Titel Logo
Bürger Nachrichten Obing Pittenhart Kienberg
Ausgabe 40/2023
Amtliche Bekanntmachungen - Am Anfang
Zurück zur vorigen Seite
Zurück zur ersten Seite der aktuellen Ausgabe

AB Gemeinde Pittenhart

Der Gemeinderat hat in der öffentlichen Sitzung am 14.09.2023 beschlossen, gemäß § 2 Abs. 1 BauGB i.V.m. § 1 Abs. 8 BauGB den Bebauungsplan „Oberbrunn“ im beschleunigten Verfahren nach § 13a BauGB zu ändern, den Entwurf der Planänderung gebilligt und dessen öffentliche Auslegung nach § 3 Abs. 2 BauGB beschlossen.

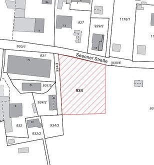
Für den Planbereich ist der Planentwurf vom 14.09.2023 maßgebend.

Er ergibt sich aus dem folgenden Kartenausschnitt:

Mit der Änderung des Bebauungsplanes sollen die planungsrechtlichen Voraussetzungen für die Errichtung von drei Wohneinheiten geschaffen werden. Zusätzlich wird der Geltungsbereich im südöstlichen Bereich des Grundstücks Flur-Nr. 934 Gemarkung Pittenhart aufgeweitet werden.

Eine frühzeitige Öffentlichkeitsbeteiligung nach § 3 Abs. 1 findet nicht statt, da sich die Änderung auf das Plangebiet und die Nachbargebiete nur unwesentlich auswirkt (vgl. § 3 Abs. 1 S. 3 Nr. 1 BauGB).

Der Bebauungsplan wird ohne Durchführung einer Umweltprüfung nach § 2 Abs. 4 BauGB geändert.

Der Entwurf der Planänderung mit Begründung des Bebauungsplanes vom 14.09.2023 wird vom

16. Oktober 2023 bis 16. November 2023

auf der Homepage der Gemeinde unter www.pittenhart.de/bauleitplanung/ und im zentralen Internetportal des Landes Bayern eingestellt.

Zusätzlich können die Unterlagen im Rathaus in Obing, Bauamt, Kienberger Str. 5, 83119 Obing zu folgenden Öffnungszeiten eingesehen werden:

Dienstag bis Freitag 08.00 Uhr bis 12.00 Uhr

Dienstag 13.00 Uhr bis 18.00 Uhr

Mittwoch 13.00 Uhr bis 16.00 Uhr

Stellungnahmen können während dieser Frist abgegeben werden und sind elektronisch als Mail an bauleitplanung@vg-obing.de zu senden. Sollte dies nicht möglich sein, kann die Stellungnahme auch schriftlich erfolgen.

Nicht während der Auslegungsfrist abgegebene Stellungnahmen können bei der Beschlussfassung über den Bebauungsplan unberücksichtigt bleiben.

Gemeinde Pittenhart
Obing, 26.09.2023
Reithmeier
1. Bürgermeister