Titel Logo
Zusmarshausen - Der Marktbote
Ausgabe 11/2024
Amtliche Bekanntmachungen
Zurück zur vorigen Seite
Zurück zur ersten Seite der aktuellen Ausgabe

Vollzug des Baugesetzbuches - BauGB - Aufstellung der 1. Änderung des Bebauungsplanes Nr. 54 „An der Wiege II“ - BETEILIGUNG DER ÖFFENTLICHKEIT UND DER BEHÖRDEN gemäß § 3 Abs. 2 BauGB und § 4 Abs. 2 BauGB i.V.m. § 13 BauGB

Aufstellung der 1. Änderung des Bebauungsplanes Nr. 54 „An der Wiege II“

- BETEILIGUNG DER ÖFFENTLICHKEIT UND DER BEHÖRDEN gemäß § 3 Abs. 2 BauGB und § 4 Abs. 2 BauGB i.V.m. § 13 BauGB

Der Marktgemeinderat Zusmarshausen hat in seiner Sitzung am 25.01.2024 die Aufstellung der 1. Änderung des Bebauungsplanes Nr. 54 „An der Wiege II“ im vereinfachten Verfahren gemäß § 13 BauGB beschlossen sowie in der Sitzung vom 25.01.2024 den vom Ingenieurbüro Steinbacher-Consult, Richard-Wagner-Straße 6, 86356 Neusäß ausgearbeiteten Entwurf in der Fassung vom 25.01.2024 gebilligt und dessen Auslegung gemäß § 3 Abs. 2 BauGB beschlossen.

Der Entwurf des Bebauungsplanes bestehend aus

A) Textliche Festsetzungen B) Textliche Hinweise C) Begründung und D) Verfahrensvermerke wird im Zeitraum von

Montag, den 25.03.2024

bis einschließlich Freitag, den 26.04.2024

im Internet veröffentlicht und ist auf der Homepage des Marktes Zusmarshausen

https://www.zusmarshausen.de/ auf der Startseite unter Aktuelles

bzw. der Adresse https://www.zusmarshausen.de/news/index.php?rubrik=1

und im Geoportal Bayern

https://geoportal.bayern.de/bauleitplanungsportal/

Gemeindename: Zusmarshausen

laufende Bauleitplanverfahren

einsehbar.

Gemäß § 3 Abs. 2 BauGB wird auf folgendes hingewiesen:

1.

Stellungnahmen können während der Dauer der Veröffentlichungsfrist abgegeben werden.

2.

Stellungnahmen sollen elektronisch übermittelt werden

(s.madlung@steinbacher-consult.com); können bei Bedarf aber auch auf anderem Weg – schriftlich oder zur Niederschrift während der Öffnungszeiten bei der Gemeinde - abgegeben werden.

3.

Nicht fristgerecht abgegebene Stellungnahmen können gemäß § 3 Abs. 2 Satz 4 BauGB i.V.m. § 4a Abs. 5 BauGB bei der Beschlussfassung über den Bauleitplan unberücksichtigt bleiben, wenn der Markt Zusmarshausen den Inhalt nicht kannte und nicht hätte kennen müssen und deren Inhalt für die Rechtmäßigkeit der Änderung des Bebauungsplanes nicht von Bedeutung ist.

4.

Neben der Veröffentlichung im Internet werden die im Internet veröffentlichten Unterlagen während der Veröffentlichungsfrist auch in Papierform im Rathaus des Marktes Zusmarshausen, Schulstraße 2, Zimmer Nr. 11 (1. OG), 86441 Zusmarshausen während der allgemeinen Öffnungszeiten ausgelegt.

Die Öffnungszeiten sind

Montag bis Mittwoch und Freitag von 8.00 bis 12.00 Uhr

Donnerstag, von 16.00 bis 18.00 Uhr

Zur Wahrung der Barrierefreiheit kann während der Öffnungszeiten in den Zimmer Nrn. 01 und 02 im Erdgeschoss des Rathauses eine barrierefreie Einsichtnahme der veröffentlichten Unterlagen angefragt werden.

Wahl der Verfahrensart:

Da die Grundzüge der Planung nicht berührt werden, wird das vereinfachte Verfahren gemäß § 13 BauGB angewendet. Im vereinfachten Verfahren gemäß § 13 BauGB wird von der Umweltprüfung nach § 2 Abs. 4 BauGB, von dem Umweltbericht nach § 2a BauGB, von der Angabe nach § 3 Abs. 2 Satz 4 BauGB, welche Arten umweltbezogener Informationen verfügbar sind, sowie von der zusammenfassenden Erklärung nach § 10 a Abs. 1 BauGB abgesehen; § 4 c BauGB (Überwachung/Monitoring) ist nicht anzuwenden.

Folgende Planungsziele werden mit der Änderung des Bebauungsplanes 1. Änderung Bebauungsplanes Nr. 54 „An der Wiege II“ angestrebt:

Die Festsetzung zum Immissionsschutz insbesondere zu den Luftwärmepumpen entsprechen nicht den aktuellen Anforderungen und Vorschriften und sollen durch dieses Änderungsverfahren geändert werden. Alle nicht in der 1. Änderung des Bebauungsplanes genannten Festsetzungen bleiben unverändert und gelten weiter.

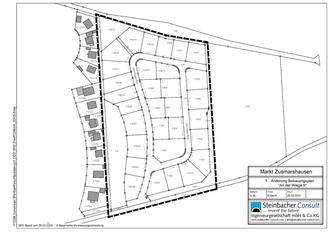
Der Geltungsbereich umfasst folgende Flurnummern, Gemarkung (Wörleschwang):

Das Gebiet liegt im Südosten des Ortsteils Wörleschwang. Der Geltungsbereich der 1. Änderung umfasst dieselben Flächen mit dem identischen Geltungsbereich des Bebauungsplanes Nr. 54 „An der Wiege II“. Der Geltungsbereich umgrenzt die Flurnummern 118, 118/1, 118/2, 118/3, 118/4, 118/5, 118/6, 118/7,118/8, 118/9, 118/10, 118/11, 118/13, 118/14, 118/15, 118/16, 118/17, 118/18, 118/19, 118/20, 118/21, 118/22, 118/23, 118/24, 118/25, 118/28, 119, 119/2, 119/3, 119/4, 119/5, 119/6, 119/7, 119/8, 119/9, 119/10, 119/17 und teilweise die Flurnummern 116 und 117/27 der Gemarkung Wörleschwang. Der Bebauungsplan schließt östlich an den bestehenden Bebauungsplan „An der Wiege I“ an, der am 18.05.2006 rechtskräftig wurde.

Der Geltungsbereich des Bebauungsplanes ist im nachfolgenden Lageplan ohne Maßstab dargestellt:

Datenschutz:

Die Verarbeitung personenbezogener Daten erfolgt auf der Grundlage der Art. 6 Abs. 1 Buchstabe e (DSGVO) i.V. mit § 3 BauGB und dem BayDSG. Sofern Sie Ihre Stellungnahme ohne Absenderangaben abgeben, erhalten Sie keine Mitteilung über das Ergebnis der Prüfung. Weitere Informationen entnehmen Sie bitte dem Formblatt „Datenschutzrechtliche Informationspflichten im Bauleitplanverfahren“ das ebenfalls öffentlich ausliegt.

Allgemeiner Hinweis:

Auf die Aufstellung von Bauleitplänen und städtebaulichen Satzungen besteht kein Anspruch. Ein Anspruch kann auch nicht durch Vertrag begründet werden (§ 1 Abs. 3 BauGB)

Der Inhalt der Bekanntmachung ist auch auf der Homepage des Marktes Zusmarshausen https://www.zusmarshausen.de/ auf der Startseite unter Aktuelles bzw. der Adresse https://www.zusmarshausen.de/news/index.php?rubrik=1 eingestellt.

Der Inhalt der Bekanntmachung ist auch über das zentrale Internetportal des Freistaats Bayern (https://geoportal.bayern.de/bauleitplanungsportal/) zugänglich.

Markt Zusmarshausen, 04.03.2024
gez.
Bernhard Uhl
Erster Bürgermeister