Titel Logo
Bürger Nachrichten Obing Pittenhart Kienberg
Ausgabe 32/2022
Amtliche Bekanntmachungen - Am Anfang
Zurück zur vorigen Seite
Zurück zur ersten Seite der aktuellen Ausgabe

Bekanntmachung des Beschlusses zur Änderung des Bebauungsplanes „Kienberg - Südost“

Der Gemeinderat hat in der Sitzung vom 28.07.2022 gemäß § 2 Abs. 1 BauGB den Änderungsbeschluss für den Bebauungsplan „Kienberg - Südost“ gefasst und beschlossen eine frühzeitige Beteiligung der Öffentlichkeit nach § 3 Abs. 1 BauGB durchzuführen.

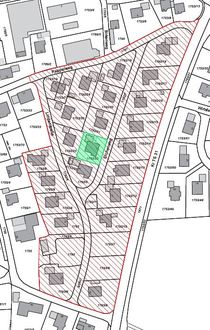
Der Änderungsbereich des Bebauungsplanes umfasst das Grundstück Flur-Nr.1792/22 (Eichenweg 6) Gem. Kienberg und den gesamten Umgriff des Bebauungsplanes und ergibt sich aus beiliegendem Kartenausschnitt und ist wie folgt umgrenzt:

Es ist beabsichtigt, die Garage des Anwesens aufzustocken um neuen Wohnraum zu schaffen.

In diesem Zug sollen im gesamten Gebiet des Bebauungsplanes die Festsetzungen für weitere mögliche Nachverdichtungen angepasst werden.

Der Beschluss zur Änderung des Bebauungsplanes „Kienberg - Südost“ wird hiermit gem. § 2 Abs. 1 Satz 2 BauGB amtlich bekanntgemacht.

Nach Erstellung des Planentwurfes wird der Entwurf samt Begründung öffentlich ausgelegt. Hierauf wird durch Bekanntmachung hingewiesen werden.

Gemeinde Kienberg
Obing, 03.08.2022
Schmidhuber
1. Bürgermeister