Titel Logo
Gemeindebote des Marktes Zeitlofs
Ausgabe 4/2023
Aus dem Rathaus wird berichtet
Zurück zur vorigen Seite
Zurück zur ersten Seite der aktuellen Ausgabe

Aus dem Rathaus wird berichtet

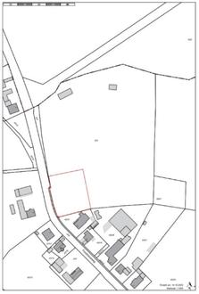
Lageplan - unmaßstäblich

Herzlich willkommen

Wir begrüßen unseren neuen Mitarbeiter Herrn Karsten Kohlhepp.

Herr Kohlhepp kommt aus Rupboden und ist gelernter Mechatroniker. Er arbeitete zuletzt bei der Firma HB-Systems in Rupboden und wurde zum 01. März 2023 im Markt Zeitlofs angestellt.

Herr Kohlhepp wird hauptsächlich Hausmeistertätigkeiten, insbesondere elektrische Arbeiten, rundum die neusanierte Grundschule sowie die weiteren Liegenschaften des Marktes Zeitlofs übernehmen und die Kollegen vom Bauhof unterstützen.

Auf gute Zusammenarbeit im Team des Marktes Zeitlofs wünschen alle Mitarbeiter und Bürgermeister Matthias Hauke.

Verabschiedung Bodo Sengstock

Herr Bodo Sengstock aus Detter wurde in kleinem Rahmen von 1. Bürgermeister Matthias Hauke verabschiedet.

Herr Sengstock hat von August 1993 bis März 2023 die Gemeindepost für Detter ausgetragen.

Wir danken für seinen Einsatz und wünschen ihm alles erdenklich Gute und vor allem Gesundheit, um seine nun freie Zeit mit genießen zu können.

Als Nachfolger konnte Herr Dieter Scheidt aus Detter gefunden werden. Wir sind nach wie vor froh darüber, eigene Boten für die gemeindliche Post stellen zu können.

Marktgemeinderatssitzungen

Auszüge aus genehmigten Protokollen öffentlicher Sitzungen des Marktgemeinderates. Die vollständigen Protokolle finden Sie auf der Internetseite des Marktes Zeitlofs (www.markt-zeitlofs.de)

Sitzungsprotokoll vom 21.03.2023

TOP 01

Genehmigung der Niederschrift vom 28.02.2023 - öffentlicher Teil

Der Niederschrift über die Sitzung des Marktgemeinderates vom 28.02.2023 - öffentlicher Teil wird zugestimmt.

TOP 02

Bauleitplanung des Marktes Schondra;

Anfrage über die Einbeziehung der Grundstücke Fl. Nrn. 472, 475, 720, 885 und 1011 der Gemarkung Zeitlofs als Ausgleichsflächen für das Gewerbegebiet Schildeck III

Sachverhalt:

Bürgermeister Hauke kommt auf das vorliegende Schreiben der Verwaltungsgemeinschaft Bad Brückenau vom 01.03.2023 zu sprechen. Demnach sollen die Grundstücke Fl. Nrn. 472, 475, 720, 885 und 1011 Gemarkung Zeitlofs für naturschutzrechtliche Ausgleichsmaßnahmen für die Bauleitplanung des Marktes Schondra (Erweiterung des dortigen Gewerbegebietes) herangezogen werden.

Die v. g. Flächen befinden sich im Privatbesitz, Beeinträchtigungen für die künftige Entwicklung des Marktes Zeitlofs sind nicht zu erwarten. Gleichzeitig werden Arbeitsplätze in der bzw. für die Region geschaffen, wenn auch nicht in Zeitlofs direkt.

Beschluss:

Der Markt Zeitlofs erteilt sein Einvernehmen zur Heranziehung der Grundstücke Fl. Nrn. 472, 475, 720, 885 und 1011 Gemarkung Zeitlofs für die Umsetzung naturschutzrechtlicher Ausgleichsmaßnahmen durch den Markt Schondra im Zuge der Erweiterung des Gewerbegebietes Schildeck für die Neuansiedlung der Firma Patzer Erden GmbH.

TOP 03

Satzung über die Einbeziehung einer Außenbereichsfläche in den im Zusammenhang bebauten Ortsteil Weißenbach - Teilfläche Flur-Nr. 403 Gemarkung Weißenbach - gemäß § 34 Abs. 4 Satz 1 Nr. 3 BauGB (Einbeziehungssatzung);

Aufstellungsbeschluss sowie Billigungs- und Auslegungsbeschluss

Beschluss:

Zu A) Aufstellungsbeschluss

Der Gemeinderat befasst sich mit dem Vorhaben und beschließt wie folgt:

1.

Für das Plangebiet soll eine Einbeziehungssatzung nach § 34 Abs. 4 Satz 1 Nr. 3 BauGB aufgestellt werden. Der Geltungsbereich umfasst einen Teilbereich des Flurstückes Flur-Nr. 403 der Gemarkung Weißenbach.

Der Lageplan mit Kennzeichnung der Abgrenzung des räumlichen Geltungsbereichs der Einbeziehungssatzung ist Bestandteil des Beschlusses.

2.

Mit der Einbeziehungssatzung sollen die planungsrechtlichen Voraussetzungen für den Bau von zwei Einfamilienhäusern mit Garage geschaffen werden.

3.

Bei der Aufstellung der Einbeziehungssatzung nach § 34 Abs. 4 Satz 1 Nr. 3 BauGB ist das vereinfachte Verfahren nach § 13 Abs. 2 Satz 1 Nr. 2 und 3 sowie Satz 2 BauGB anzuwenden.

4.

Im vereinfachten Verfahren wird von der Umweltprüfung nach § 2 Abs. 4, von dem Umweltbericht nach § 2a, von der Angabe nach § 3 Abs. 2 Satz 2, welche Arten umweltbezogener Informationen verfügbar sind, sowie von der zusammenfassenden Erklärung nach § 6a Absatz 1 und § 10a Absatz 1 abgesehen; § 4c ist nicht anzuwenden. Ferner wird von den Verfahrensschritten zur frühzeitigen Öffentlichkeits- und Behördenbeteiligung nach § 3 Abs. 1 und § 4 Abs.1 BauGB abgesehen.

5.

Die anfallenden Kosten des Planverfahrens sowie eventuell aufkommende Folgekosten sind vom Vorhabenträger zu tragen.

Der Beschluss ist gemäß § 2 Abs. 1 Satz 2 BauGB ortsüblich bekannt zu machen.

Zu B) Billigungs- und Auslegungsbeschluss

Der Gemeinderat billigt den Entwurf über die Einbeziehungssatzung bestehend aus der Planzeichnung, dem Textteil (Satzung) und der Begründung, jeweils in der Fassung vom 16.02.2023 und beauftragt die Verwaltung die öffentliche Auslegung sowie die Beteiligung der Behörden und sonstigen Trägern öffentlicher Belange gemäß § 3 Abs. 2 bzw. § 4 Abs. 2 BauGB durchzuführen.

TOP 04

Bauantrag;

Neubau eines Telekommunikations-Stahlgittermastes mit nebenstehender Systemtechnik auf dem Grundstück Fl. Nr. 846 der Gemarkung Zeitlofs, Anschreiben des Landratsamtes bzgl. des versagten gemeindlichen Einvernehmens

Sachverhalt:

Bürgermeister Hauke informiert über das vorliegende Schreiben des Landratsamtes zum zugehörigen Bauantrag. Demnach war die Versagung des gemeindlichen Einvernehmens rechtswidrig.

Beschluss:

Der Gemeinderat beschließt das Einvernehmen zum Bauantrag zu erteilen.

TOP 05

4. Änderung des Flächennutzungsplanes des Marktes Obersinn;

Beteiligung gemäß § 4 Abs. 1 BauGB

Beschluss:

Der Gemeinderat stellt fest, dass Belange des Marktes Zeitlofs nicht berührt werden.

TOP 06

Bebauungsplan "Tigel III“ des Marktes Obersinn;

Beteiligung gemäß § 4 Abs. 1 BauGB

Beschluss:

Der Gemeinderat stellt fest, dass Belange des Marktes Zeitlofs nicht berührt werden.

TOP 07

Erlass einer neuen Friedhofssatzung;

Beratung und Satzungsbeschluss

Beschluss:

Der Gemeinderat beschließt nachfolgende Satzung:

Satzung über die Benutzung des Friedhofs

und der Bestattungseinrichtungen

(Friedhofssatzung - FS)

vom...

Aufgrund von Art. 23 und 24 Abs. 1 Nr. 1 und Nr. 2 sowie Abs. 2 der Gemeindeordnung für den Freistaat Bayern (GO) erlässt der Markt Zeitlofs folgende Satzung:

Inhalt:

I.

Allgemeine Vorschriften

§ 1

Geltungsbereich

§ 2

Friedhofszweck

§ 3

Bestattungsanspruch

§ 4

Friedhofsverwaltung

§ 5

Schließung und Entwidmung

II.

Ordnungsvorschriften

§ 6

Öffnungszeiten

§ 7

Verhalten im Friedhof

§ 8

Gewerbliche Tätigkeiten auf dem Friedhof

III.

Grabstätten und Grabmale

§ 9

Grabstätten

§ 10

Grabarten

§ 11

Aschenreste und Urnenbeisetzungen

§ 12

Größe der Grabstätten

§ 13

Rechte an Grabstätten

§ 14

Übertragung von Nutzungsrechten

§ 15

Pflege und Instandhaltung der Gräber mit Ausnahme der Rasengräber

§ 16

Gärtnerische Gestaltung der Gräber mit Ausnahme der Rasengräber

§ 17

Pflege und gärtnerische Gestaltung der Rasengräber

§ 18

Erlaubnisvorbehalt für Grabmale und bauliche Anlagen

§ 18a

Verbot von Grabsteinen aus ausbeuterischer Kinderarbeit

§ 19

Größe von Grabmalen und Einfriedungen

§ 20

Grabgestaltung

§ 21

Gründung, Erhaltung und Entfernung von Grabmalen

IV.

Bestattungsvorschriften

§ 22

Leichenhaus

§ 23

Leichenhausbenutzungszwang

§ 24

Leichentransport

§ 25

Leichenbesorgung

§ 26

Bestattung

§ 27

Anzeigepflicht und Bestattungszeitpunkt

§ 28

Ruhefrist

§ 29

Exhumierung und Umbettung

V.

Schlussbestimmungen

§ 30

Anordnungen und Ersatzvornahme

§ 31

Haftungsausschluss

§ 32

Zuwiderhandlungen

§ 33

Inkrafttreten

I. Allgemeine Vorschriften

§ 1 Geltungsbereich

(1) Die Gemeinde errichtet und unterhält die folgenden Einrichtungen für das Bestattungswesen als öffentliche Einrichtungen:

1.

Die im Eigentum des Marktes Zeitlofs stehenden Friedhöfe samt Leichenhaus in den Orten Detter, Eckarts („neuer Teil“), Roßbach, Rupboden, Weißenbach und Zeitlofs

2.

Den im Eigentum der evangelischen Kirchenstiftung Eckarts befindlichen, durch Vertrag in die Trägerschaft des Marktes Zeitlofs übergeleiteten, Friedhof („alter Teil“) in Eckarts

3.

Den im Eigentum der katholischen Kirchenstiftung Weißenbach befindlichen, durch Vertrag in die Trägerschaft des Marktes Zeitlofs übergeleiteten, Friedhof neben der katholischen Kirche in Weißenbach

(2) Diese Satzung umfasst nicht den Naturfriedhof auf dem Grundstück Fl. Nr. 142 Gemarkung Eckarts-Rupboden. Dieser Naturfriedhof stellt eine eigene technisch getrennte Einrichtung des Marktes Zeitlofs dar.

§ 33 Inkrafttreten

Diese Satzung tritt am Tag nach ihrer amtlichen Bekanntmachung in Kraft. Gleichzeitig tritt die Satzung vom 22.02.1983, zuletzt geändert mit Satzung vom 27.11.2013, außer Kraft.

Zeitlofs, ……………..

Matthias Hauke
1. Bürgermeister

TOP 08

Breitbandausbau im Rahmen der Bayerischen Gigabitrichtlinie;

Information und Beratung über die weitere Vorgehensweise

Sachvortrag:

Im Rahmen der Bayerischen Gigabitrichtlinie werden u. a. Ausgaben an Betreiber öffentlicher Telekommunikationsnetze zur Schließung der Wirtschaftlichkeitslücke bei dessen Betreibern hinsichtlich Bau und Betrieb von Breitbandinfrastrukturen gefördert (analog früherer Breitbandförderprogramme). Zweck der Förderung ist der Aufbau von gigabitfähigen Breitbandnetzen im Freistaat Bayern mit Übertragungsraten von mindestens 1 Gbit/s symmetrisch für gewerbliche Anschlüsse und mindestens 200 Mbit/s symmetrisch für Privatanschlüsse, die im Rahmen von Internetzugangsdiensten zuverlässig zur Verfügung zu stellen sind (Zielbandbreiten).

Die Verwaltung nahm dies zum Anlass die ersten Verfahrensschritte entsprechend des Förderprogramms einzuleiten. Ein eigenwirtschaftlicher Ausbau des gesamten Gemeindegebietes wurde von keinem Telekommunikationsunternehmen angekündigt.

Durch die Breitbandberatung Bayern wurde eine Grobkalkulation zur voraussichtlichen Wirtschaftlichkeitslücke und damit auch des voraussichtlichen Eigenanteils der Gemeinde Zeitlofs erstellt. Auf die mit der Sitzungseinladung zugegangene, in Erschließungsgebiete eingeteilte, Karte wird verwiesen. Auf Verlangen der Verwaltung wurden drei solcher Berechnungen durchgeführt, das jeweilige Ergebnis wird dem Gremium bekannt gegeben.

Es gilt zu entscheiden, ob das Verfahren vorangetrieben oder, aufgrund des zu erwartenden und noch immer hohen gemeindlichen Eigenanteils, beendet werden soll.

Beschluss:

Der Gemeinderat beschließt, dass das Verfahren fortgeführt und der Breitbandausbau im Gemeindegebiet weiter vorangetrieben werden soll. Das Erschließungsgebiet 8 (Mühlweg) soll im Rahmen des Ausbaus aus Kostengründen nicht berücksichtigt werden. Die Verwaltung wird beauftragt das Verfahren fortzuführen.

TOP 09

Beschlussfassung über die Annahme der im Jahr 2022 eingegangen Spenden

Beschluss:

Der Gemeinderat beschließt die Annahme der in der Anlage 1 zu dieser Niederschrift aufgeführten, im Jahr 2022 eingegangenen, Spenden.

TOP 10

Bekanntgaben des Bürgermeisters

1. Bürgermeister Matthias Hauke gibt bekannt, dass

  • in Sachen „Windkraft im Roßbach Forst“ bisher nur die Vorstellung der Projektideen der Richnow Partner, K3 und Flächeneigentümer v.Thüngen im Rathaus stattfand. Zur Klärung der weiteren Vorgehensweise und Standpunkt des Landkreises zum Projekt gab es ein Treffen mit Landrat und Grundstückseigentümer, ansonsten verschiedene Gespräche und Telefonate mit beteiligten Akteuren.

    Auf den Flächen ist die Errichtung von Windkraftanlagen derzeit nach wie vor ausgeschlossen (keine Vorrangfläche, Landschaftsschutzgebiet).

  • der Schienenbus in Rupboden mittlerweile ehrenamtlich entkernt wurde, Angebote sollen nun zeitnah eingehen. Am Gleispark Rupboden wird als nächstes eine Baugrunduntersuchung durchgeführt und die Entwurfsplanung mit Kostenberechnung erarbeitet.

  • bzgl. der Umlegung der Kosten für die Sanierung der Wasserversorgung auf die Grundstückseigentümer noch immer keine belastbaren Zahlen genannt werden können. Dies ist erst nach Vorliegen aller Zahlen, d. h. auch die der Zuschusshöhe, möglich.

Amtliche Bekanntmachung

Wasserzählerwechsel - Einbau digitaler Wasserzähler mit Funkauslesung

Ab Mai 2023 werden in allen Ortsteilen der Gemeinde Zeitlofs die bisher eingebauten Flügelradzähler durch elektronische Wasserzähler mit Funkmodul ersetzt. Es werden alle Hauptwasserzähler getauscht, auch die Zähler, deren Eichfrist noch nicht abgelaufen ist.

Unsere Mitarbeiter des gemeindlichen Bauhofs werden den Zählerwechsel persönlich ausführen.

Um einen reibungslosen und zügigen Wechsel zu vollziehen, werden wir nach Möglichkeit einen Termin zum Austausch vereinbaren.

Zählerbügeleinbau nach DIN 1988 und DVGW -W406

Weshalb sollte ein Wasserzählerbügel eingebaut sein? Alle Wasserzählerhersteller sowie die eichrechtlichen Vorgaben verlangen einen „spannungsfreien Einbau" des Messgerätes. In der aktuellen Fassung der DIN 1988-200 ist dies unter Punkt 11 „Leitlinien für Wasserzähleranlagen" ausführlich beschrieben. Gleichzeitig verweist diese DIN auf das DVGW Arbeitsblatt W406(A), diese gelten als allgemein anerkannte Regel der Technik und sind nach Vorgaben der Trinkwasserverordnung und der jeweiligen Wasserabgabesatzung sowohl vom Wasserversorger als auch vom Anlagenbetreiber (Grundstückseigentümer) einzuhalten. Wenn bei Ihnen noch kein Wasserzählerbügel vorhanden ist, sollten Sie diesen im Vorgriff auf den anstehenden Zählerwechsel noch einbauen lassen.

Durch die optimierte und zukunftsorientierte Umstellung sehen wir langfristig eine sinnvolle und kundenfreundliche Lösung auch in Bezug auf die Ablesung. Deshalb freuen wir uns, mit Ihnen gemeinsam diesen Weg zu gehen.

Bei Fragen sind wir gerne für Sie da.

Ihr Bürgermeister
Matthias Hauke

Bekanntmachung

Der Markt Zeitlofs gibt bekannt, dass am 15.05.2023 die Grundsteuer, die Gewerbesteuer, sowie Wasser und Kanalgebühren zur Zahlung fällig sind.

Matthias Hauke
1. Bürgermeister

Kegelbahn Zeitlofs

Der Kegelclub Bad Brückenau ist Pächter der Kegelbahn Zeitlofs und somit auch für den Betrieb und die Organisation (Schlüsselausgabe, Buchungen usw.) verantwortlich. Fragen und Anmeldungen sind über Frau Annika Sych (Tel: 09741 9391875) möglich.

Meldung von Schäden und Störungen an der Straßenbeleuchtung

Ortsteil:

Straße:

Sonstige Mitteilungen:

Name des Melders:

Dieser Vordruck ist zu senden an:

Markt Zeitlofs, Baumallee 12, 97799 Zeitlofs Tel. 09746 / 9119-0,

Fax 09746 / 9119-19

Eine Störung können Sie auch über folgende Internetadresse melden: www.stoerung24.de

Hier ist dann eine schnellere Bearbeitung möglich.

Annahmeschluss

für den nächsten Gemeindeboten ist der 17.05.2023, 12:00 Uhr Mitteilungen, Texte, Veranstaltung usw., alles was zur Veröffentlichung bestimmt ist kann an die E-Mail-Adresse: poststelle@markt-zeitlofs.de gesandt werden.

Termin ist dringend zu beachten. Später eingehende Texte und Bilder können leider nicht mehr berücksichtigt werden.