Titel Logo
Bürger Nachrichten Obing Pittenhart Kienberg
Ausgabe 41/2024
Amtliche Bekanntmachungen - Am Anfang
Zurück zur vorigen Seite
Zurück zur ersten Seite der aktuellen Ausgabe

AB Gemeinde Pittenhart

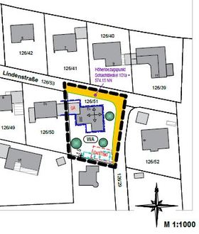
des Bebauungsplanes und der öffentlichen Auslegung des Entwurfs gemäß § 3 Abs. 2 BauGB

Der Gemeinderat hat in der öffentlichen Sitzung vom 19.09.2024 beschlossen gemäß § 2 Abs. 1 BauGB i. V. m. § 1 Abs. 8 BauGB den Bebauungsplan „Pittenhart Nord-Ost“ im beschleunigten Verfahren nach § 13a BauGB zu ändern, den Entwurf der Planänderung gebilligt und dessen öffentliche Auslegung gemäß § 3 Abs. 2 BauGB beschlossen.

Für den Planbereich ist der Entwurf vom 05.09.2024 maßgebend.

Der Entwurf der Planänderung hat die im nachfolgenden Lageplan dargestellte Umgrenzung:

Mit der Änderung des Bebauungsplanes sollen die planungsrechtlichen Voraussetzungen für die Aufstockung des Wohnhauses auf dem Grundstück Fl. Nr. 126/51 der Gemarkung Pittenhart (Lindenstraße 12) geschaffen werden. Dadurch soll der Einbau einer zweiten Wohneinheit ermöglicht werden.

Eine frühzeitige Öffentlichkeitsbeteiligung nach § 3 Abs. 1 findet nicht statt, da sich die Änderung auf das Plangebiet und die Nachbargebiete nur unwesentlich auswirkt (vgl. § 3 Abs. 1 S. 3 Nr. 1 BauGB).

Der Bebauungsplan wird ohne Durchführung einer Umweltprüfung nach § 2 Abs. 4 BauGB geändert.

Der Entwurf der Planänderung vom 05.09.2024 mit Begründung ist in der Zeit vom

14. Oktober 2024 bis 14. November 2024

auf der Homepage der Gemeinde unter

www.pittenhart.de/bauleitplanung/

und im zentralen Internetportal des Landes Bayern eingestellt.

Zusätzlich können die Unterlagen im Rathaus in Obing, Bauamt, Kienberger Str. 5, 83119 Obing zu folgenden Öffnungszeiten eingesehen werden:

Dienstag bis Freitag

08.00 Uhr bis 12.00 Uhr

Dienstag

13.00 Uhr bis 18.00 Uhr

Mittwoch

13.00 Uhr bis 16.00 Uhr

Stellungnahmen können während dieser Frist abgegeben werden und sind elektronisch als Mail an bauleitplanung@vg-obing.de zu senden. Sollte dies nicht möglich sein, kann die Stellungnahme auch schriftlich erfolgen.

Nicht während der Auslegungsfrist abgegebene Stellungnahmen können bei der Beschlussfassung über den Bebauungsplan unberücksichtigt bleiben.

Datenschutz:

Die Verarbeitung personenbezogener Daten erfolgt auf der Grundlage der Art. 6 Abs. 1 Buchst. e (DSGVO) i.V. mit § 3 BauGB und dem BayDSG. Sofern Sie Ihre Stellungnahme ohne Absenderangaben abgeben, erhalten Sie keine Mitteilung über das Ergebnis der Prüfung. Weitere Informationen entnehmen Sie bitte dem Formblatt „Datenschutzrechtliche Informationspflichten im Bauleitplanverfahren“ das ebenfalls öffentlich ausliegt.

Gemeinde Pittenhart
Obing, 01.10.2024
Reithmeier
1. Bürgermeister