Nachbarn der Gemeinde Modautal beträgt 399%. 100 Hebesatzpunkte bei der Grundsteuer B ergeben derzeit Erträge in Höhe von 196.000,00 €; 10 Hebesatzpunkte bei der Gewerbesteuer ergeben Erträge von rund 44.000,00 €.

4. Vergabe Feuerwehr Modautal Nord

Lichtbauelemente

Es wurden 3 Firmen aufgefordert, ein Angebot für das Gewerk Lichtbauelemente abzugeben. Zum Vergabetermin lagen lediglich zwei wertbare Angebote vor. Die Vergabe durch den Gemeindevorstand erfolgte an die Firma Metz GmbH, Siegen Kreuznach zum Bruttoangebotspreis von 69.108,06 €.

Sektionaltore

Die erste Ausschreibung für die Sektionaltore wurde aufgehoben.

Die Ausschreibung wurde am 29.02.2024 neu auf den Markt gebracht. Lediglich 2 Angebote gingen ein. Der Gemeindevorstand hat der Vergabe der Sektionaltore für den Neubau des Feuerwehrhauses Modautal Nord an die wirtschaftlich günstigste Firma Seeger Maschinen- Metallbau, 64397 Modautal zu einem Bruttoangebotspreis von 75.073,75 € zugestimmt.

Zusätzliche Förderung

Beim Land Hessen wurde zusätzlich zu der bisher bewilligten Förderung ein Förderantrag für Intrakommunale Zusammenarbeit von 4 Feuerwehren gestellt. Eine Förderung mit bis zu 60.000,00 € ist hier möglich.

5. Vergabe Jährliche Sinkkastenreinigung

Die jährliche Reinigung der Sinkkästen wurde ausgeschrieben.

Am Tag der Submission lag kein wertbares Angebot vor. Die Ausschreibung wurde wiederholt.

Drei Angebote gingen bei der Gemeindeverwaltung ein. Der Gemeindevorstand hat der Vergabe an den günstigsten Bieter Fa. Kanalservice Ried GmbH, Groß-Rohrheim zu einem Bruttoangebotspreis von 14.473,97 € jährlich und einer Laufzeit bis zum 28.02.2025 zugestimmt.

6. Nebenkostenabrechnung der Hallen für die Vereine

Der Gemeindevorstand hat einen grundsätzlichen Verzicht bei Gebühren unter 10 € analog § 6 Abs. 1 KAG der Nebenkosten für die Hallen und Bürgerhäuser beschlossen. Dies betraf im Jahr 2023 folgende Vereine / Verbände:

- Ev. Kirchengemeinde Ober-Beerbach und Ernsthofen

- SOFA Asbach

- MSC Allertshofen/Hoxhohl

- 11 Orte e. V.

7. Weiterführende Schulen

Den Eltern von Modautaler Kindern wurde beim Vorstellungstag an der Mittelpunktschule Gadernheim mitgeteilt, dass zukünftig keine Kapazitäten an der Schule in Gadernheim für Kinder aus dem Landkreis Darmstadt-Dieburg und der Gemeinde Modautal mehr bestehen.

Derzeit besuchen 45 Schüler aus Modautal die Mittelpunktschule in Gadernheim. Da an der Georg-Christoph-Lichtenberg-Schule in Ober-Ramstadt aus Kapazitätsgründen nur wenige Modautaler Schüler aufgenommen werden, verbleibt vor allem die Albert-Einstein-Schule in Groß-Bieberau als weiterführende Schule. Der Bürgermeister hat gemeinsam mit dem Schulelternbeirat der Modautalschule um einen Termin beim Ersten Kreisbeigeordneten Lutz Köhler und dem Leiter des staatlichen Schulamtes Herrn von Kymmel gebeten. An diesem Termin nahm auch die Schulleitung der Modautalschule teil. Der Leiter des staatlichen Schulamtes hat erläutert, dass sich die Wahlmöglichkeit der Eltern nur auf den Bildungsgang bezieht und es keinen Anspruch auf eine bestimmte Schule gibt. Andere Landkreise können Schüler z. B. aus dem Landkreis Darmstadt-Dieburg aufnehmen, müssen das aber nicht. Der Erste Kreisbeigeordnete Lutz Köhler setzt sich weiterhin für den Ausbau der Georg-Christoph-Lichtenberg-Schule in Ober-Ramstadt ein und hat zugesagt, die Busverbindung nach Groß-Bieberau auf Verbesserungsmöglichkeiten zu prüfen.

8. Pakt für den Ganztag

Mit dem Landkreis Darmstadt-Dieburg bzw. mit der von ihm beauftragten Eigengesellschaft Betreuung DaDi gGmbH wurde rückwirkend zum 01.02.2024 eine neue Vereinbarung getroffen, nachdem die alte Vereinbarung durch die Betreuungs-GmbH gekündigt wurde. Die neue Vereinbarung sieht einen Zuschuss pro Schuljahr und Gruppe in Höhe von 8.910,72 € (vorher 6.364,80 €) zzgl. einer Umlage in Höhe von 10 % vor. Die Kosten sind zu 2/3 von der Gemeinde Modautal und zu 1/3 von der Stadt Ober-Ramstadt zu tragen. Des Weiteren ist für jedes Modautaler Kind, welches die Ferienbetreuung in Anspruch nimmt, ein Zuschuss in Höhe von 42 € (vorher 30 €) pro Kind und Woche zu leisten.

9. Regionalprojekt des Landkreises Darmstadt-Dieburg „Ich lebe und arbeite in Modautal/Fischbachtal“

Seit dem Frühjahr 2024 findet das Regionalprojekt „Ich lebe und arbeite in Modautal“ gemeinsam mit der Gemeinde Fischbachtal statt. Veranstaltungsort ist die Festhalle Lützelbach.

Durch dieses Regionalprojekt der Kreisagentur des Landkreises Darmstadt-Dieburg werden motivierte und qualifizierte Arbeitssuchende sowie Unternehmer auf der Suche nach qualifiziertem Personal vor Ort unterstützt, um in ihrem Wohnort oder Firmensitz zusammen zu kommen. In enger Zusammenarbeit mit der Kommune, dem Gewerbeverein, den Unternehmen vor Ort und dem Jobcenter werden Kontakte und Beziehungen (Netzwerke) aktiviert und genutzt, um offene Arbeitsstellen vor Ort zu besetzen.

Die Vermittlungsquote liegt laut Landkreis Darmstadt-Dieburg bei rund 30%-40%.

10. Ortsvorsteherin Neunkirchen

Die seitherige Ortsvorsteherin Sabrina Bormuth hat ihr Mandat zum 01.03.2024 niedergelegt. Der Bürgermeister dankt Frau Bormuth für ihr Engagement in Neunkirchen.

Der Ortsbeirat Neunkirchen hat in seiner Sitzung am 03.05.2024 Frau Katharina Maul zur neuen Ortsvorsteherin gewählt.

11. Pflege Kriegsgräberstätte in Brandau

Die Pflege der Kriegsgräberstätte in Brandau wurde an die Behindertenwerkstatt Bergstraße zum Bruttoangebotspreis von 5.243,00 € vergeben.

12. Bodenerneuerung Pizzeria in der Hofreite Brandau

Der Boden in der Küche und einem Vorraum muss erneuert werden. Der Gemeindevorstand hat den Beauftragungen an folgende Firmen zugestimmt:

Fliesen / Küche: Firma Günter Steinmann Fliesenfachverlegung, Modautal in Höhe von brutto 4.367,82 €.

CV-Belag / Vorraum: Firma Schott Raumausstattung, Ober-Ramstadt in Höhe von brutto 931,53 €.

13. BHZ Roßdorf / Kita Gartenreich

Die Kita Gartenreich hat im Februar 2023 ihren Betrieb aufgenommen. Die Gemeinde Modautal hat einen Integrationsplatz „vertraglich“ gebucht. Ein Kind aus Modautal besucht regelmäßig die Einrichtung. Aufgrund der Neueröffnung der Einrichtung lag zum Start der Kita keine Vollauslastung vor. Die Gemeinde Modautal hat als Vorauszahlung 1.400,00 € pro Monat gezahlt. Gemäß der vertraglich vereinbarten Abrechnung ist eine Nachzahlung in Höhe von 5.257,04 € für das Jahr 2023 fällig.

14. Erschließungsarbeiten Neunkircher Weg im Ortsteil Brandau

Derzeit finden die Erschließungsarbeiten im Neunkircher Weg im Auftrag eines privaten Erschließungsträgers statt. Die Art und der Umfang der Bauarbeiten wurden in einem Erschließungsvertrag geregelt. Der Erschließungsträger hat die Fa. Lösel Bau-UG aus Fränkisch-Crumbach beauftragt.

15. Kinderbetreuung

Teilweise müssen die Öffnungszeiten durch die angespannte personelle Situation eingeschränkt werden. Die Gemeinde Modautal sucht intensiv nach Erzieherinnen. Daneben bildet die Gemeinde Modautal bereits seit längerer Zeit intensiv aus. In diesem Jahr sind 5 Auszubildende bzw. Anerkennungspraktikantinnen in den Einrichtungen beschäftigt. Besonders schwierig ist die Personalsituation in der Kita Löwenzahn, in der die Betreuungszeit von 16:00 Uhr auf 14:00 Uhr verkürzt werden muss. Die Gemeindeverwaltung fragt derzeit die Berufstätigkeit und die Arbeitszeiten der Eltern in der Kita Löwenzahn ab und prüft die Einrichtung einer Notbetreuung. Ein Großteil der neu angemeldeten Kinder über 3 Jahre stammt aus der Ukraine.

16. Ortsdurchfahrt Ernsthofen Landesstraße L3099

Die Straßenmeisterei des Landes Hessen hat über das Jahreslos der Gemeinde Modautal Reparaturarbeiten an der Landesstraße in Ernsthofen ausführen lassen. Die Beauftragung der Tiefbauarbeiten an die Firma Nikolaus Killian, Fürth erfolgte über die Gemeinde Modautal. Die Rechnungsprüfung ist durch die Straßenmeisterei bzw. Hessen Mobil erfolgt. Der Gemeinde Modautal wurden die Kosten erstattet. Die Gemeinde Modautal hat diesem unüblichen Verfahren zugestimmt, um für die Anwohner und Autofahrer schnellstmöglich eine Verbesserung zu erreichen. Die Kosten der Baumaßnahme belaufen sich auf rund 56.000,00 € brutto.

17. Buslinie O

Die DADINA hat mitgeteilt, dass ab Mai eine Ausdünnung des Fahrplans auf der Linie O erfolgt. Diese Einschränkungen sollen mindestens bis November 2024 beibehalten werden. Durch die Baumaßnahme auf der Ortsdurchfahrt Modau entstehen Mehrkosten für die

Linie O, da diese zur Zeit über Rohrbach verkehrt. Mit den Fahrplaneinschränkungen sollen diese Mehrkosten eingespart werden. Der Bürgermeister hat hierzu eine kritische Stellungnahme verfasst und die DADINA aufgefordert, nach alternativen Lösungen zu suchen. Auch die Stadt Ober-Ramstadt sieht die Fahrplanänderung kritisch. Die DADINA und der Landkreis Darmstadt-Dieburg benötigen nicht das Einvernehmen der Gemeinde Modautal und der Stadt Ober-Ramstadt zur Fahrplanänderung.

18. Auflösung Niesbrauchvertrag TV Asbach – Gemeinde Modautal

Der Anwalt des TV Asbachs hat bei einem Gerichtstermin vorgeschlagen, den Niesbrauchvertrag mit der Gemeinde Modautal für das Grundstück Gemarkung Asbach

Flur 2 Nr. 113/2 (11.528 m²) aufzulösen, wenn der TV Asbach das Sportheim mit einer Teilfläche von rund 2.500 m² als Eigentum erhält. Die Mitgliederversammlung des TV Asbachs und der Gemeindevorstand beurteilen diesen Vorschlag positiv. Zwischen dem Gemeindevorstand und dem Vorstand des TV Asbachs wurde vereinbart, einen Vertragsentwurf zu erarbeiten. Für die Gemeinde soll eine Zufahrt von der Schulstraße zum Rasenplatz gesichert werden. Der TV Asbach hat das Sportheim selbst erbaut und auch eigenes Gelände für den Bau des Sportplatzes eingebracht.

19. Aufnahme Kommunaldarlehen

Die Gemeinde Modautal hat ein Darlehen in Höhe von insgesamt 1.000.000,00 € für Investitionen im Haushaltsjahr 2024 aufgenommen.

Insgesamt verfügt die Gemeinde Modautal über eine Kreditgenehmigung der Kommunalaufsicht für die Aufnahme von 1.550.000,00 €.

Das Investitionsdarlehen ist für den Ausbau der OD Asbach mit Gehwegen und den Neubau des Feuerwehrgerätehauses Modautal Nord vorgesehen.

Bei acht Kreditinstituten wurde ein Annuitätendarlehen mit 15-jähriger Zinsbindung, vollständiger Tilgung, vierteljährliche Annuität (nachträglich) und sofortiger Auszahlung angefragt. Zur Abgabefrist lagen von drei Banken Angebote vor.

Das günstigste Angebot wurde von der WI Bank unterbreitet.

Bei diesem beträgt die anfängliche Tilgung zzgl. ersparter Zinsen 5,19934% p.a. und eine Annuität pro Quartal von 21.048,35 €.

Der Gemeindevorstand hat der Aufnahme des Kommunaldarlehens bei der WI Bank unter den o. g. Konditionen zugestimmt. Die Belastung durch Zins und Tilgung beträgt für zukünftige Haushalte 84.193,40 € pro Jahr.

20. Jahreshauptversammlung Freiwillige Feuerwehr Modautal

Am Freitag, den 12.04.2024 fand um 19:30 Uhr in der Festhalle Ernsthofen die Jahreshauptversammlung der Freiwilligen Feuerwehr Modautal statt. Eine Einladung ist an alle Gremien verschickt worden und war in den Modautal Nachrichten veröffentlicht. Der Gemeindebrandinspektor hat einen umfassenden Bericht über die Tätigkeit der Freiwilligen Feuerwehr Modautal abgegeben. Außerdem wurden verschiedene Ehrungen und Beförderungen vorgenommen. Die neue Gemeindejugendfeuerwehrwartin Julia Eichenauer wurde bestätigt. Die Einsatzabteilung der Feuerwehr verfügt über 162 Einsatzkräfte, in der Jugendfeuerwehr sind 59 Jugendliche aktiv, die Kinderfeuerwehr hat 37 Mitglieder und die Ehren- und Altersabteilung besteht aus 59 Personen. Im Jahr 2023 gab es in Modautal

51 Einsätze (7 Brände, 39 Hilfeleistungen und 2 Fehlalarme).

Der Bürgermeister bedankt sich bei allen ehrenamtlichen Feuerwehrkräften für die geleistete Arbeit und lobt deren professionellen Dienst. Ein besonderer Dank gilt dem Gemeindebrandinspektor und seinem Stellvertreter, sowie allen Wehrführern und Stellvertretern und den Jugendfeuerwehrwarten.

Der Bürgermeister bedauert, dass nicht alle Fraktionen bei der Jahreshauptversammlung der Freiwilligen Feuerwehr Modautal vertreten waren.

21. Schließung Postfiliale in Brandau

Die Poststelle im Ortsteil Brandau wurde zum 27.04.2024 geschlossen. Der Gemeinde Modautal ist kein neuer Standort oder neuer Betreiber bekannt. Die Deutsche Post hat im Vorfeld der Schließung den Gemeindevorstand nicht unterrichtet. Im Ortsteil Ernsthofen besteht weiterhin eine Postfiliale im „Tante Emma Laden“, womit die Deutsche Post die Mindestanforderungen für das Gemeindegebiet erfüllt.

22. Krötenwanderung Ortsverbindungsstraße Ernsthofen – Neutsch

Im Jahr 2024 kam es zu einer Krötenwanderung in größerem Umfang im Wald zwischen Ernsthofen und Neutsch. Dabei mussten die Amphibien die Ortsverbindungsstraße queren. Der Verein MuNa e. V. Lindenfels hat die Gemeinde Modautal aufgefordert, die Ortsverbindungsstraße temporär aufgrund der Krötenwanderung zu sperren. Eine Sperrung der stark frequentierten Straße ist unverhältnismäßig und nicht möglich. Bei der Straße handelt es sich um einen Rettungsweg, der zur Einhaltung der Hilfsfrist zwingend erforderlich ist. Eine Umleitung über Modau ist mehr als doppelt so lang. Die Gemeinde Modautal hat auf der Straße eine Geschwindigkeitsbeschränkung von 30 km/h angeordnet und Hinweisschilder zur Krötenwanderung angebracht. Der örtliche NABU Verein und der Verein MuNa e. V. Lindenfels wurden angefragt, ob sie den Aufbau und die Betreuung eines Amphibienschutzzaunes unterstützen würden. Beide Vereine haben mitgeteilt, dass keine personellen Kapazitäten bestehen. Ein Amphibienschutzzaun muss nach dem Aufbau täglich intensiv betreut werden. Die an die Straße angrenzenden Grundstücke gehören nicht der Gemeinde Modautal. Der Bürgermeister würde sich freuen, wenn sich eine Initiative gründen würde, die den Amphibienschutz unterstützt.

23. Wasserschutzgebiet Hoxhohl

Die Gemeinde Modautal betreibt zur Trinkwasserversorgung der Ortsteile Allertshofen, Hoxhohl und Herchenrode 5 Quellen in der Gemarkung Hoxhohl. Eine Beweidung der Wasserschutzzone II ist ohne Kooperationsvertrag zwischen der Gemeinde und dem Bewirtschafter der landwirtschaftlichen Flächen nicht möglich. Im Kooperationsvertrag werden Auflagen formuliert, die dem Bewirtschafter eine ganzjährige Beweidung von Teilflächen in der Wasserschutzzone II ermöglichen. Die restlichen Flächen in der Wasserschutzzone II dürfen in der Zeit vom 15.05. bis 30.09. für jeweils maximal 10 Tage beweidet werden. Gegen die Vereinbarung im Kooperationsvertrag hat ein Landwirt nun zum vierten Mal seit 2018 verstoßen. Da der Kooperationsvertrag keine Sanktionsmöglichkeiten vorsieht, wird derzeit eine Änderungskündigung durch den Gemeindevorstand geprüft. Das Beweidungsverbot in der Wasserschutzzone II soll den Eintrag von koliformen Keimen ins Rohwasser vorbeugen. Das Rohwasser aus Quellen wird zur Sicherheit mit UV-Licht bestrahlt, damit mögliche Keime abgetötet und es als Trinkwasser genutzt werden kann.

24. Barrierefreier Haltestellenausbau

Der öffentliche Personennahverkehr ist laut Gesetz vollständig barrierefrei auszubauen. Träger des ÖPNV ist der Landkreis Darmstadt-Dieburg. Der Landkreis Darmstadt-Dieburg vertritt trotzdem die Auffassung, dass die Kommunen für den barrierefreien Ausbau der Haltestellen verantwortlich sind. Das Land Hessen fördert den Ausbau von Haltestellen. Bislang haben sich die Städte und Gemeinden und der Landkreis (über die DADINA) den Eigenanteil geteilt. Für die Gemeinde Modautal sind so pro Haltestellensteig rund 15.000 € angefallen. Der Landkreis Darmstadt-Dieburg hat mitgeteilt, dass er zukünftig keinen barrierefreien Haltestellenausbau mehr mit Eigenmitteln fördert. Bei schwach frequentierten Haltestellen ist auch die Nutzung einer Hubbühne im Bus möglich.

25. Glasfaserausbau durch den Zweckverband NGA-Netz Darmstadt-Dieburg

Am zukünftigen Feuerwehrhaus Modautal Nord fand am 26.04.2024 der Spatenstich für den Ausbau sogenannter „grauer Flecken“ im Glasfasernetz statt. Hierbei handelt es sich um Adresspunkte in Ortsrandlagen oder im Außenbereich, die mit schnellem Internet angebunden werden. Der Bürgermeister freut sich, dass der Auftrag durch den Zweckverband an die Firma PEB, eine Kooperation der Firma Klenk in Modautal und der Entega Medianet in Darmstadt, erfolgte.

Die anwesenden Mitglieder des Gemeindevorstandes und der Gemeindevertretung nutzten zudem die Möglichkeit, den Rohbau des neuen Feuerwehrgerätehauses zu besichtigen.

26. „Lebensturm“ Neutsch

Am 19.04.2024 wurde das Gemeinschaftsprojekt „Lebensturm“ zwischen der Gemeinde Modautal und dem Geo-Naturpark Bergstraße-Odenwald in Neutsch vorgestellt. Trotz des schlechten Wetters waren viele Interessierte zum Termin erschienen. Beim „Lebensturm“ am Feuchtbiotop in Neutsch handelt es sich um ein Modellprojekt für den Artenschutz. Zukünftig können auch andere Kommunen in Hessen, Bayern und Baden-Württemberg, die Mitglied im Geo-Naturpark sind, „Lebenstürme“ beantragen. Der „Lebensturm“ ist bereits das zweite Modellprojekt zwischen der Gemeinde Modautal und dem Geo-Naturpark Bergstraße-Odenwald. Das erste Modellprojekt waren die „EHDA-Flächen“ oder Vielfaltflächen. Hierbei wurden Grünflächen der Gemeinde Modautal auf ihren Wert für den Artenschutz geprüft und Bewirtschaftsungsvorschläge erarbeitet und umgesetzt.

27. 1. Zwischenbericht 2024 (Periode 01-04)

Gemäß § 28 Abs. 1 GemHVO ist die Gemeindevertretung mindestens zweimal pro Jahr über den Haushaltsvollzug zu unterrichten.

Der Bürgermeister legt den Anwesenden den 1. Zwischenbericht 2024 über den Stand des Haushaltsvollzugs der Gemeinde zur Kenntnisnahme vor. Der Bericht umfasst die Monate Januar bis April 2024.

28. Verschuldung Kommunen in Südhessen

Die Gemeinde Modautal hat im Jahr 2024 trotz der Aufnahme von Investitionskrediten den geringsten Schuldenstand seit 20 Jahren. Trotz eines Schuldenabbaus von rund 8.500.000 € haben nur 21 von 84 kreisangehörigen Kommunen südlich des Mains mehr Pro-Kopf-Schulden als Modautal. Im Jahr 2007 hatte Modautal rund 2.900 € Pro-Kopf-Verschuldung. Zum Jahresende 2023 betrug die Pro-Kopf-Verschuldung in Modautal rund 1.200 €.

Der Bürgermeister verweist noch auf einen Bericht im Darmstädter Echo zur Pro-Kopf-Verschuldung der Kernhaushalte in der Region.

TOP 4: Bericht aus den Verbänden

  • ZAW
    Frau Keil berichtet von der am 13.03.2024 stattgefundenen Sitzung der Verbandsversammlung des ZAW.
  • Wasserverband Modaugebiet
    Frau Jansen berichtet ausführlich über die beiden Sitzungen der Verbandsversammlung des Wasserverbandes Modaugebiet, die bereits am 20.12.2023 tagte.
  • Wasserverband Gersprenzgebiet
    Frau Böckstiegel berichtet von der am 06.03.2024 stattgefundenen Sitzung des Wasserverbandes Gersprenzgebiet.

TOP 5: Bauleitplanung Aufstellung des Bebauungsplans „Zwischen Römerberg und Mühlpfad“ in der Gemarkung Brandau; Beratung und Beschlussfassung; Drucksache 135/XI

In der Bau- und Umweltausschusssitzung und in der Haupt- und Finanzausschusssitzung wurde auf einen redaktionellen Fehler im Beschlussvorschlag der Drucksache hingewiesen.

Im Beschlussvorschlag der Drucksache zu b) muss der letzte Satz wie folgt lauten:

„Die wesentlichen Gründe, nach denen das Verfahren ohne Durchführung einer Umweltprüfung nach § 2 Abs. 4 fortgesetzt wird, sind ortsüblich bekanntzumachen.

Auf Empfehlung des B.- u. U.- und des H.- u. F.-Ausschusses fasst die GeVe folgenden

Beschluss:

Zu a)

Der Satzungsbeschluss vom 27.03.2023 wird hiermit aufgehoben.

Zu b)

Nach sorgfältiger Prüfung und auf Grund der vorgelegten Vorprüfung des Einzelfalls entsprechend § 13a Abs. 1 Satz 2 Nr. 2 BauGB kommt die Gemeindevertretung zu der Einschätzung, dass der Bebauungsplan voraussichtlich keine erheblichen Umweltauswirkungen hat, die nach § 2 Absatz 4 Satz 4 in der Abwägung zu berücksichtigen wären oder die als Beeinträchtigungen des Landschaftsbildes oder der Leistungs- und Funktionsfähigkeit des Naturhaushalts entsprechend § 1a Absatz 3 auszugleichen wären. Sie stellt alsdann anhand des Prüfergebnisses fest, dass § 13a Abs. 2 Nr. 1 i.V.m. § 13 Abs. 3 Satz 1 sowie § 13a Abs. 2 Nr. 4 BauGB entsprechend angewendet werden können und das weitere Aufstellungsverfahren ohne Durchführung einer Umweltprüfung nach § 2 Abs. 4 fortgesetzt werden kann, was hiermit beschlossen wird.

Die Behörden und sonstigen Träger öffentlicher Belange, deren Aufgabenbereiche durch die Planung berührt werden können, sind an der Vorprüfung des Einzelfalls zu beteiligen.

Die wesentlichen Gründe, nach denen das Verfahren ohne Durchführung einer Umweltprüfung nach § 2 Abs. 4 fortgesetzt wird, sind ortsüblich bekanntzumachen.

Zu c)

Der vorgelegte, geänderte und ergänzte Bebauungsplan „Zwischen Römerberg und Mühlpfad“, wird hiermit als Satzungsentwurf zur Durchführung einer erneuten förmlichen Beteiligung der Öffentlichkeit nach § 3 Abs. 2 BauGB sowie der Behörden und sonstigen Träger öffentlicher Belange nach § 4 Abs. 2 BauGB, jeweils i. V. m. § 215a BauGB und § 4a Abs. 3 BauGB, anerkannt und die dazugehörige Begründung wird gebilligt. Es wird zur Kenntnis genommen, dass der Umgriff des räumlichen Geltungsbereichs an die zwischenzeitlich veränderten Planungsgrundlagen angepasst bzw. verkleinert wurde und es wird beschlossen, die v.g. Beteiligungen auf dieser planerischen Grundlage durchzuführen.

Es wird beschlossen, gemäß § 4a Abs. 3 BauGB die Dauer der Auslegung und die Frist zur Stellungnahme auf zwei Wochen zu verkürzen.

Grundlage obiger Beschlussfassungen ist der vorgelegte ergänzte Entwurf für den Bebauungsplan „Zwischen Römerberg und Mühlpfad“, bestehend aus der Begründung mit Anlagen sowie der Vorprüfung des Einzelfalls, dem Planteil mit der Nutzungsschablone und der Planzeichenerklärung sowie dem Textteil zum Bebauungsplan, jeweils i.d.F. vom 02.04.2024, Entwurfsverfasser InfraPro GmbH, Lautertal.

Abstimmungsergebnis:

Ja: 20

Nein: 0

Enthaltungen: 0

TOP 6: Änderung des Bebauungsplans „Schafwiesen“ in der Gemarkung Brandau; Beratung und Beschlussfassung; Drucksache 136/XI

In der Sitzung des Bau- und Umweltausschusses und in der Sitzung des Haupt- und Finanzausschusses wurde beschlossen, im Sachverhalt der Drucksache auf der ersten Seite den letzten Absatz wie folgt zu ändern:

„Die Dachflächen der Häuser der Baugebiete WA 1, WA 2 und WA 3 sind mit Photovoltaik-anlagen zu versehen, die mindestens 5 kWp zur Erzeugung und Nutzung von Strom aus erneuerbaren Energien erzeugen oder mit Solarthermie.“

Auf Empfehlung des B.- u. U.- und des H.- u. F.-Ausschusses inklusive der oben genannten Änderung fasst die GeVe folgenden

Beschluss:

Zustimmung zur Änderung des Wortes „Gebäudehöhe“ in „Geländehöhe“ der Festsetzung 2.6. des Bebauungsplans.

Zustimmung zur Befreiung von den Festsetzungen des Bebauungsplans bezüglich des Wortlautes „Solarthermie und Photovoltaikanlagen“ der Festsetzung 6.6 des Bebauungsplans.

Zustimmung zur Befreiung von den Festsetzungen des Bebauungsplans bezüglich der Dachneigung der Garagen und Zustimmung zu Flachdächern.

Abstimmungsergebnis:

Ja: 20

Nein: 0

Enthaltungen: 0

TOP 7: Bauleitplanung Aufstellung des Bebauungsplans „Hauswiesen“ in der Gemarkung Neunkirchen; Beratung und Beschlussfassung; Drucksache 137/XI

Auf Empfehlung des B.- u. U.- und des H.- u. F.-Ausschusses fasst die GeVe folgenden

Beschluss:

Zu a)

Der Satzungsbeschluss vom 17.07.2023 wird hiermit aufgehoben.

Zu b)

Nach sorgfältiger Prüfung und auf Grund der vorgelegten Vorprüfung des Einzelfalls entsprechend § 13a Abs. 1 Satz 2 Nr. 2 BauGB kommt die Gemeindevertretung zu der Einschätzung, dass der Bebauungsplan voraussichtlich keine erheblichen Umweltauswirkungen hat, die nach § 2 Absatz 4 Satz 4 in der Abwägung zu berücksichtigen wären oder die als Beeinträchtigungen des Landschaftsbildes oder der Leistungs- und Funktionsfähigkeit des Naturhaushalts entsprechend § 1a Absatz 3 auszugleichen wären. Sie stellt alsdann anhand des Prüfergebnisses fest, dass § 13a Abs. 2 Nr. 1 i.V.m. § 13 Abs. 3 Satz 1 sowie § 13a Abs. 2 Nr. 4 BauGB entsprechend angewendet werden können und das weitere Aufstellungsverfahren ohne Durchführung einer Umweltprüfung nach § 2 Abs. 4 fortgesetzt werden kann, was hiermit beschlossen wird.

Die Behörden und sonstigen Träger öffentlicher Belange, deren Aufgabenbereiche durch die Planung berührt werden können, sind an der Vorprüfung des Einzelfalls zu beteiligen.

Die wesentlichen Gründe, nach denen das Verfahren ohne Durchführung einer Umweltprüfung nach § 2 Abs. 4 fortgesetzt wird, ist ortsüblich bekanntzumachen.

Zu c)

Der vorgelegte, geänderte und ergänzte Bebauungsplan „Hauswiesen“, wird hiermit als Satzungsentwurf zur Durchführung einer erneuten förmlichen Beteiligung der Öffentlichkeit nach § 3 Abs. 2 BauGB sowie der Behörden und sonstigen Träger öffentlicher Belange nach § 4 Abs. 2 BauGB, jeweils i. V. m. § 215a BauGB und § 4a Abs. 3 BauGB, anerkannt und die dazugehörige Begründung wird gebilligt. Es wird zur Kenntnis genommen, dass der Umgriff des räumlichen Geltungsbereichs an die zwischenzeitlich veränderten Grundstücksverhältnisse angepasst wurde und es wird beschlossen, die v.g. Beteiligungen auf dieser planerischen Grundlage durchzuführen.

Es wird beschlossen, gemäß § 4a Abs. 3 BauGB die Dauer der Auslegung und die Frist zur Stellungnahme auf zwei Wochen zu verkürzen.

Grundlage obiger Beschlussfassungen ist der vorgelegte ergänzte Entwurf für den Bebauungsplan „Hauswiesen“, bestehend aus der Begründung sowie der Vorprüfung des Einzelfalls, dem Planteil mit Planzeichenerklärung und der Nutzungsschablone sowie dem Textteil zum Bebauungsplan, jeweils i.d.F. vom 28.03.2024, Entwurfsverfasser Planungs- und Ingenieurbüro IP-Konzept, Lautertal.

Abstimmungsergebnis:

Ja: 20

Nein: 0

Enthaltungen: 0

TOP 8: Bauleitplanung Aufstellung des Bebauungsplans „Am Flößchen“ sowie teilbereichsbezogene Änderung des Flächennutzungsplans im Geltungsbereich des v.g. Bebauungsplans in der Gemarkung Klein-Bieberau; Beratung und Beschlussfassung; Drucksache 138/XI

Frau Keil zeigt einen Widerstreit der Interessen (§ 25 HGO) an und verlässt vor der Beratung und Beschlussfassung zu diesem Tagesordnungspunkt den Sitzungssaal.

Vor der Bau- und Umweltausschusssitzung am 23.04.2024 fand eine Ortsbegehung durch die Mitglieder des Bau- und Umweltausschusses statt.

Der Bürgermeister teilt mit, dass der Ortsbeirat Klein-Bieberau/Webern der Aufstellung des Bebauungsplans einstimmig zugestimmt hat.

Auf Empfehlung des B.- u. U.- und des H.- u. F.-Ausschusses fasst die GeVe folgenden

Beschluss:

Zu a)

Zur Gewährleistung einer geordneten städtebaulichen Entwicklung und Ordnung im Sinne des § 1 Abs. 3 BauGB sowie zur Schaffung der bauplanungsrechtlichen Grundlagen für die Festsetzung eines Gewerbe-gebietes wird hiermit beschlossen, gemäß § 2 Abs. 1 BauGB das Aufstellungsverfahren für einen Bebauungsplan in der Gemarkung Klein-Bieberau, Flur 2, einzuleiten (Aufstellungsbeschluss).

Der Bebauungsplan erhält die Bezeichnung „Am Flößchen“.

Der Beschluss ist gemäß § 2 Abs. 1 BauGB ortsüblich bekannt zu machen.

Zu b)

Im Sinne des Entwicklungsgebotes gemäß § 8 Abs. 2 BauGB, nach dem Bebauungspläne aus dem Flächennutzungsplan zu entwickeln sind, wird die Aufstellung der teilbereichsbezogenen Änderung und Anpassung des rechtswirksamen Flächennutzungsplans gemäß § 2 Abs. 1 BauGB beschlossen (Aufstellungsbeschluss).

Der vorläufige räumliche Geltungsbereich der teilbereichsbezogenen Änderung des rechtswirksamen Flächennutzungsplanes ist mit dem Umgriff für den räumlichen Geltungsbereich des v.g. Bebauungsplans deckungsgleich.

Das Verfahren zur Änderung und Anpassung des Flächennutzungsplans ist nach § 8 Abs. 3 BauGB im Parallelverfahren zur Aufstellung des v.g. Bebauungsplans durchzuführen.

Der Beschluss ist gemäß § 2 Abs. 1 BauGB ortsüblich bekannt zu machen.

Zu c)

Die vorgelegte städtebauliche Konzeption wird hiermit anerkannt und es wird beschlossen, das weitere Aufstellungsverfahren auf dieser planerischen Grundlage weiterzuführen. Diese planerische Grundlage für die Aufstellung des Bebauungsplans und die teilbereichsbezogene Änderung des rechtswirksamen Flächennutzungsplanes wird hiermit als Vorentwurf zur Durchführung der frühzeitigen Beteiligung der Öffentlichkeit i. S. d. § 3 Abs. 1 BauGB sowie der frühzeitigen Beteiligung der Behörden und sonstigen Träger öffentlicher Belange i. S. d. § 4 Abs. 1 BauGB gebilligt und so beschlossen.

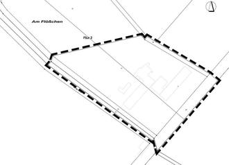
Der vorläufige räumliche Geltungsbereich für die v. g. Bauleitplanungen betrifft die Grundstücke mit der amtlichen Katasterbezeichnung Gemarkung Klein-Bieberau, Flur 2, Flurstück Nr. 51 sowie jeweils teilweise die Nrn. 34, 38, 52, 53. Der Umgriff der räumlichen Geltungsbereiche für die Bauleitplanungen ist in der nachstehenden Abbildung durch eine schwarz-strichlierte Umgrenzungslinie gekennzeichnet.

Der Gemeindevorstand wird beauftragt, die frühzeitigen Beteiligungen der Öffentlichkeit nach § 3 Abs. 1 BauGB durchzuführen als auch die Behörden und sonstigen Träger öffentlicher Belange nach § 4 Abs. 1 BauGB zu unterrichten und aufzufordern, sich im Hinblick auf den erforderlichen Umfang und Detaillierungsgrad der Umweltprüfung nach § 2 Abs. 4 BauGB zu äußern. Der Öffentlichkeit ist Gelegenheit zu geben, innerhalb eines Monats mit Veröffentlichung der Bekanntmachung, sich über die allgemeinen Ziele und Zwecke der Planung zu informieren, sich hierzu zu äußern und Anregungen allgemeiner Art vorzubringen.

Die dabei fristgerecht eingegangenen Stellungnahmen sind alsdann zur abschließenden Behandlung und Beschlussfassung der Gemeindevertretung vorzulegen.

Abstimmungsergebnis:

Ja: 19

Nein: 0

Enthaltungen: 0

Der stellvertretende Vorsitzende Herr Dr. Hartmann bittet Frau Keil wieder in den Sitzungssaal zu kommen und informiert sie über das Abstimmungsergebnis.

TOP 9: Anfrage der Fraktion Bündnis 90/Die GRÜNEN zu den Ortsverbindungsstraßen in der Gemeinde Modautal; Drucksache 139/XI

Auf Nachfrage des Bürgermeisters stimmt der Fraktionsvorsitzende der Fraktion Bündnis 90/Die GRÜNEN Herr Fokken zu, in der Anfrage die erste Frage wie folgt zu ändern: „Welche Maßnahmen hat die Gemeinde geplant, um die fortschreitenden Schäden der Straßen zu vermeiden?“

Der Bürgermeister beantwortet die Anfrage wie folgt mündlich:

Der Bürgermeister freut sich, dass Interesse für die wichtige Straßeninfrastruktur in Modautal besteht und bittet, um die Bereitstellung von Haushaltsmitteln für Asphaltdeckenerneuerungen.

Die Gemeinde Modautal besitzt durch ihre 11 Ortsteile ein sehr ausgedehntes Straßennetz von rund 40 Kilometer (Ober-Ramstadt bei rund 15.000 Einwohner 53 Kilometer Straßennetz; Fischbachtal bei rund 2.700 Einwohner 14 Kilometer Straßennetz). Modautal gilt laut Erhebung des Landes Hessen als zersiedeltste Gemeinde im Landkreis Darmstadt-Dieburg. Unter allen Kommunen südlich des Mains gibt es nur 5 Kommunen, die als noch stärker zersiedelt gelten. Eine Besonderheit unserer Gemeinde sind die sogenannten Ortsverbindungsstraßen. Einige Ortsteile (Neutsch, Klein-Bieberau und Webern) sind aus dem Gemeindegebiet heraus nicht über Kreis- und Landesstraßen zu erreichen. Im Landkreis Darmstadt-Dieburg verfügt lediglich Seeheim-Jugenheim noch über Ortsverbindungstraßen.

Die heutigen Ortsverbindungsstraßen wurden zum größten Teil in den 60er Jahren im Rahmen der Flurbereinigungen asphaltiert. Keine Ortsverbindungsstraße verfügt über einen Aufbau, der den Regeln des Straßenbaus entspricht. Schotter, Tragschichten und Frostschutzschichten sind teilweise nicht vorhanden oder zu schwach ausgeführt, so dass die Straßen und Wege anfällig für Frost und starke Nässe sind. Teilweise gibt es keine Wegseitengräben, so dass sich das Wasser im Straßen- bzw. Wegkörper staut. Viele Wegeparzellen sind zur Anlage von Gräben zu schmal. Die Asphaltdecke reicht manchmal bis an die privaten Grundstücksgrenzen. In den 60er Jahren hatten Traktoren das Gewicht von heutigen PKW’s. Die Anzahl der Fahrzeuge und das Gewicht auf den Ortsverbindungsstraßen haben sich massiv erhöht. Vom derzeit 7 Personen umfassenden Bauhof sind 2 bis 3 Mitarbeiter ganzjährig mit der Unterhaltung, Pflege und Wartung beschäftigt.

Bei bisherigen umfangreicheren Sanierungen der Ortsverbindungsstraßen wurde jeweils nur eine neue Asphalttragdeckschicht aufgebracht. Lediglich dort wo deutliche Defizite in der Tragfähigkeit erkennbar waren, hat man den Aufbau verstärkt. Auf separaten Trag- und Deckschickten hat man aufgrund der Kosten immer verzichtet. Da der Asphalt aus den 60er Jahren teilweise teerhaltig ist, wurde dieser nicht ausgebaut oder abgefräst. Ein Belassen des teerhaltigen Asphalts unter einer neuen Asphaltschicht ist zulässig. Unterhaltungsmaßnahmen, wie das Ausfüllen von Rissen und Verbesserungen der Fahrbahn durch sogenannte „Patchverfahren“, wurden angewendet und haben die Lebensdauer der Straßen verlängert. Bei Straßen in einem sehr schlechten Zustand machen diese Unterhaltungsverfahren keinen Sinn.

Nach Auffassung der Gemeindeverwaltung müssten rund 4,5 Kilometer Ortsverbindungsstraßen in den Bereichen Ernsthofen – Klein-Bieberau, Webern – Brandau, Herchenrode – Klein-Bieberau, Ernsthofen – Neutsch und die Straßen zu den Friedhöfen Asbach, Hoxhohl und Klein-Bieberau mit einer neuen Asphalttragdeckschicht versehen werden. An einzelnen Stellen muss der Unterbau ertüchtigt werden. In einer einfachen Ausführung ist mit Kosten von rund 1.200.000,00 € zu rechnen. Uns ist nicht bekannt, dass es Zuschüsse vom Kreis, Land oder Bund zu diesen Maßnahmen gibt. Neue Investitionen oder Haushaltsmittel für umfangreiche Unterhaltung können frühestens im Haushalt 2025 bereitgestellt werden. Ausbesserungen und Reparaturen finden fortlaufend statt. Hierbei muss allerdings berücksichtigt werden, dass durch die Sperrung der Ortsdurchfahrt Asbach viel Verkehr über den Friedhofsweg in Asbach und die Ortsverbindungsstraße Klein-Bieberau – Ernsthofen verläuft. Unter anderem fahren hier auch die Busse aus Asbach, Klein-Bieberau und Webern zur Modautalschule und aus dem gesamten nördlichen Modautal in Richtung der Albert-Einstein-Schule in Groß-Bieberau.

TOP 10: Anfrage der Fraktion Bündnis 90/Die GRÜNEN zum Projekt Neubau Feuerwehr Modautal Nord; Drucksache 140/XI

Die Beantwortung der Anfrage wird den Gemeindevertreter/innen in schriftlicher Form ausgehändigt.

TOP 11: Wahl der Vertreterin/des Vertreters und der Stellvertreterin/des Stellvertreters in die Verbandsversammlung des Abwasserverbandes Vorderer Odenwald (AVO); Drucksache 141/XI

Die Fraktion Bündnis 90/Die GRÜNEN schlägt als Vertreter Dirk Fokken und als seinen persönlichen Stellvertreter Andreas Engelhard vor.

Die Gemeindevertretung fasst folgenden

Beschluss:

Annahme dieses Wahlvorschlags.

Abstimmungsergebnis:

Ja: 18

Nein: 0

Enthaltungen: 2

TOP 12: Mitteilungen

  • Der Bürgermeister gibt bekannt, dass aus unserer Partnergemeinde Szölösgyörök ungarische Gäste in der Zeit vom 18.07.2024 bis 22.07.2024 nach Modautal kommen. Zur Programmplanung und Ausführung trifft sich das Verschwisterungs-komitee am Mittwoch, 15.05.2024, um 17:00 Uhr im Sitzungszimmer des Rathauses Brandau. Interessierte, die gerne mitwirken möchten und die Mitglieder der Gremien sind herzlich eingeladen.
  • Der Bürgermeister teilt mit, dass die Freiwillige Feuerwehr Lützelbach ihr 75-jähriges Vereinsjubiläum in der Zeit vom 14.06.2024 bis 17.06.2024 groß feiert. Die offizielle Eröffnung der Jubiläumsfeier mit Festkommers findet am Freitag, 14.06.2024, um 19:00 Uhr und der Kreisfrühschoppen der Alters- und Ehrenabteilungen am Montag, 17.06.2024, um 10:30 Uhr statt.

Ende der Sitzung: 20:37 Uhr

Modautal, den 09.05.2024
Dr. Rolf Hartmann (Stv. Vorsitzender der GeVe)
Sabine Höflich (Schriftführerin)