Titel Logo
Was gibt's Nui's Amtliches Bekanntmachungsblatt für die VG Westendorf
Ausgabe 8/2024
Amtliche Bekanntmachungen
Zurück zur vorigen Seite
Zurück zur ersten Seite der aktuellen Ausgabe

Westendorf

Vollzug des Bayerischen Straßen- und Wegegesetzes (BayStrWG)

Widmung (Art. 6 BayStrWG)

Inhalt:

Die Straße soll als Ortsstraße gewidmet werden.

Begründung:

Im Rahmen des Bebauungsplans "Vogelwiese II" wurde die Straße "Auf der Vogelwiese" neu gebaut. Die Straße ist mittlerweile fertig gestellt. Aus diesem Grund soll die Widmung der Ortsstraße beschlossen werden.

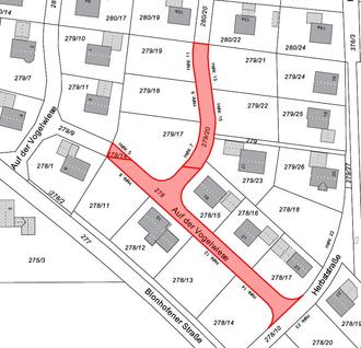
1. Straßenbeschreibung

Straße:

Auf der Vogelwiese

Gemeinde:

Westendorf

Landkreis:

Ostallgäu

Widmungsbeschränkung:

Keine

Flurnummern:

278, 279/14, 279/20,

Gemarkung Westendorf

Anfangspunkt:

Herbststraße Fl.Nr. 280/20 und Auf der Vogelwiese Fl.Nr. 279/9

Endpunkt:

Einmündung Herbststraße, Fl.Nr. 278/10

Länge:

0,187 km

Baulastträger:

Gemeinde Westendorf

2. Verfügung

Die unter 1. bezeichnete Straße ist als Ortsstraße zu widmen.

3. Wirksamwerden

Die Verfügung gilt mit dem Tage, der auf die Bekanntmachung folgt, als bekanntgegeben.

Die Verfügung kann bei der Verwaltungsgemeinschaft Westendorf, Ortsteil Dösingen, Kaltentaler Straße 1, 87679 Westendorf (Zi.-Nr. 4b) zu den üblichen Öffnungszeiten eingesehen werden.

Rechtsbehelfsbelehrung:

Gegen diese Verfügung kann innerhalb eines Monats nach ihrer Bekanntgabe Klage beim Bayerischen Verwaltungsgericht Augsburg, Kornhausgasse 4, 86152 Augsburg schriftlich oder zur Niederschrift des Urkundsbeamten der Geschäftsstelle dieses Gerichts erhoben werden.

Die Klage muss den Kläger, den Beklagten (Gemeinde Westendorf) und den Gegenstand des Klagebegehrens bezeichnen und soll einen bestimmten Antrag enthalten. Die zur Begründung dienenden Tatsachen und Beweismittel sollen angegeben, der angefochtene Bescheid soll in Urschrift oder in Abschrift beigefügt werden. Der Klage und allen Schriftsätzen sollen Abschriften für die übrigen Beteiligten beigefügt werden.

Hinweise zur Rechtsbehelfsbelehrung:

Durch das Gesetz zur Änderung des Gesetzes zur Ausführung der Verwaltungsgerichtsordnung vom 22. Juni 2007 (GVBI 2007, S. 390) wurde das Widerspruchsverfahren im Bereich des Straßen- und Wegerechts abgeschafft. Es besteht keine Möglichkeit, gegen diesen Bescheid Widerspruch einzulegen.

Die Klageerhebung in elektronischer Form (z. B. durch E-Mail) ist unzulässig.

Kraft Bundesrechts ist in Prozessverfahren vor den Verwaltungsgerichten seit 01.07.2004 grundsätzlich ein Gebührenvorschuss zu entrichten.

Westendorf, 09.04.2024
Gemeinde Westendorf
- Siegel -
gez. Obermaier
Erster Bürgermeister