Titel Logo
Was gibt's Nui's Amtliches Bekanntmachungsblatt für die VG Westendorf
Ausgabe 4/2023
Amtliche Bekanntmachungen
Zurück zur vorigen Seite
Zurück zur ersten Seite der aktuellen Ausgabe

Osterzell

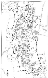
(Lageplan des Geltungsbereiches)

Satzung der Gemeinde Osterzell über die Begründung eines besonderen Vorkaufsrechtes

(Vorkaufsrechtssatzung)

Vom 09.02.2023

Aufgrund des § 25 Abs. 1 Satz 1 Nr. 2 des Baugesetzbuchs (BauGB) in der im Zeitpunkt des Satzungsbeschlusses geltenden Fassung erlässt die Gemeinde Osterzell folgende Satzung:

§ 1 Geltungsbereich

Der Geltungsbereich dieser Satzung ergibt sich aus dem beigefügten Lageplan, der Bestandteil dieser Satzung ist.

§ 2 Besonderes Vorkaufsrecht

(1)

Im Geltungsbereich dieser Satzung steht der Gemeinde Osterzell ein Vorkaufsrecht an unbebauten und bebauten Grundstücken nach § 25 Abs. 1 Satz 1 Nr. 2 BauGB zu.

(2)

Der Verkäufer hat der Gemeinde Osterzell den Inhalt des Kaufvertrages unverzüglich mitzuteilen; die Mitteilung des Verkäufers wird durch die Mitteilung des Käufers ersetzt.

§ 3 Inkrafttreten

Diese Satzung tritt am Tag nach Ihrer Bekanntmachung in Kraft.

Osterzell, den 09.02.2023
Gemeinde Osterzell
gez. Bucka
Erster Bürgermeister

Anlage 1 zur Vorkaufsrechtssatzung der Gemeinde Osterzell

Begründung zur Vorkaufsrechtssatzung

Die Gemeinde zieht im Bereich des Ortskerns von Osterzell (siehe Lageplan) städtebauliche Maßnahmen in Betracht.

Die Grundstücke liegen überwiegend im Geltungsbereich des Bebauungsplanes „Osterzell Ortskern“ der ein Dorfgebiet (MD) als Art der baulichen Nutzung festsetzt.

Bei etwaigen (Ersatz-)Neubauten und Umbauten besteht das Risiko, dass mutmaßlich Eigentumswohnungen und private, hochpreisige Mietswohnungen entstehen. Dies ist nicht Ziel der Gemeinde. Vielmehr sollen die Flächen für günstigen Wohnraum im Sinne einer nachhaltigen und sozialverträglichen, ggf. verdichteten Innenentwicklung und einer Stärkung der räumlichen Qualitäten im Ortskern gesichert werden. Daneben soll seniorengerechtes Wohnen und Wohnen für junge Menschen verwirklicht werden. Auch solche städtebaulichen notwendigen Maßnahmen zur Sicherung einer ausgewogenen Sozialstruktur, sind auf eigenen Grundstücken der Gemeinde deutlich leichter umzusetzen, als durch bauleitplanerische Vorgaben, die letztlich gegen den Willen des Privaten nicht umgesetzt werden können. Ziel ist es außerdem, die Bauflächen einer möglichst flächensparenden aber auch verkehrlich funktionierenden Erschließung zu ordnen. Das ist ein Grund für eine Vorkaufsrechtssatzung, da ein Flächenerwerb durch die Gemeinde geeignet ist, die Umsetzung einer gebiets- und verkehrsbezogenen Erschließung deutlich zu fördern und zu erleichtern.

Es ist verfassungsrechtlich (Art. 106 Abs. 2 BV) und städtebaulich (§ 1 Abs. 6 Nr. 2 BauGB) Aufgabe der Gemeinde, Bevölkerungsgruppen mit besonderen Wohnraumversorgungsproblemen mit ausreichend Wohnraum zu versorgen. Da jedoch die Möglichkeit in der Gemeinde, über Bebauungspläne verbindliche Vorgaben zu machen, sehr eingeschränkt ist, wird die Umsetzung dieses städtebaulichen Ziels durch den Flächenerwerb der Gemeinde deutlich erleichtert. Während Private naturgemäß darauf ausgerichtet sind, den maximalen Gewinn zu realisieren, kann die Gemeinde im Rahmen eines Flächenerwerbs und etwaiger staatlicher Förderungen eine Bebauung umsetzen, die sich gerade daran orientiert, günstigen Wohnraum für die Bevölkerung zu realisieren. Somit besteht ein Sicherungsbedürfnis, das erst und nur durch die Vorkaufsrechtssatzung umgesetzt werden kann.

Die Gemeinde ist sich bewusst, dass sie mit dem Erlass der Vorkaufsrechtssatzung in den regulären Grundstücksverkehr eingreift bzw. eingreifen kann. Sie hält dieses planerische Sicherungsmittel jedoch für geeignet und erforderlich, um auf den vom Lageplan umfassten Flurnummern die städtebauliche Ordnung und Entwicklung zu sichern. Der Grunderwerb kann die Umsetzung der geplanten Nutzungszwecke erleichtern und beschleunigen.