Titel Logo
Der Amtsbote - Wemding Verwaltungsgemeinschaft
Ausgabe 21/2025
Amtliche Bekanntmachungen
Zurück zur vorigen Seite
Zurück zur ersten Seite der aktuellen Ausgabe

Bekanntmachung

8. Änderung des Bebauungsplanes der Gemeinde Fünfstetten für das Gebiet „Südlich und nördlich der Bahnhofstraße“ im beschleunigten Verfahren nach § 13 a BauGB; hier: Bekanntmachung der öffentlichen Auslegung der Planunterlagen nach § 3 Abs.2 und §13a Abs.2 BauGB

Der Gemeinderat Fünfstetten hat in seiner Sitzung vom 28.04.2025 beschlossen, für das Gebiet „Südlich und nördlich der Bahnhofstraße“ eine Änderung des rechtskräftigen Bebauungsplanes nach § 13a BauGB durchzuführen.

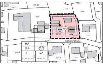
Der Geltungsbereich soll die FlNrn. 3204/1 und 3204 der Gemarkung Fünfstetten umfassen und ist aus nachfolgendem Lageplan ersichtlich:

Mit Beschluss vom 12.05.2025 hat der Gemeinderat Fünfstetten den vom Planungsbüro Becker + Haindl, Wemding, gefertigten Bebauungsplanentwurf mit Satzung und Begründung vom 12.05.2025 gebilligt und festgelegt, das Auslegungs- bzw. Beteiligungsverfahren zu den vorliegenden Entwürfen einzuleiten. Nach § 2 Abs. 4 BauGB wird der Bebauungsplan im beschleunigten Verfahren (§ 13a BauGB) ohne Durchführung einer Umweltprüfung aufgestellt.

Der Bebauungsplanentwurf (Planzeichnung mit Satzung und Begründung) liegt nach § 3 Abs. 2 BauGB in der Zeit vom 30.05.2025 bis 30.06.2025 öffentlich aus.

Der Ort der öffentlichen Auslegung ist die Verwaltungsgemeinschaft Wemding, Marktplatz 3, 86650 Wemding (Zimmer 23). Die genannten Unterlagen können in der angegebenen Zeit während der üblichen Dienststunden eingesehen werden. Die Planunterlagen können zudem auf der Internetseite der Gemeinde Fünfstetten unter Aktuelles/Planverfahren eingesehen werden.

Während der öffentlichen Auslegung können Stellungnahmen abgegeben werden, die möglichst schriftlich oder zur Niederschrift bei der Verwaltungsgemeinschaft Wemding eingereicht werden sollen. Es wird darauf hingewiesen, dass nicht fristgerecht abgegebene Stellungnahmen bei der Beschlussfassung unberücksichtigt bleiben können.

Datenschutzhinweis:

Die Verarbeitung personenbezogener Daten erfolgt auf der Grundlage der Art. 6 Abs. 1 Buchst. e DSGVO i.V.m. § 3 BauGB und dem BayDSG. Sofern Sie Ihre Stellungnahme ohne Absenderangaben abgeben, erhalten Sie keine Mitteilung über das Ergebnis der Prüfung. Weitere Informationen entnehmen Sie bitte dem Informationsblatt zur Erhebung von personenbezogenen Daten (gem. Art. 13, 14 DSGVO), das ebenfalls öffentlich ausliegt. Diese Informationen finden Sie auch unter www.vg-wemding.de (unter der Rubrik Datenschutzgrundverordnung beim Informationsblatt Bauleitplanung).

Fünfstetten, den 15.05.2025
Gemeinde Fünfstetten
Josef Bickelbacher
1. Bürgermeister