Titel Logo
Zusmarshausen - Der Marktbote
Ausgabe 11/2024
Amtliche Bekanntmachungen
Zurück zur vorigen Seite
Zurück zur ersten Seite der aktuellen Ausgabe

Aufstellung der 1. Änderung des Bebauungsplanes Nr. 54 „An der Wiege II“ - Aufstellungsbeschluss gemäß § 2 Abs. 1 BauGB

Der Markt Zusmarshausen hat in seiner Sitzung am 25.01.2024 die Aufstellung der 1. Änderung des Bebauungsplanes Nr. 54 „An der Wiege II“ im vereinfachten Verfahren gemäß § 13 BauGB beschlossen.

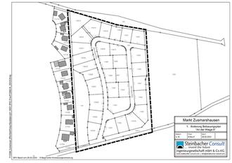
Das Gebiet liegt im Südosten des Ortsteils Wörleschwang. Der Geltungsbereich der 1. Änderung umfasst dieselben Flächen mit dem identischen Geltungsbereich des Bebauungsplanes Nr. 54 „An der Wiege II“. Der Geltungsbereich umgrenzt die Flurnummern 118, 118/1, 118/2, 118/3, 118/4, 118/5, 118/6, 118/7,118/8, 118/9, 118/10, 118/11, 118/13, 118/14, 118/15, 118/16, 118/17, 118/18, 118/19, 118/20, 118/21, 118/22, 118/23, 118/24, 118/25, 118/28, 119, 119/2, 119/3, 119/4, 119/5, 119/6, 119/7, 119/8, 119/9, 119/10, 119/17 und teilweise die Flurnummern 116 und 117/27 der Gemarkung Wörleschwang. Der Bebauungsplan schließt östlich an den bestehenden Bebauungsplan „An der Wiege I“ an, der am 18.05.2006 rechtskräftig wurde.

Der Bebauungsplan mit Begründung wird vom Ingenieurbüro Steinbacher-Consult, Richard-Wagner-Straße 6, 86356 Neusäß ausgearbeitet.

Anlass der Planaufstellung

Die Festsetzung zum Immissionsschutz insbesondere zu den Luftwärmepumpen entsprechen nicht den aktuellen Anforderungen und Vorschriften und sollen durch dieses Änderungsverfahren geändert werden.

Planungsrechtliche Situation

Die Aufstellung des Bebauungsplanes wird im vereinfachten Verfahren gemäß § 13 BauGB durchgeführt, da die Grundzüge der Planung nicht berührt werden.

Im vereinfachten Verfahren gemäß § 13 BauGB wird von der Umweltprüfung nach § 2 Abs. 4 BauGB, von dem Umweltbericht nach § 2a BauGB, von der Angabe nach § 3 Abs. 2 Satz 4 BauGB, welche Arten umweltbezogener Informationen verfügbar sind, sowie von der zusammenfassenden Erklärung nach § 10 a Abs. 1 BauGB abgesehen; § 4 c BauGB (Überwachung/Monitoring) ist nicht anzuwenden.

Alle nicht genannten Festsetzungen des Bebauungsplans Nr. 54 „An der Wiege II“ bleiben unverändert und gelten entsprechend weiter.

Der Geltungsbereich des Bebauungsplanes ist in nachfolgendem Lageplan dargestellt

(ohne Maßstab):

Zusmarshausen, 04.03.2024
gez.
Bernhard Uhl
Erster Bürgermeister