Titel Logo
Amtliches Mitteilungsblatt der Gemeinde Rödelsee
Ausgabe 8/2024
Amtliche Bekanntmachungen
Zurück zur vorigen Seite
Zurück zur ersten Seite der aktuellen Ausgabe

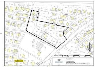
Bebauungsplan Schlossgrund, Mischgebiet

Vollzug des Baugesetzbuches (BauGB);

Bebauungsplan „Mischgebiet Im Schlossgrund“ mit integriertem Grünordnungsplan, Rödelsee;

Änderung des Aufstellungsbeschluss gemäß § 2 Abs. 1 Satz 2 BauGB

Der Gemeinderat Rödelsee hat in der Sitzung vom 10.10.2023 gemäß § 2 Abs. 1 BauGB die Aufstellung des Bebauungsplanes „Mischgebiet Im Schlossgrund“, OT Rödelsee, beschlossen. Der Geltungsbereich muss um ein Grundstück, Fl.Nr. 800/22, Gemarkung Rödelsee angepasst werden.

Daraus ergibt sich folgender neuer

Geltungsbereich:

Das vorgesehene Mischgebiet wird in der 5. Änderung des Flächennutzungsplanes mit integriertem Landschaftsplan als MD (Dorfgebiet) dargestellt. Eine Anpassung des Flächennutzungsplanes im Parallelverfahren wird durchgeführt.

Das Gebiet des Bebauungsplanes ist wie folgt umgrenzt:

Im Norden:

Fl.Nrn. 800/6, 800/33, 800/28, 800/24, 800/23, 800/20 und Teilflächen aus Fl.Nr. 800, Gemarkung Rödelsee

Im Westen:

Flurwege Fl.Nr. 805, Gemarkung Rödelsee

Im Süden:

Flurweg Fl.Nr. 794/2, Gemarkung Rödelsee

Im Osten:

Wiesenbronner Straße Fl.Nr. 793 und Teilflächen aus Fl.Nr. 800, Gemarkung Rödelsee

Es umfasst die Grundstücke Fl.Nrn. 800/1, 800/2, 800/3, 800/4, 800/5, 800/21, 800/22, 800/29, 800/30, 800/31, 800/32, 800/35, 800/37, 800/42, 800/43, 800/44, 800/45, 800/46 und eine Teilfläche aus Fl.Nr. 800, Gemarkung Rödelsee.

Der Lageplan des Planungsbüros arz ingenieure, Würzburg, vom 05.08.2024 mit Kennzeichnung der Abgrenzung des räumlichen Geltungsbereichs des Bebauungsplanes ist Bestandteil des Beschlusses (siehe beigefügten Lageplan).

Der räumliche Geltungsbereich des aufzustellenden Bebauungsplanes kann in der Verwaltungsgemeinschaft Iphofen, Bauamt, Zimmer OG 05, Marktplatz 26, 97346 Iphofen während der Öffnungszeiten bzw. auf der Internetseite der Gemeinde Rödelsee unter www.roedelsee.de eingesehen werden.

Verfahrensart:

Der Bebauungsplan wird im Regelverfahren nach den Vorgaben des BauGB aufgestellt.

Allgemeine Ziele und Zwecke der Planung:

Durch das Bauleitverfahren soll ein bereits erschlossener und bebauter Bereich im Ortsteil Rödelsee überplant werden.

Gemeinde Rödelsee
Rödelsee, 12.08.2024
Klein
1. Bürgermeister