Titel Logo
Gemeindeblatt Strullendorf
Ausgabe 15/2023
Amtliche Bekanntmachungen
Zurück zur vorigen Seite
Zurück zur ersten Seite der aktuellen Ausgabe

Bekanntmachung

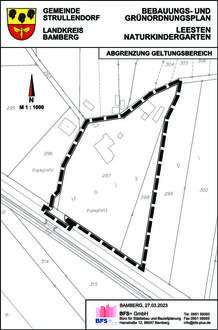
Bebauungs- und Grünordnungsplan "Leesten, Naturkindergarten"

Gemeinde Strullendorf, Lkrs. Bamberg

Bekanntmachung des Aufstellungsbeschlusses

Der Gemeinderat von Strullendorf hat in seiner Sitzung vom 27.03.2023 beschlossen, einen Bebauungsplan in Leesten gemäß § 2 Abs. 1 und §§ 8 und 30 Baugesetzbuch (BauGB) aufzustellen.

Der Plan erhält den Namen "Bebauungs- und Grünordnungsplan Leesten, Naturkindergarten.

Es sollen Flächen für Gemeinbedarf (Kindergarten) ausgewiesen werden.

Ein Umweltbericht wird erstellt.

Das Plangebiet liegt im nordwestlich des Ortsteiles Leesten. Das Plangebiet ist wie folgt umgrenzt:

Norden - zur freien Landschaft hin / forstwirtschaftliche Nutzflächen

Westen und Osten - zur freien Landschaft hin / landwirtschaftliche Nutzflächen

Süden - zur freien Landschaft / Staatsstraße 2210

Folgende Grundstücke der Gemarkung Leesten liegen im Geltungsbereich:

Flurnummern ganz:

297 und 298

Flurnummern teilweise:

157 und 302

Der Bebauungs- und Grünordnungsplan wird im Regelverfahren gemäß BauGB durchgeführt.

Mit der Planaufstellung wird die BFS+ GmbH - Büro für Städtebau und Bauleitplanung, Bamberg - beauftragt. Der Grünordnungsplan und der Umweltbericht werden durch das Büro TEAM 4 in Nürnberg erstellt.

Nach Erstellung des Planentwurfes werden die allgemeinen Ziele und Zwecke der Planung und deren voraussichtlichen Auswirkungen in einer frühzeitigen Bürgerbeteiligung dargelegt und erörtert.

Gemeinde Strullendorf
Strullendorf, 05.04.2023
gez. Wolfgang Desel
Wolfgang Desel
Erster Bürgermeister

18. Änderung des Flächennutzungsplanes Strullendorf - Bereich Leesten, Naturkindergarten, Gemarkung Leesten

Gemeinde Strullendorf, Lkrs. Forchheim

Bekanntmachung des Aufstellungsbeschlusses

Der Gemeinderat von Strullendorf hat in seiner Sitzung vom 27.03.2023 beschlossen, den wirksamen Flächennutzungsplan Strullendorf vom 27.05.1982 zum 18. Mal zu ändern.

Die Änderungen betreffen die Gemarkung Leesten und befinden sich nordwestlich des Gemeindeteiles Leesten im Bereich des Bebauungs- und Grünordnungsplanes "Leesten, Naturkindergarten".

Entsprechend den geplanten Ausweisungen des o. a. Bebauungs- und Grünordnungsplanes werden im Flächennutzungsplan Flächen für Gemeinbedarf (Kindergarten) dargestellt.

Ein Umweltbericht wird erstellt.

Das Plangebiet ist wie folgt umgrenzt:

Norden - zur freien Landschaft hin / forstwirtschaftliche Nutzflächen

Westen und Osten - zur freien Landschaft hin / landwirtschaftliche Nutzflächen

Süden - zur freien Landschaft / Staatsstraße 2210

Folgende Grundstücke der Gemarkung Leesten liegen im Geltungsbereich:

Flurnummern ganz:

297 und 298

Flurnummern teilweise:

157 und 302

Mit der Planaufstellung wird die BFS+ GmbH - Büro für Städtebau und Bauleitplanung, Bamberg - beauftragt. Der Landschaftsplan und der Umweltbericht werden durch das Büro TEAM 4 in Nürnberg erstellt.

Nach Erstellung des Planentwurfes werden die allgemeinen Ziele und Zwecke der Planung und deren voraussichtlichen Auswirkungen in einer frühzeitigen Bürgerbeteiligung dargelegt und erörtert.

Gemeinde Strullendorf
Strullendorf, 05.04.2023
gez. Wolfgang Desel
Wolfgang Desel
Erster Bürgermeister