Titel Logo
Amtliches Mitteilungsblatt der Gemeinde Rödelsee
Ausgabe 10/2023
Amtliche Bekanntmachungen
Zurück zur vorigen Seite
Zurück zur ersten Seite der aktuellen Ausgabe

6. Änderung Flächennutzungsplan

Vollzug des Baugesetzbuches (BauGB);

6. Änderung Flächennutzungsplan Rödelsee;

Aufstellungsbeschluss gemäß § 2 Abs. 1 Satz 2 BauGB

Der Gemeinderat Rödelsee hat in der Sitzung vom 10.10.2023 gemäß § 2 Abs. 1 BauGB die 6. Änderung des Flächennutzungsplanes Rödelsee beschlossen.

Geltungsbereich der Änderung:

Im nördlichen Bereich des Gemeindegebietes sollen zwei neue Bebauungspläne aufgestellt werden. Die darin getroffenen Festsetzungen eines Wohnbaugebietes sowie eines Mischgebietes sollen in der 6. Änderung des Flächennutzungsplanes mit integriertem Landschaftsplan dargestellt werden. Die gesamte Bauleitplanung für die beiden Bebauungspläne sowie die Änderung des Flächennutzungsplanes soll im Parallelverfahren durchgeführt werden.

Das Gebiet der Flächennutzungsplanänderung wird wie folgt umgrenzt:

Im Norden:

Kreisstraße KT 13, Fl.Nr. 817, Gemarkung Rödelsee

Im Westen:

Flurwege Fl.Nr. 805, Gemarkung Rödelsee

Im Süden:

Flurweg Fl.Nr. 794/2, Gemarkung Rödelsee

Im Osten:

Wiesenbronner Straße Fl.Nr. 793, Gemarkung Rödelsee

Es umfasst die Grundstücke Fl.Nrn. 794, 794/3, 794/4, 795/1, 800, 800/1, 800/2, 800/3, 800/4, 800/5, 800/6, 800/7, 800/8, 800/9, 800/10, 800/11, 800/12, 800/13, 800/14, 800/15, 800/16, 800/17, 800/18, 800/19, 800/20, 800/21, 800/22, 800/23, 800/24, 800/25, 800/26, 800/27, 800/28, 800/29, 800/30, 800/31, 800/32, 800/33, 800/34, 800/35, 800/36, 800/37, 800/38, 800/39, 800/40, 800/42, 800/43, 800/44, 800/45 und 800/46 Gemarkung Rödelsee.

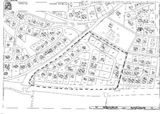
Der Lageplan des Bauamtes vom 05.10.2023 mit Kennzeichnung der Abgrenzung des räumlichen Geltungsbereichs der 6. Änderung des Flächennutzungsplanes ist Bestandteil des Beschlusses (siehe beigefügten Lageplan).

Der räumliche Geltungsbereich der Flächennutzungsplanänderung kann in der Verwaltungsgemeinschaft Iphofen, Bauamt, Zimmer OG 05, Marktplatz 26, 97346 Iphofen während der Öffnungszeiten bzw. auf der Internetseite der Gemeinde Rödelsee unter www.roedelsee.de eingesehen werden.

Verfahrensart:

Der Flächennutzungsplan wird im Parallelverfahren zur Aufstellung der Bebauungspläne „Wohngebiet Im Schlossgrund“ und „Mischgebiet Im Schlossgrund“ aufgestellt.

Allgemeine Ziele und Zwecke der Planung:

Durch das Bauleitverfahren soll ein bereits erschlossener und bebauter Bereich im Ortsteil Rödelsee überplant werden.

Gemeinde Rödelsee
Rödelsee, 19.10.2023
Klein
1. Bürgermeister