Titel Logo
Mitteilungsblatt für die Verwaltungsgemeinschaft Triesdorf
Ausgabe 6/2023
Ornbau
Zurück zur vorigen Seite
Zurück zur ersten Seite der aktuellen Ausgabe

Bekanntmachung

Die Stadt Ornbau erlässt aufgrund der §§ 14 und 16 des Baugesetzbuches (BauGB) sowie des Art. 23 der Gemeindeordnung für den Freistaat Bayern (GO) folgende

Satzung über eine Veränderungssperre für das Gebiet des in Aufstellung befindlichen Bebauungsplanes „Feriengasthof Gern"

§1

Zu sichernde Planung

Der Stadtrat hat in seiner Sitzung am 20.02.2023 den Aufstellungsbeschluss des Bebauungsplanes „Feriengasthof Gern" gemäß § 2 Abs. 1 BauGB gefasst. Zur Sicherung der Planung wird eine Veränderungssperre nach § 16 Abs. 1 BauGB als Satzung erlassen.

§2

Räumlicher Geltungsbereich der Veränderungssperre

(1)

Der räumliche Geltungsbereich der Veränderungssperre ist begrenzt auf den Umgriff des mit Beschluss des Stadtrats Ornbau vom 20.02.2023 in Aufstellung befindlichen Bebauungsplanes „Feriengasthof Gern".

(2)

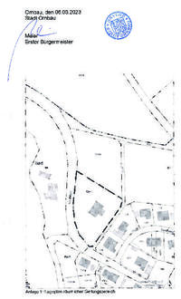
Der räumliche Geltungsbereich der Veränderungssperre umfasst das Grundstück FI.Nr. 134/3, Gemarkung Gern.Er ergibt sich aus dem Lageplan vom 20.02.2023 der als Anlage 1 zur Veränderungssperre Bestandteil der Satzung ist. Der räumliche Geltungsbereich ist in diesem Lageplan schwarz umrandet dargestellt.

§3

Inhalt und Rechtswirkungen der Veränderungssperre

(1)

Im räumlichen Geltungsbereich der Veränderungssperre dürfen:

1.

Vorhaben im Sinne des § 29 BauGB nicht durchgeführt werden und bauliche Anlagen nicht beseitigt werden:

2.

keine erheblichen oder wesentliche wertsteigernde Veränderungen von Grundstücken und baulichen Anlagen, deren Veränderung nicht genehmigungs-, zustimmungs- oder anzeigepflichtig ist, vorgenommen werden

(2)

Vorhaben, die vor dem In-Kraft-Treten der Veränderungssperre baurechtlich genehmigt worden sind, Vorhaben, von denen die Gemeinde nicht Maßgabe des Bauordnungsrechts Kenntnis erlangt hat und mit deren Ausführung vor dem In-Kraft-Treten der Veränderungssperre hätte begonnen werden dürfen, sowie Unterhaltungsarbeiten und die Fortführung einer bisher ausgeübten Nutzung werden von der Veränderungssperre nicht berührt.

(3)

In Anwendung von § 14 Abs. 2 BauGB kann von der Veränderungssperre eine Ausnahme zugelassen werden, wenn keine überwiegenden öffentlichen Belange entgegenstehen.

§4

Inkrafttreten und Außerkrafttreten

(1)

Die Veränderungssperre tritt mit der öffentlichen Bekanntmachung des Satzungsbeschlusses in Kraft (16 Abs. 2 Satz 2 i.V.m. § 10 Abs. 3 Satz 4 BauGB).

(2)

Sie tritt außer Kraft, wenn und soweit der für den Geltungsbereich dieser Satzung aufzustellende Bebauungsplan in Kraft getreten ist, spätestens nach Ablauf von 2 Jahren.