Titel Logo
Modautal-Nachrichten
Ausgabe 4/2024
Amtliche Bekanntmachungen
Zurück zur vorigen Seite
Zurück zur ersten Seite der aktuellen Ausgabe
-

Amtliche Bekanntmachung; Bauleitplanung der Gemeinde Modautal

Aufstellung einer Satzung gemäß § 34 Abs. 4 Nr. 3 Baugesetzbuch (BauGB) über die Einbeziehung einzelner Außenbereichsflächen in den im Zusammenhang bebauten Ortsteil (Einbeziehungssatzung) mit der Bezeichnung „Verlängerung südlich des Brandauer Weges“ in der Gemarkung Klein-Bieberau

hier: Bekanntmachung des Aufstellungsbeschlusses gemäß § 2 Abs. 1 BauGB sowie über die Durchführung der förmlichen Beteiligung der Öffentlichkeit nach § 3 Abs. 2 BauGB i. V. m. § 13 BauGB

Die Gemeindevertretung hat in ihrer Sitzung am 17.07.2023 zur Gewährleistung einer geordneten städtebaulichen Entwicklung und Ordnung im Sinne des § 1 Abs. 3 BauGB den Aufstellungsbeschluss für die o. g. Einbeziehungssatzung im Ortsteil Klein-Bieberau gefasst.

Mit der Aufstellung dieser Satzung nach § 34 Abs. 4 Nr. 3 BauGB kann die Gemeinde einzelne Außenbereichsflächen in den im Zusammenhang bebauten Ortsteil einbeziehen, um sie für eine wohnbauliche Nutzung bauleitplanerisch zugänglich zu machen. Der im Nordwesten bis Nordosten angrenzende Bereich ist bereits durch die Siedlungsentwicklung des im Zusammenhang bebauten Ortsteiles Klein-Bieberau / Webern vorgeprägt.

Dieser Aufstellungsbeschluss wird hiermit gemäß § 2 Abs. 1 BauGB ortsüblich bekannt gemacht.

Mit der vorliegenden Einbeziehungssatzung soll das Grundstück mit der amtlichen Katasterbezeichnung Gemarkung Klein-Bieberau, Flur 5, Flurstücksnummer 40/8, in den im Zusammenhang bebauten Ortsteil einbezogen und für eine städtebauliche Arrondierung vorbereitet werden.

Die Gemeindevertretung hat alsdann in ihrer Sitzung am 18.12.2023 die Einbeziehungssatzung „Verlängerung südlich des Brandauer Weges“ als Satzungsentwurf zur Durchführung der förmlichen Beteiligung der Öffentlichkeit gemäß § 3 Abs. 2 BauGB sowie der Behörden und sonstigen Träger öffentlicher Belange, deren Aufgabenbereich durch die

Planung berührt werden kann, gemäß § 4 Abs. 2 BauGB, jeweils i. V. m. § 13 BauGB, anerkannt und die dazugehörige Begründung gebilligt.

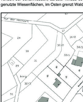
Der räumliche Geltungsbereich der Einbeziehungssatzung über das Grundstück Gemarkung Klein-Bieberau, Flur 5, Nr. 40/8 (Grenze der Einbeziehungssatzung) ist der nachfolgenden Abbildung (ohne Maßstab) zu entnehmen. Das Plangebiet liegt im Anschluss an die vorhandene Ortsbebauung südlich des Brandauer Weges im Ortsteil Klein-Bieberau / Webern.

Das zur Einbeziehung vorgesehene Grundstück wird begrenzt:

-

im Nordosten bis Nordwesten durch die vorhandene Ortsbebauung südlich und nördlich des Brandauer Weges im Ortsteil Klein-Bieberau / Webern;

-

zu allen anderen Seiten durch die freie Flur.

Zur Kompensation des naturschutzrechtlichen Ausgleichs (Ausgleichsfläche) ist ferner das Flurstück in der Gemarkung Klein-Bieberau, Flur 5, Nr. 57 betroffen. Die Ausgleichsfläche liegt im Süden des zur Einbeziehung vorgesehenen Grundstückes innerhalb des baurechtlichen Außenbereichs nach § 35 BauGB. Unmittelbar nördlich angrenzend an die Ausgleichsfläche verläuft der Johannisbach, darüber hinaus sowie im Süden befinden sich landwirtschaftlich genutzte Wiesenflächen, im Osten grenzt Wald an, im Westen verläuft der Brandauer Weg.

Es wird hiermit bekannt gemacht, dass die Einbeziehungssatzung „Verlängerung südlich des Brandauer Weges“ in der Gemarkung Klein-Bieberau, bestehend aus der Begründung mit Anlagen sowie dem Planteil mit Planzeichenerklärung und der als Teil II der Begründung beigestellten Satzung (jeweils in der Fassung vom 11.09.2023), in der Zeit vom

05.02.2024 bis einschließlich 08.03.2024

gemäß § 3 Abs. 2 BauGB im Internet veröffentlicht wird auf der offiziellen Internetseite der Gemeinde Modautal (www.modautal.de) unter der Rubrik > Rathaus > Bauen und Wohnen > Bebauungspläne, und dort abgerufen und eingesehen werden kann.

Die offizielle Internetseite ist unter folgendem Link zu erreichen:

https://www.modautal.de/rathaus/bauen-und-wohnen/bebauungsplaene/

Die Öffentlichkeit wird durch die Veröffentlichung im Internet gemäß § 3 Abs. 2 Satz 1 BauGB beteiligt. Zusätzlich zur vorgenannten Veröffentlichung im Internet besteht gemäß § 3 Abs. 2 Satz 2 BauGB eine andere leicht zu erreichende Zugangsmöglichkeit zur Einsichtnahme der

Bauleitplanung durch eine öffentliche Auslegung der vorgenannten Unterlagen im Rathaus der Gemeinde Modautal, Dachgeschoss, Zimmer 3.1, Odenwaldstraße 34 in 64397 Modautal

(Ortsteil Brandau), während der allgemeinen Öffnungs- und Sprechzeiten:

Montag

von 08.00 Uhr bis 12.00 Uhr

und 14.00 Uhr bis 16.00 Uhr

Mittwoch

von 14.00 Uhr bis 18.30 Uhr

Donnerstag

und Freitag

von 08.00 Uhr bis 12.00 Uhr

Dort werden die v. g. Entwurfsunterlagen zur Einbeziehungssatzung während der allgemeinen Öffnungs- und Sprechzeiten auf die Dauer der Auslegungsfrist zur Verfügung gestellt und können eingesehen werden.

Die nach § 4 Absatz 2 BauGB Beteiligten werden von der Veröffentlichung im Internet auf elektronischem Weg benachrichtigt.

Es wird durch Bekanntmachung darauf hingewiesen, dass

1.

Stellungnahmen während der Dauer der Veröffentlichungsfrist abgegeben werden können,

2.

Stellungnahmen elektronisch übermittelt werden sollen, bei Bedarf aber auch auf anderem Weg abgegeben werden können,

3.

nicht fristgerecht abgegebene Stellungnahmen bei der Beschlussfassung über die Einbeziehungssatzung unberücksichtigt bleiben können,

4.

durch die zusätzliche öffentliche Auslegung eine leicht zu erreichende Zugangsmöglichkeit besteht.

Die fristgemäß abgegebenen Stellungnahmen werden geprüft, das Ergebnis wird mitgeteilt.

Es wird darauf hingewiesen, dass die Aufstellung der Satzung gemäß § 13 BauGB im vereinfachten Verfahren ohne Durchführung einer Umweltprüfung gemäß § 2 Abs. 4 BauGB aufgestellt wird. Gemäß § 13 Abs. 2 Nr. 1 BauGB wird von der frühzeitigen Unterrichtung nach § 3 Abs. 1 BauGB und § 4 Abs. 1 BauGB abgesehen. Ferner wird von der Erstellung eines Umweltberichts nach § 2a BauGB abgesehen.

Folgende umweltrelevante Informationen sind verfügbar:

-

Bestandteil der Begründung Aussagen zu den Belangen des Artenschutzes und zur naturschutzrechtlichen Eingriffsregelung, zu den zu erwartenden Auswirkungen des Vorhabens, insbesondere mit Blick auf die Schutzgüter Boden / Wasser / Klima, Pflanzen- und Tierwelt, Landschaftsbild, Ortsbild sowie zu Maßnahmen zur Verminderung, Vermeidung und zum Ausgleich negativer Auswirkungen.

-

Naturschutzrechtliche Eingriffs-/ Ausgleichsbilanzierung auf der Grundlage der hessischen Kompensationsverordnung (hess. KompVO).

-

Bestands- und Maßnahmenkarte mit jeweils Darstellung der Nutzungstypen nach hess. KompVO.

Es wird darauf hingewiesen, dass die außerstaatlichen Regelungen (wie z.B. DIN-Normen oder sonstige Richtlinien) in der jeweils gültigen Fassung, auf die in den Verfahrensunterlagen Bezug genommen wird, zu den v. g. Öffnungs- und Sprechzeiten im Rathaus der Gemeinde Modautal, Dachgeschoss, Zimmer 3.1, Odenwaldstraße 34 in 64397 Modautal (Ortsteil Brandau) eingesehen werden können.

Weiterhin wird darauf hingewiesen, dass Dritte (Privatpersonen) mit der Abgabe einer Stellungnahme der Verarbeitung ihrer angegebenen Daten, wie z. B. Name, Anschrift, Telefonnummer, E-Mail-Adresse etc. ausdrücklich zustimmen. Gemäß Artikel 6 Abs. 1c und 1e der Datenschutzgrundverordnung (DSGVO) werden die Daten im Rahmen des Bauleitplanverfahrens für die gesetzlich bestimmten Dokumentationspflichten und für die Informationspflicht den betroffenen Personen gegenüber genutzt.

Die Gemeinde Modautal hat die Vorbereitung und Durchführung von Verfahrensschritten gemäß § 4 b BauGB auf das Planungsbüro IP-Konzept, Nibelungenstraße 351, 64686 Lautertal (Reichenbach) übertragen. Das Büro fungiert hierbei als Verwaltungshelfer ohne Entscheidungsbefugnis.

Modautal, den 23.01.2024
Für den Gemeindevorstand der Gemeinde Modautal
Jörg Lautenschläger, Bürgermeister