Titel Logo
Gemeindeblatt Strullendorf
Ausgabe 26/2023
Amtliche Bekanntmachungen
Zurück zur vorigen Seite
Zurück zur ersten Seite der aktuellen Ausgabe

Aufstellungsbeschluss

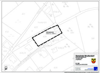
Einbeziehungssatzung „Tfl. Flur Nr. 626 der Gemarkung Strullendorf“

Der Gemeinderat der Gemeinde Strullendorf hat am 26.06.2023 für das Gebiet Tlfl. Fl.-Nr. 626 in Strullendorf die Aufstellung der Einbeziehungssatzung beschlossen.

Der Geltungsbereich umfasst eine Teilflächen der Flur Nr. 626 der Gemarkung Strullendorf im Norden der Ortschaft. Als Ausgleichsflächen wird eine Teilfläche der Flur Nr. 626, Gmkg. Strullendorf, ausgewiesen.

Die Einbeziehung wird im vereinfachten Verfahren gemäß § 13 BauGB durchgeführt. Dabei kann von einer Umweltprüfung nach § 2 Abs. 4 BauGB abgesehen werden. Die Beteiligung der Öffentlichkeit und der Behörden richten sich nach § 34 Abs. 6 BauGB in Verbindung mit § 34 Abs. 4 Nr. 3 BauGB und § 13 Abs. 2 Satz 1 Nr. 1 BauGB. Demnach kann von einer frühzeitigen Beteiligung abgesehen werden.

Wesentliche Grüne der Planung sind die Anpassung an geänderten städtebaulichen Zielen und eine innere Nachverdichtung.

Strullendorf, 27.06.2023
Gemeinde Strullendorf
Wolfgang Desel
Erster Bürgermeister